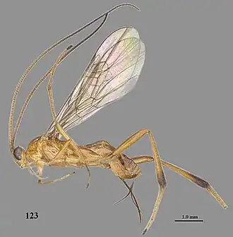
Stantonia xiangqianensis
| Stantonia xiangqianensis | |||||||||||||
|---|---|---|---|---|---|---|---|---|---|---|---|---|---|
| |||||||||||||
| Taxonomische indeling | |||||||||||||
| |||||||||||||
| Soort | |||||||||||||
| Stantonia xiangqianensis Chen, He & Ma, 2004 | |||||||||||||
| Afbeeldingen op | |||||||||||||
| |||||||||||||
Stantonia xiangqianensis is een insect dat behoort tot de orde vliesvleugeligen (Hymenoptera) en de familie van de schildwespen (Braconidae). De wetenschappelijke naam van de soort werd voor het eerst geldig gepubliceerd door Chen, He & Ma in 2004.
Geplaatst op:
15-09-2012
15-09-2012
Dit artikel is een beginnetje over biologie. U wordt uitgenodigd om op bewerken te klikken om uw kennis aan dit artikel toe te voegen.
_Figure_123.jpg)