Rossige schaatsenrijder
| Rossige schaatsenrijder | |||||||||||||||
|---|---|---|---|---|---|---|---|---|---|---|---|---|---|---|---|
| |||||||||||||||
| Taxonomische indeling | |||||||||||||||
| |||||||||||||||
| Soort | |||||||||||||||
| Gerris lateralis Schummel, 1832 | |||||||||||||||
| Afbeeldingen op | |||||||||||||||
| |||||||||||||||
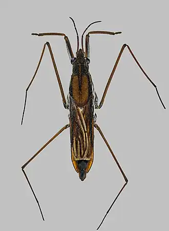
De rossige schaatsenrijder (Gerris lateralis) is een wants uit de familie van de Gerridae (Schaatsenrijders). De soort werd het eerst wetenschappelijk beschreven door Theodor Emil Schummel in 1832.
Uiterlijk
De donkerbruin gekleurde schaatsenrijder is ongevleugeld (apteer) of langvleugelig (macropteer) en kan 9 tot 11 mm lang worden. Het donkerbruine lichaam is bedekt met korte goudkleurige haartjes, soms is de beharing wat lichter en rossig. Het halsschild ziet er ook rossig uit en heeft zwarte randen met rossige haartjes erlangs, over het midden loopt een duidelijke okergele streep. Het achterste deel van het halsschild is voor een groot deel lichter geel. Het donkere achterlijf is omzoomd met een lichtbruine rand (connexivum). Bij de aptere varianten is op de laatste vijf segmenten van het achterlijf in het midden een lijn van langwerpige witte vlekjes zichtbaar. De rossige antennes zijn vanaf het einde van het derde segment zwart. De pootjes zijn bruin met op de voordijen een langwerpige zwarte vlek. De rossige schaatsenrijder van verward worden met de bruine schaatsenrijder (Gerris thoracicus), die heeft echter alleen een vierde antennesegment dat donkerder is en niet de duidelijk okergele middenlijn op het halsschild.
Leefwijze
De wants leeft aan de oppervlakte van het water. Ze kunnen over het wateroppervlak lopen en ze jagen op kleine insecten, die vlak onder het wateroppervlak leven, bijvoorbeeld muggenlarven, maar vooral van insecten, die in het water zijn gevallen. De soort doorstaat de winter als imago, de levenscyclus in Nederland is niet bekend, mogelijk kent de soort soms een tweede generatie per jaar. De volwassen wantsen worden van maart tot oktober op stilstaande, beschaduwde wateren met een bodem van veen of grof organisch materiaal en spaarzame vegetatie of zonbeschenen wateren in de schaduw van overhangende bomen of grassen en riet. In het voorjaar worden meestal langvleugelige varianten gevonden en in de herfst zijn de kortvleugelige exemplaren in de meerderheid.
Leefgebied
De schaatsenrijder is in Nederland zeer zeldzaam. De verspreiding is Palearctisch , voornamelijk in Europa .
Externe link
- Kaarten met waarnemingen:
