Triatoma infestans
| Triatoma infestans | |||||||||||||||||
|---|---|---|---|---|---|---|---|---|---|---|---|---|---|---|---|---|---|
| |||||||||||||||||
| 1st nymf stadium op een menselijke gastheer | |||||||||||||||||
| Taxonomische indeling | |||||||||||||||||
| |||||||||||||||||
| Soort | |||||||||||||||||
| Triatoma infestans Klug, 1834 | |||||||||||||||||
| |||||||||||||||||
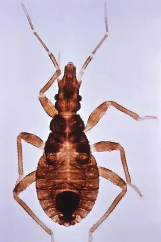
| Buikaanzicht van Triatoma infestans | |||||||||||||||||
| Afbeeldingen op | |||||||||||||||||
| Triatoma infestans op | |||||||||||||||||
| |||||||||||||||||
Triatoma infestans is een bloedzuigende wants uit de familie Reduviidae en de belangrijkste overdrager van de ziekte van Chagas.
De wants komt wijdverspreid voor in Zuid-Amerika: Bolivia, Argentinië, Uruguay, Paraguay, Chili, Brazilië en Peru. In al deze landen komt de wants alleen voor in de omgeving van de mens, behalve in Bolivia waar het insect in het wild voorkomt bij onder andere huiscavias.
Beschrijving
Triatoma infestans is ongeveer 35 mm lang en heeft een bruine kleur met gele en/of rode strepen op het connexivum en de poten. De kop is vrij langwerpig en zit met een dunne nek vast aan het borststuk. De proboscis bestaat uit drie segmenten en zit vooraan de kop. Het labrum (bovenlip) is verkleind en de hypofarynx (onderkant van de keel) is smal. Triatoma infestans heeft twee bolle, samengestelde ogen en twee ocelli.[1]
Het volwassen vrouwtje legt in een periode van drie tot twaalf maanden 100-600 eieren. De eieren komen na tien tot veertien dagen uit. De uit het ei gekomen nymf is rozeachtig en heeft in het begin nog een zachte huid, die echter al snel hard wordt. Na vijf instar is de wants volwassen. De nymfstadia zijn te onderscheiden op grond van de kopgrootte en die van de poten.[1]

