Schallebijters
| Schallebijters | |||||||||||||
|---|---|---|---|---|---|---|---|---|---|---|---|---|---|
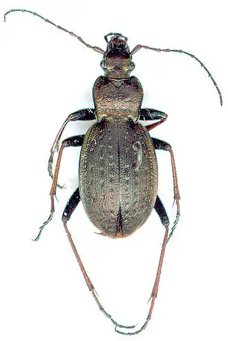
| Paarse loopkever (Carabus violaceus) | |||||||||||||
| Taxonomische indeling | |||||||||||||
| |||||||||||||
| Geslacht | |||||||||||||
| Carabus Latreille, 1802 | |||||||||||||
| Afbeeldingen op | |||||||||||||
| Schallebijters op | |||||||||||||
| |||||||||||||
Schallebijters,[1][2] soms schalebijters[2] (Carabus) zijn een geslacht van kevers uit de familie van de loopkevers (Carabidae). Het geslacht telt ongeveer 2000 soorten.
Alle soorten staan bekend als felle rovers, zowel de larven als de volwassen kevers. Op het menu staan voornamelijk insecten en wormen die op de grond worden opgespoord en buitgemaakt. Schallebijters zijn typische bodembewoners die niet graag klimmen.
Algemeen
De kevers zijn felle rovers die op levende prooien jagen, toch zijn ze niet strikt vleesetend, ook plantendelen zoals fruit worden wel gegeten. De larven zijn eveneens roofzuchtig en leven van kleine ongewervelden.
Schallebijters ruimen vele plantenetende dieren zoals insectenlarven en slakken op en zijn over het algemeen nuttige kevers. Ze eten ook aas en jagen op de ongewenste meikeverlarven en de jonge stadia van de schadelijke coloradokever.
Alle soorten leven op het noordelijk halfrond; Europa, Azië, Noord-Amerika en het Midden-Oosten. In België en Nederland zijn de schallebijters algemeen in omgevingen met een strooisellaag, zoals parken en bossen. In Nederland komen 15 soorten schallebijters voor.[2]
Naamgeving
Schallebijters worden ook wel schalebijters of scharrebijters genoemd. De kevers hebben deze curieuze naam te danken aan een verbastering van de oude naam scalbote. Deze naam is afkomstig uit het Frans en is afgeleid van het Franse woord escarbot, dat 'mestkever' betekent.[3]
De wetenschappelijke geslachtsnaam Carabus is ook afgeleid van de mestkever. Deze naam komt uit het Grieks en is terug te voeren op het woord karabos (κα'ραβος), dat 'gehoornde kever' betekent.[4]
In andere talen worden de schallebijters wel 'echte loopkevers' genoemd, zoals het Duitse echten Laufkäfer of het Noorse ekte jordløperne.
Verspreiding

Schallebijters komen alleen voor in het Palearctisch gebied (Europa, Azië en het Midden-Oosten) en het Nearctisch gebied (Noord-Amerika), dus grofweg het noordelijk halfrond. Op het zuidelijk halfrond zoals Afrika en Australië wordt de plaats van de schallebijters overgenomen door andere groepen van loopkevers, zoals zandloopkevers en bombardeerkevers. Een groot aantal schallebijters komt voor in China. De soorten die behoren tot de grote ondergeslachten Alipaster en Apotomopterus zijn endemisch in China. De drie soorten uit het geslacht Nesaeocarabus zijn endemisch op Tenerife, een van de Canarische Eilanden.
Sommige soorten zijn aangepast aan een bepaalde leefomgeving en komen voor in een beperkt gebied. Een voorbeeld is de goudglanzende schallebijter (Carabus auronitens), die een voorkeur heeft voor hoger gelegen bossen zoals heuvels en bergen. Andere soorten zijn generalisten die als gevolg hiervan een groot verspreidingsgebied hebben. Een voorbeeld is de Europese paarse loopkever (Carabus violaceus), die ook in België en Nederland te vinden is.
De meeste schallebijters zijn te vinden in humusrijke bossen. Een aantal soorten is in drogere streken te vinden zoals heide en berggebieden. De soorten Carabus syrus en Carabus syriacus zijn bewoners van droge zandige gebieden en komen voor in het Midden-Oosten waaronder Israël.[5] De soort Carabus hortensis is juist bestand tegen lagere temperaturen en wordt gevonden tot in noordelijk Noorwegen tot bij de stad Narvik.[6]
Uiterlijke kenmerken

Schallebijters zijn middelgrote tot grote kevers die een vrij herkenbare lichaamsbouw hebben, al zijn er enkele uitzonderingen. Schallebijters worden wel beschouwd als 'standaardmodel' voor alle loopkevers; ze hebben allemaal een typisch loopkeverachtige bouw. Ze zijn dan ook voornamelijk te onderscheiden aan hun lichaamslengte en kleur. Ook de vorm van het halsschild en de dekschilden en met name de patronen op deze dekschilden zijn vaak soortspecifiek. Het lichaam is ovaal-langwerpig, waarbij de dekschilden, het halsschild of pronotum en de kop goed zijn te onderscheiden. Schallebijters zijn typische bodembewoners, ze hebben altijd vleugels maar vliegen zelden. Sommige soorten hebben het vermogen om te vliegen zelfs volledig verloren. De poten en antennes zijn lang en sprieterig, ze zijn duidelijk gesegmenteerd. De meeste soorten worden één tot twee centimeter lang maar een aantal soorten wordt groter met uitschieters tot meer dan vier centimeter.
Kop
De kop is altijd duidelijk te onderscheiden door de aanwezigheid van lange en duidelijk gesegmenteerde antennes (1). De antennes zijn niet alleen lang maar ook zeer beweeglijk. Ook de kaken of mandibels (3) zijn sterk vergroot en vallen duidelijk op, zoals bij alle loopkevers. De kop is voorzien van twee paar tasters die ook wel palpen worden genoemd. Deze hebben een zintuiglijke functie en dienen om te proeven. De palpen zijn bij de schallebijters relatief lang en ze eindigen in een enigszins verdikte, knotsvormige structuur. De tasters aan de onderzijde van de kop worden de liptasters of labiale tasters (2) genoemd en de tasters aan de bovenzijde zijn de kaaktasters of maxillaire tasters (4). De ogen (5) puilen uit en zijn rond en kraalachtig. De meeste soorten kunnen in vergelijking met andere kevers goed zien, de ogen worden gebruikt om prooien op te sporen en vijanden waar te nemen. De ogen bestaan uit kleine deeloogjes die de ommatidia worden genoemd en het geheel wordt aangeduid met het samengesteld oog. Veel schallebijters zijn nachtactief en bij deze soorten worden voornamelijk de koptasters gebruikt om prooien en vijanden waar te nemen.
Borststuk
Het borststuk is smal en langwerpig. De vorm van het halsschild verschilt per soort. De achterzijde van het borststuk en het achterlijf worden beschermd door de stevige dekschilden of elytra. De dekschilden bedekken altijd de gehele bovenzijde van het achterlichaam. De kleur en vorm van de dekschilden zijn eveneens een determinatiesleutel omdat deze bij iedere soort weer anders zijn. Diverse schallebijters zijn groen met een metaalachtige glans, zoals de gouden schallebijter (Carabus auratus) en de graslandschallebijter (Carabus monilis). Andere soorten zijn overwegend zwart met een violette glans, zoals de paarse loopkever (Carabus violaceus) en de tuinschallebijter (Carabus nemoralis). De blauwe schallebijter (Carabus intricatus) heeft een uitgesproken blauwe kleur en is hieraan te herkennen.
Bij diversee schallebijters is het vermogen om te vliegen verloren gegaan doordat de onder de dekschilden gelegen achtervleugels gereduceerd zijn. Een aantal soorten echter kan niet meer vliegen ondanks de aanwezigheid van vliezige achtervleugels. De tuinschallebijter (Carabus nemoralis) is hiervan een voorbeeld. De achtervleugels van de gouden schallebijter (Carabus auratus) zijn volledig gereduceerd.[7] Bij sommige soorten kan een deel van de individuen wél vliegen en een deel niet. Dit is onder andere beschreven bij de kettingschallebijter (Carabus granulatus).[8]
Bij de schallebijters vertonen de dekschilden vaak patronen. Die kunnen heel verschillend zijn; enkele veel voorkomende zijn:
- Opstaande lengterichels; de dekschilden hebben opstaande kielen in de lengte van het lichaam, zoals bij de goudglanzende schallebijter (Carabus auronitens), al dan niet in combinatie met onderstaande kenmerken.
- Korrelig oppervlak; de dekschilden hebben een ruw, korrelig oppervlak bestaande uit onregelmatige putjes. Dit komt voor bij onder andere de lederschallebijter (Carabus coriaceus) en Carabus blaptoides. De gladde schallebijter (Carabus glabratus) heeft een zeer licht patroon van korreltjes zodat het oppervlak glad aandoet.
- Groeven; veel soorten hebben lengtegroeven, soms zijn deze glad maar er kunnen ook patronen tussen de groeven zitten. De groeven kunnen zeer fijn zijn of juist breed. Voorbeelden van soorten met lengtegroeven zonder opvallende patronen zijn de gouden schallebijter, die brede groeven heeft, en de paarse loopkever (Carabus violaceus), die zeer fijne groeven bezit.
- Groeven met rijen putjes; er zijn rijen kleine putjes aanwezig tussen de lengtegroeven. Een voorbeeld is de moerasschallebijter (Carabus clatratus).
- Groeven met rijen bobbeltjes; tussen de groeven liggen rijen opstaande bultjes. Een dergelijk patroon komt onder andere voor bij de kettingschallebijter (Carabus granulatus) en Ullrichs schallebijter.
De onderzijde van het borststuk draagt drie paar poten, die bij alle schallebijters zeer lang en slank zijn. De poten bestaan uit de heup of coxa, het dichtst bij het lichaam – dit deel is het kleinst en is aan de bovenzijde niet te zien – gevolgd door de dij of femur, die onder de dekschilden uitsteekt, en verbonden is met de scheen of tibia' De scheen eindigt in een gewricht dat een stekel draagt die de spore wordt genoemd. Het laatste deel van de poot, de voet of tarsus, is bij de meeste soorten tevens het langste deel, en is geleed. De tarsus bestaat altijd uit vijf tarsleden waarvan de laatste een klauwtje draagt. Schallebijters kunnen als het moet zeer snel rennen.
Bij de schallebijters zijn de mannetjes het eenvoudigst van de vrouwtjes te onderscheiden aan de vorm van de voorpoten.[9] Deze zijn duidelijk breder bij de mannetjes en dit dient om een vrouwtje tijdens de paring beter te kunnen vasthouden.[10]
Achterlijf
Het achterlijf van de kevers bevat alle organen, zoals de geslachtsorganen, het ademapparaat en het spijsverteringsstelsel. Aan de achterzijde zit de anus.
Rondom de anus liggen klieren die een stinkende en onsmakelijke vloeistof afscheiden. De stof die wordt uitgescheiden wordt hemolymfe genoemd en dient om vijanden af te schrikken. Bij een aantal soorten is de klierafscheiding ook voor mensen ondraaglijk vanwege de zeer sterke rottingsgeur. De afweerstof is niet zo sterk als bij de bombardeerkevers het geval is.
Bij de schallebijter Carabus lefebvrei is de substantie goed onderzocht. In de afscheiding van deze soort werden onder andere terpenen, ketonen, aldehyden, alcoholen, esters, en carbonzuren aangetroffen. Vooral monoterpenen zoals linalool zijn een belangrijk bestandsdeel.[11]
Voortplanting en ontwikkeling
Schallebijters zoeken elkaar op in het voortplantingsseizoen waarna de paring plaatsvindt. De vrouwtjes zetten de eitjes vaak een voor een af in de bodem, in dood hout of onder objecten als stenen. De eitjes zijn vaak enige millimeters lang en wit. Van de rasterschallebijter (Carabus cancellatus) is bekend dat ze aanvankelijk een cilindervorm hebben en later een rondere vorm krijgen die lijkt op een boon.[12]
De eitjes komen na enige tijd uit – de ontwikkelingstijd is afhankelijk van de temperatuur – waarbij de larven tevoorschijn komen. Deze vervellen twee keer waarna ze verpoppen en uiteindelijk de volwassen kever verschijnt. Na iedere vervelling is de larve helder wit; het duurt enige tijd voordat de oude kleur terugkomt.
Larve


De larven van de schallebijters hebben een vrij uniforme bouw. Het lichaam is altijd afgeplat, wat ze helpt om onder objecten als stenen en houtblokken te schuilen. De larven van sommige soorten hebben een relatief kort en breed lichaam en andere soorten hebben een langer en relatief smaller lijf. De larven van schallebijters zijn niet altijd eenvoudig van andere loopkeverlarven te onderscheiden. Op de afbeelding rechts is een typische larve afgebeeld. Het lichaam is net als bij de volwassen kevers verdeeld in drie delen; de kop, (A), het borststuk (B) en het achterlijf (C). De mandibels of kaken (1) zijn bij alle soorten goed ontwikkeld en zijn duidelijk zichtbaar. Aan weerszijden zijn twee paar palpen gepositioneerd zoals ook voorkomt bij de volwassen dieren, de buitenste palpen (2) zijn net zichtbaar, de binnenste palpen zijn hier niet te zien. Iets achter de monddelen zijn de antennes (3) gelegen die echter veel kleiner zijn in vergelijking met de antennes van de volwassen kever. Aan de achterzijde van de kop is een groepje onopvallende, enkelvoudige oogjes aanwezig (4) die de ommatidiën worden genoemd. De larve ziet hiermee slecht en kan alleen het verschil tussen dag en nacht waarnemen.
Het borststuk van de larve draagt net als de volwassen kever drie paar poten; de borststuksegmenten zijn bij de larven echter veel duidelijker te onderscheiden dan bij de volwassen exemplaren. De poten zijn goed ontwikkeld in vergelijking met andere insectenlarven; de schallebijterlarve kan er snel mee rennen. Zowel het voorste potenpaar (5), het middelste potenpaar (6) als het achterste potenpaar (7) worden aan de bovenzijde beschermd door stevige chitineuze platen.
Het achterlijf bestaat altijd uit tien segmenten, waarvan de achterste twee samengegaan zijn zodat het zichtbare aantal segmenten kleiner is. Aan de bovenzijde draagt ieder segment een beschermende, chitineuze plaat, de tergiet. Aan de onderzijde zit een vergelijkbare plaat, de sterniet.
De larven zijn behoorlijk snel en kunnen zich al rennend vlug verstoppen bij verstoring. De larven van veel soorten kunnen zich ook snel ingraven om aan vijanden te ontkomen. Als een larve wordt opgepakt, kan deze vaak venijnig bijten door de lange, scherpe en krachtige monddelen.
De larven hebben nog geen samengestelde ogen zoals de volwassen kevers. Aan de onderzijde van de kop zijn de palpen gelegen, dit zijn gelede uitsteeksels van de kop die een zintuiglijke functie hebben. Ze bevatten chemosensorische zintuigcellen die het voedsel 'ruiken' en vervullen ook een functie bij het in de monddelen brengen van delen van prooidelen die door de kaken zijn verkleind.
Pop

Als de larve zich volledig heeft ontwikkeld vindt de verpopping of ecdysis plaats. De verpopping voltrekt zich altijd in een beschermende kamer, de larve graaft hiertoe een holletje om zich tegen vorst te beschermen. Ze overwinteren meestal in de pop in het hol, deze schuilplaats wordt wel de popkamer of poppenwieg genoemd. Een aantal soorten kan verscheidene jaren oud worden en moet dus als volwassen kever overwinteren maar ook bij deze soorten is het zo dat de eerste winter vaak wordt doorgebracht in de popkamer. De kevers verpoppen bijna altijd in de herfst en komen vlak voor de winter uit hun pop tevoorschijn. Omdat er in de winter geen voedsel meer is blijven ze in de pop tot de volgende lente of zomer aanbreekt. Pas als de temperaturen hoog genoeg zijn kruipen de kevers uit hun schuilplaats.
Imago
Als de kever zijn pop verlaat is het lichaam eerst wit; de kleuren komen later tevoorschijn als het pantser van het lichaam uithardt. Volwassen kevers zijn vaak meerderjarig en overwinteren in holletjes in de grond of onder boomschors. Ze kunnen dan in paren of groepjes worden aangetroffen.
Schallebijters zijn allemaal bodembewonend. Sommige soorten zijn nachtactief terwijl andere als sterk heliofiel kunnen worden beschouwd, wat betekent dat ze in de volle zon actief zijn. De terrestrische levenswijze is iets wat alle soorten gemeen hebben. De schallebijters die kunnen vliegen doen dat maar maar zelden.
Ecologie

Schallebijters zijn grotendeels carnivoor. Ze eten voornamelijk levende prooien. Van een aantal soorten is beschreven dat het menu voor een deel bestaat uit plantendelen zoals fruit. De paarse loopkever wordt vaak op vlindervallen aangetroffen. Verzamelaars van nachtvlinders lokken deze door boomstammen in te smeren met een mengsel van een suikerhoudende en een alcohohoudende substantie, die kennelijk ook onweerstaanbaar is voor de loopkevers.[13]
Ook aas wordt niet vermeden; schallebijters eten van dode dieren zoals muizen.[12]
De meeste soorten kiezen zachtere dieren uit als prooi, zoals wormen, rupsen en slakken. Van een aantal loopkevers is bekend dat ze de schadelijke larven van de coloradokever eten, zoals de gouden schallebijter, de rasterschallebijter en de kettingschallebijter.[14] De gouden schallebijter jaagt vooral op de schadelijke, aan plantenwortels vretende larven van de meikever (Melolontha melolontha).[13]
De larven van veel schallebijters zijn echte slakkenjagers. Door hun langwerpige bouw kunnen ze gemakkelijk in het slakkenhuis kruipen. De slak wordt vervolgens doodgebeten en met behulp van verteringsvloeistoffen opgenomen.
Vijanden
Loopkevers zoals schallebijters hebben te duchten van generalisten onder de insectenetende dieren. Voorbeelden zijn zoogdieren zoals muizen, egels en katachtigen. Ook vele insectenetende vogels eten de kever en de larven als ze de kans krijgen.
De kever kan ten prooi vallen aan parasitoïde schimmels uit de familie Clavicipitaceae. De schimmel doodt voornamelijk de larven en produceert onregelmatige langwerpige stelen op het lijk waaruit de vruchtlichamen groeien. Deze besmetten vervolgens weer andere insecten.
Taxonomie en indeling
De schallebijters zijn een geslacht van kevers (orde Coleoptera) die worden geplaatst in de onderfamilie Carabinae (waarvan ze de naamgever zijn) van de familie Carabidae (loopkevers) in de onderorde Caraboidea (roofkevers).
De loopkevers, en met name de schallebijters, zijn een relatief kleine groep van kevers maar vanwege hun relatief forse formaat en het algemene voorkomen in veel westerse landen behoren ze tot de best bestudeerde kevers. De indeling van de schallebijters is door de constante aanvoer van nieuwe inzichten al vele malen gewijzigd.
Alle schallebijters behoren tot het geslacht Carabus, dat verder wordt verdeeld in ondergeslachten. De grootte en het areaal kan per ondergeslacht sterk verschillen. Het ondergeslacht Damaster bijvoorbeeld telt slechts één soort, Damaster blaptoides, die alleen voorkomt in Japan en de noordelijker gelegen eilandengroep Koerilen die behoren tot Rusland. Hemicarabus daarentegen komt voor in een groot deel van de wereld: grote delen van Europa en verder in Azië en in Noord-Amerika.
Onderstaand een lijst van ondergeslachten; zie voor een lijst van alle soorten de lijst van schallebijters.
- Acathaicus
- Acoptolabrus
- Acrocarabus
- Alipaster
- Apoplesius
- Apotomopterus
- Archicarabus
- Archiplectes
- Aristocarabus
- Aulonocarabus
- Axinocarabus
- Calocarabus
- Carabus
- Carpatophilus
- Cathaicus
- Cathoplius
- Cavazzutiocarabus
- Cechenochilus
- Cechenotribax
- Cephalornis
- Chaetocarabus
- Chrysocarabus
- Chrysotribax
- Coptolabrodes
- Coptolabrus
- Cratocarabus
- Cratocechenus
- Cratocephalus
- Cratophyrtus
- Cryptocarabus
- Cryptocechenus
- Ctenocarabus
- Cupreocarabus
- Cychrostomus
- Cyclocarabus
- Cytilocarabus
- Damaster
- Deroplectes
- Diocarabus
- Eccoptolabrus
- Eocechenus
- Eotribax
- Eucarabus
- Euleptocarabus
- Eupachys
- Eurycarabus
- Fulgenticarabus
- Gnathocarabus
- Goniocarabus
- Hemicarabus
- Heterocarabus
- Homoeocarabus
- Hygrocarabus
- Hypsocarabus
- Imaibiodes
- Imaibius
- Iniopachus
- Ischnocarabus
- Isiocarabus
- Lamprostus
- Lasiocoptolabrus
- Leptocarabus
- Leptoplesius
- Lichnocarabus
- Limnocarabus
- Lipaster
- Macrothorax
- Meganebrius
- Megodontoides
- Megodontus
- Mesocarabus
- Microplectes
- Microtribax
- Mimocarabus
- Morphocarabus
- Neocarabus
- Neoplectes
- Neoplesius
- Nesaeocarabus
- Ohomopterus
- Ophiocarabus
- Oreocarabus
- Orinocarabus
- Oxycarabus
- Pachycarabus
- Pachystus
- Pagocarabus
- Pantophyrtus
- Parhomopterus
- Piocarabus
- Platycarabus
- Procechenochilus
- Procerus
- Procrustes
- Pseudocoptolabrus
- Pseudocranion
- Pseudotribax
- Qinlingocarabus
- Relictocarabus
- Rhigocarabus
- Rhipocarabus
- Scambocarabus
- Semnocarabus
- Shenocoptolabrus
- Shunichiocarabus
- Sphodristocarabus
- Stephanocarabus
- Tachypus
- Tanaocarabus
- Teratocarabus
- Titanocarabus
- Tmesicarabus
- Tomocarabus
- Trachycarabus
- Tribax
- Ulocarabus
Indeling
Van de 40.000 soorten loopkevers behoren er ongeveer 2000 tot de schallebijters. De poppenrovers (geslacht Calosoma) zijn het nauwst verwant aan de schallebijters, en behoren tot dezelfde onderfamilie Carabinae. Belangrijke verschillen tussen de schallebijters en de poppenrovers zijn dat deze laatsten goed kunnen vliegen en soms in bomen en struiken leven en niet op de bodem.
Hieronder staat een tabel met alle soorten die in België en Nederland voorkomen, en enkele andere soorten uit zeer nabije regio's. Soorten met een asterisk (*) komen in Nederland voor.[2] Zie voor een complete lijst van alle soorten schallebijters de lijst van schallebijters. Voor de lijst zijn verschillende bronnen gebruikt, zie hiervoor de tabelkop.
| Enkele soorten schallebijters met afbeelding | |||||
|---|---|---|---|---|---|
| Afbeelding | Naam[2] | Lengte[9] | Kleur[9] | Voorkomen | Bijzonderheden |
![]() |
Heideschallebijter* Carabus arcensis subsp. sylvaticus Dejean, 1826 |
16 tot 22 millimeter | Zeer variabel, groen tot bruin | In Turin (2000) nog onder de naam Carabus arvensis | |
![]() |
Gouden schallebijter* Carabus auratus Linnaeus, 1761 |
17 tot 30 millimeter | Helder groen met een opvallende metalige glans | Bosranden en bossen in Europa en Azië | Kan behoorlijk groot worden en is meerjarig |
| Goudglanzende schallebijter* Carabus auronitens Fabricius, 1792 |
18 tot 34 millimeter | Groen, metaalglans over het gehele lichaam maar met zwarte ribben en randen van de dekschilden | Delen van Europa, in Nederland alleen in het oosten | De kleur kan variëren van goudachtig tot blauw | |
![]() |
Rasterschallebijter* Carabus cancellatus Illiger, 1798 |
17 tot 32 millimeter | Meestal helderbruin, rode basis van de antennes | Grote delen van Europa | Is in Nederland sterk achteruitgegaan |
![]() |
Moerasschallebijter* Carabus clatratus Linnaeus, 1761 |
20 tot 36 millimeter | Zwart, rijen deukjes tussen de lengtegroeven op de dekschilden | Bossen | Middelgrote soort |
![]() |
Bolle schallebijter* Carabus convexus Fabricius, 1775 |
14 tot 20 millimeter | Zwart met soms blauwe zijden van de dekschilden | Berggebieden en warme delen van het Middellandse Zeegebied | Deze soort is een van de kleinste schallebijters; de kever leeft soms in groepen |
![]() |
Lederschallebijter* Carabus coriaceus Linnaeus, 1758 |
30 tot 40 millimeter | Zwart met een gekorrelde textuur op de dekschilden | Grote delen van Europa | Deze kever kan niet vliegen |
| Gladde schallebijter* Carabus glabratus Paykull, 1790 |
22 tot 34 millimeter | Zwart, geen duidelijk patroon op de dekschilden | Grote delen van Europa | Leeft in bossen en berggebieden, in Nederland zeldzaam | |
![]() |
Kettingschallebijter* Carabus granulatus Linnaeus, 1758 |
17 tot 23 millimeter | Zwart met een groene metaalglans | Niet algemeen | Een van de kleinste soorten schallebijters |
| Carabus hortensis Linnaeus, 1758 |
22 tot 30 millimeter | Middelgrote soort met een compacte bouw; het halsschild en de dekschilden hebben een gelige rand | Zeer variabel in kleur | ||
| Blauwe schallebijter* Carabus intricatus Linnaeus, 1761 |
24 tot 36 millimeter | Donkerblauw | In Nederland zeldzaam, alleen op de Veluwe en bij Nijmegen gevonden maar niet meer na 1941 | Deze soort is opvallend blauw en niet groen of bruin zoals de meeste schallebijters | |
![]() |
Carabus irregularis Fabricius, 1792 | 19 tot 30 millimeter | Koperkleurig met een metaalglans; de dekschilden dragen goudgroen gekleurde rijen putjes | Duitsland en zuidelijker | Deze soort heeft een sterk afgeplat lichaam in vergelijking met andere schallebijters |
| Carabus linnaei Panzer, 1810 | 16 tot 22 millimeter | Koperbruin met een groene glans, er is weinig variatie | In bossen van Centraal-Europa tot in Duitsland | Een van de kleinere soorten | |
![]() |
Graslandschallebijter* Carabus monilis Fabricius, 1729 |
17 tot 32 millimeter | Bruin tot blauw, zeer variabel van kleur | Zuidelijke delen van Europa tot in gematigde delen als Nederland | Middelgrote soort |
![]() |
Tuinschallebijter* Carabus nemoralis Müller, 1764 |
18 tot 28 millimeter | Bruin met een groene metaalglans | Grote delen van Europa | Vrij gedrongen soort die voorkomt in bossen en bosranden |
![]() |
Goudrandschallebijter* Carabus nitens Linnaeus, 1758 |
13 tot 18 millimeter | Groen, sterke richels op de dekschilden | Zuid-Europa tot Midden-Europa | Een van de kleinste soorten |
![]() |
Blauwzwarte schallebijter* Carabus problematicus Herbst, 1768 |
20 tot 30 millimeter | Zee variabel, van groen tot bruin of zwart | Duinen en zanderige streken langs bossen | Vrij kleine en variabele soort, die voorkomt tot boven de poolcirkel |
![]() |
Carabus scheidleri Panzer, 1799 | 25 tot 35 millimeter | Donkergroene kleur | In Duitsland en meer oostelijke landen | |
![]() |
Carabus sylvestris Panzer, 1793 | 17 tot 25 millimeter | Variabel, groen tot bruin | Grote delen van Europa | De kever komt voor in bossen in bergstreken |
![]() |
Ullrichs schallebijter Carabus ulrichii Germar, 1824 |
20 tot 34 millimeter | Bruin met metaalglans, heeft een duidelijk kettingmotief op de dekschilden. | Midden- en zuidelijk Europa, naar het zuiden toe algemener | Is vermoedelijk in Nederland nooit inheems geweest |
![]() |
Carabus variolosus Fabricius, 1787 | 20 tot 33 millimeter | Zeer donker tot zwart | Centraal- en zuidelijk Europa | Deze soort heeft geen rijen putjes of kettingmotieven op de dekschilden maar relatief grove bulten |
![]() |
Paarse loopkever* Carabus violaceus Linnaeus, 1758 |
22 tot 35 millimeter | Zwart met een opvallende paarse glans | Grote delen van Europa | |
![]() |
Violette schallebijter* Carabus violaceus subsp. purpurascens Fabricius, 1787 |
22 tot 35 millimeter | Zwart met een opvallende paarse glans | Grote delen van Europa | Is in België en Nederland een algemene ondersoort |
Referenties
- ↑ Turin, H. (2000). De Nederlandse loopkevers, verspreiding en oecologie. KNNV, pp. 141. ISSN 1386-3762
- ↑ a b c d e Nederlands Soortenregister, Schallebijters Carabus.
- ↑ J. Vercoullie (1925), Beknopt etymologisch woordenboek der Nederlandsche taal.
- ↑ Bug Guide, Genus Carabus.
- ↑ Thorsten Assmann1, Jörn Buse1, Claudia Drees et al., The Carabus fauna of Israel – updated identification key, faunistics, and habitats (Coleoptera: Carabidae).
- ↑ Bjørn Arild Hatteland & Erling Hauge, Carabus hortensis L. (Coleoptera, Carabidae) in northern Norway. [dode link]
- ↑ H. Bellmann & W.R.B. Heitmans, Insecten van Europa - Gouden loopkever.
- ↑ Jiři Zahradnik & Milan Chvála (1990). De Grote Encyclopedie der Insecten. Rebo Productions, Pagina 234. ISBN 90 366 0450 8.
- ↑ a b c Karl Wilhelm Harde & František Severa (1981–2006). Kosmos Käferführer - Die Käfer Mitteleureuopas. Kosmos, 96–102.
- ↑ Karl Wilhelm Harde & František Severa (1981–2006). Kosmos Käferführer - Die Käfer Mitteleureuopas. Kosmos, pp. 130. ISBN 978-3440-10617-4.
- ↑ Giglio A, Brandmayr P, Dalpozzo R, Sindona G, Tagarelli A, Talarico F, Brandmayr TZ, Ferrero EA., The defensive secretion of Carabus lefebvrei Dejean 1826 pupa (Coleoptera, Carabidae): gland ultrastructure and chemical identification. (abstract).
- ↑ a b Jiři Zahradnik & Milan Chvála (1990). De Grote Encyclopedie der Insecten. Rebo Productions, Pagina 235. ISBN 90 366 0450 8.
- ↑ a b D. Hillenius e.a. (1971). Spectrum Dieren Encyclopedie Deel 4. Uitgeverij Het Spectrum, 1252, 1253. ISBN 90 274 2094 7.
- ↑ Jiři Zahradnik & Milan Chvála (1990). De Grote Encyclopedie der Insecten. Rebo Productions, Pagina 365. ISBN 90 366 0450 8.
Bronnen
- Turin, H. (2000). De Nederlandse Loopkevers, Uitgeverij KNNV, Naturalis & EIS Nederland, ISBN 9789050111362; Dit boek beschrijft de ongeveer 380 soorten loopkevers die in Nederland en omringende gebieden zijn waargenomen.
- (de) Karl Wilhelm Harde & František Severa (1981–2006). Kosmos Käferführer – Die Käfer Mitteleureuopas; Kosmos, ISBN 978-3440-10617-4
- (nl) D. Hillenius e.a. (1971). Spectrum Dieren Encyclopedie Deel 4: 1252, 1253; Uitgeverij Het Spectrum, ISBN 9027420947
Meer informatie
.jpg)
















_01.jpg)