St. John's International Airport
| St. John's International Airport | ||||||||||||||
|---|---|---|---|---|---|---|---|---|---|---|---|---|---|---|
| ||||||||||||||
| Algemene informatie | ||||||||||||||
| Opgericht | 15 december 1941 | |||||||||||||
| Type | Publiek | |||||||||||||
| Eigenaar | Transport Canada | |||||||||||||
| Locatie | St. John's, Newfoundland | |||||||||||||
| Hoogte | 141 | |||||||||||||
| Coördinaten | 47° 37′ NB, 52° 45′ WL | |||||||||||||
| Website | stjohnsairport.com | |||||||||||||
| Locatie in Canada | ||||||||||||||
![]() | ||||||||||||||
| Startbanen | ||||||||||||||
| ||||||||||||||
| Lijst van luchthavens | ||||||||||||||
| ||||||||||||||


.jpg)
St. John's International Airport is een luchthaven gelegen in St. John's, de hoofdstad van de Canadese provincie Newfoundland en Labrador. Ze is in bezit van Transport Canada en wordt geëxploiteerd door St. John's International Airport Authority Inc. Het vliegveld bedient voornamelijk het schiereiland Avalon, wat met de Metropoolregio St. John's goed is voor ongeveer de helft van de inwoners van het eiland Newfoundland.
De luchthaven is een hub voor twee maatschappijen, namelijk PAL Airlines en Cougar Helicopters.
Geschiedenis
Vroege jaren
De bouw van de luchthaven begon in april 1941 en ze werd geopend op 15 december 1941, als Torbay Airport, naar het nabijgelegen Torbay. Initieel werd de luchthaven gemeenschappelijk gebruikt als vliegbasis voor de Royal Canadian Air Force (RCAF), de Royal Air Force (RAF) en de United States Army Air Forces (USAAF). Deze inzet liep tot december 1946. De eerste passagiersterminal werd gebouwd in 1943. Dit kleine houten gebouwtje werd later vervangen door een stenen bouwwerk in 1958. De eerste reguliere passagiersvlucht was een Lockheed Lodestar toestel van Trans-Canada Air Lines, de toenmalige naam van Air Canada dat op 1 mei 1942 landde met vijf passagiers en drie bemanningsleden. Daarvoor was er wel reeds in oktober 1941 een noodlanding geweest wegens stormweer van een commerciële vlucht met een B-24 Liberator van British Overseas Airways Corporation die transport uitvoerde van Schotland naar Gander.
Op 1 april 1946 ging het luchthavenbeheer over naar een civiele operator. De aanwezigheid van Amerikaans militair personeel maakte dit evenwel een moeilijke samenwerking, waarna het luchthavenbeheer op 1 april 1953 terug overging naar het Canadese Ministerie van Defensie (met personeel van de RCAF). De United States Air Force (USAF) bleef actief op de basis van Torbay tot 1 april 1964, toen de RCAF de controle terug overgaf aan de civiele operator en de luchthaven als "St. John's International Airport" uitsluitend voor civiel gebruik werd voorbehouden.
In 1998 werd de luchthaven geprivatiseerd. Sindsdien verdubbelde het aantal passagiers. In 2016 waren er circa 1.600.000 passagiers. In 2019 vertrokken er vanuit St. John's dagelijks zo'n 80 vluchten naar 21 bestemmingen in Canada, de Verenigde Staten, de Caraïben en Europa (enkel Londen).[1] Een deel van deze bestemmingen wordt seizoensgebonden bediend.
Maatschappijen en bestemmingen
| Maatschappij | Bestemmingen (2025) |
|---|---|
| Air Canada | Toronto–Pearson |
| Air Canada Express | Halifax |
| Air Canada Rouge | Montréal–Trudeau |
| Air Saint-Pierre | |
| PAL Airlines | Churchill Falls, Deer Lake, Gander, Goose Bay, St. Anthony, Wabush |
| Porter Airlines | Halifax, Ottawa, Toronto–Pearson |
| WestJet | Calgary, Seizoensgebonden: |
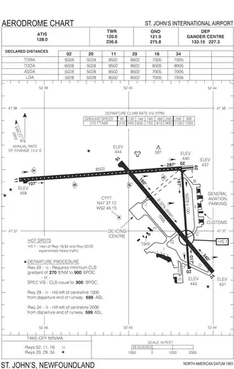
Startbanen
Op dit moment heeft St. John's heeft drie start-en landingsbanen in gebruik:
- baan 11/29 met een lengte van 2.591 meter en een breedte van 61 meter, standaard de landingsbaan en daarom ook uitgerust met een approach lighting system
- baan 16/34 met een lengte van 2.135 meter en een breedte van 61 meter, standaard de baan voor de opstijgende vliegtuigen
- de derde baan, 02/20, met een lengte van 1.533 m en breedte van 30 m wordt wanneer nodig voor kleinere toestellen ingezet
De start- en landingsbaan 11/29 was ook als een van vijf Canadese landingsbanen aangewezen voor de Space Shuttle als een noodlanding gemaakt zou moeten worden.
_aero_chart.png)

