Orkaanseizoen van de Grote Oceaan 2006
| Orkaanseizoen van de Grote Oceaan 2006 | ||||
|---|---|---|---|---|
| ||||
Overzichtskaart van het seizoen
| ||||
| Formatie eerste storm | 27 mei 2006 | |||
| Oplossen laatste storm | 20 november 2006 | |||
| Sterkste storm | Ioke met 915 hPa, 260 km/h (1-min continu) | |||
| Totaal depressies | 25 | |||
| Totaal stormen | 19 | |||
| Orkanen | 11 | |||
| Majeure orkanen | 4 | |||
| Slachtoffers | 14 (totaal) | |||
| Schade | US$ 355 miljoen (prijspeil 2006) | |||
| ||||
Het orkaanseizoen van de Grote Oceaan 2006 begon op 15 mei 2006 en eindigde op 30 november 2006. Dit orkaanseizoen betreft twee verschillende gebieden en daarmee eigenlijk twee verschillende seizoenen. Oostelijk van de 140e graad westerlengte begint het seizoen op 15 mei, in het gebied westelijk ervan tot aan de datumgrens begint het seizoen op 1 juni, net als de Atlantische orkaanseizoenen. Voor beide gebieden eindigt het seizoen op 30 november. Tropische depressies, die zich ten oosten van de 140e graad westerlengte vormen, krijgen het achtervoegsel "-E" (East) achter hun nummer. Tropische depressies, die zich tussen de 140e graad westerlengte en de datumgrens vormen, krijgen het achtervoegsel "-C" (Central). Als een tropische storm een naam krijgt uit het centrale gebied, staat achter de naam in het kopje '(C)' vermeld.
Tot nog toe leverde het seizoen 25 tropische cyclonen, waarvan 19 tropische stormen, waarvan tien orkanen, waarvan vijf majeure orkanen. Eén orkaan, Ioke, ontstond in het bekken van de centrale Grote Oceaan. Het was voor het eerst sinds 2002 dat een tropische cycloon in dat gebied de status van tropische storm en die van orkaan bereikte. Ioke werd uniek toen zij vervolgens de vijfde categorie bereikte; zij is de eerste tropische cycloon in de geschiedenis die gevormd is in het centrale deel van de Grote Oceaan en binnen dat bassin promoveerde tot tropische storm, orkaan én majeure orkaan én de vijfde categorie bereikte. Daardoor werd zij de eerste orkaan van de vijfde categorie met een Hawaïaanse naam. Nadat zij de vijfde categorie had bereikt, stak zij de datumgrens over en ging verder in het tyfoonseizoen van de Grote Oceaan als de tyfoon Ioke.
Voorspelling
| Bron | Datum | Tropische stormen |
Orkanen | Majeure Orkanen |
| NOAA | Langjarig gemiddelde[1] | 15.3 | 8.8 | 4.2 |
| NOAA | voorspelling 22 mei 2006 | 12–16 | 6–8 | 1–3 |
| Activiteit tot nog toe (Oost) | 18 | 10 | 5 | |
| Activiteit tot nog toe (Centraal) | 1 | 1 | 1 | |
Op 22 mei 2006 bracht het NOAA, het nationaal bureau voor oceanografie en meteorologie (National Oceanic and Atmospheric Administration) zijn voorspelling uit voor het komende seizoen en verwachtte, dat het een beneden normaal seizoen zou worden met 12 tot 16 tropische stormen, waarvan er 6 tot 8 er zullen aanwassen tot orkaan, waarvan één tot drie orkanen de derde categorie of hoger zouden kunnen bereiken. Het bureau verwacht geen noemenswaardige invloed van el Niño noch la Niña op het Orkaanseizoen van de Grote Oceaan. Voor het gebied van de centrale Grote Oceaan (tussen 140° WL en de datumgrens) verwacht het bureau twee à drie tropische cyclonen (het gemiddelde is vijf), waarvan de sterkte niet nader voorspeld wordt.
Cyclonen
Zie ook Kroniek van het orkaanseizoen van de Grote Oceaan 2006 voor een chronologische opsomming van de gebeurtenissen en de tijdbalk van het seizoen.
Tropische storm Aletta
.jpg)

Op 23 mei ontstond er ten zuidzuidwesten van Acapulco een storing, die gestaag tot ontwikkeling kwam. Op 27 mei promoveerde de storing tot tropische depressie 1-E en enkele uren later tot tropische storm Aletta. Aletta is de eerste tropische cycloon van het jaar 2006 op het westelijk halfrond. Aletta wies aan tot windsnelheden tot 75 km per uur en een minimale druk van 1002 mbar. Aletta koerste aanvankelijk richting de kust van Oaxaca en Guerrero, maar is toen tot stilstand gekomen, door een rug van hoge druk aan haar noordflank en dwaalde de volgende dag voor de Mexicaanse kust. De rug van hoge druk week tijdelijk, zodat Aletta langzaam naar het noorden dreef. Nadat de rug van hoge druk zich weer opgebouwd had, werd Aletta naar het westen geduwd. Aletta's convectie verdween grotendeels en door de eerder geleden westelijke schering aan haar westflank, werd zij asymmetrisch van vorm en slecht georganiseerd. Op 30 mei degradeerde Aletta tot een tropische depressie ten zuidwesten van de kust van Guerrero. De westelijke schering, die zij tot nog toe aan haar westflank te lijden had, die tijdelijk was verdwenen, nam nu weer toe. Aletta koerste over warm water 28 à 29 °C, maar droge lucht en schering beletten nog een krachttoename. Op 30 mei verloor zij haar gesloten circulatie, waardoor zij niet langer een tropische cycloon was.
Tropische depressie 2-E


Begin juni ontwikkelde een tropische onweersstoring zich langzaam ten zuiden van kust van de Mexicaanse staat Guerrero. De storing toonde meer en meer organisatie en diepe convectie en ontwikkelde een gesloten circulatie. Op 3 juni ontwikkelde een hogedrukgebied op grote hoogte zich in de buurt van de storing, die de uitstoot van een tropische cycloon deels bespoedigde en daardoor kon op 3 juni de storing promoveren tot tropische depressie 2-E. Zij bereikte direct haar hoogtepunt met windsnelheden tot 56 km/uur en een minimale druk van 1005 mbar. Tropische depressie 2-E trok aanvankelijk naar het noordnoordoosten en later naar het noordoosten, richting Mexicaanse kust. De staten Guerrero en Michoacán de Ocampo ondervonden zware regenval, waarmee tropische depressie 2-E gepaard ging; te Acapulco was 280 mm regen gevallen en op sommige plaatsen viel méér dan 630 mm (63 centimeter) regen. Op 4 juni kwam tropische depressie 2-E tot stilstand voor de Mexicaanse kust en raakte gedesintegreerd, doordat haar circulatie al over het Mexicaanse vasteland liep en ten gevolge van schering. Na een korte periode stationair gelegen te hebben trok tropische depressie 2-E weer versneld naar het oosten en verzwakte vervolgens ten gevolge van schering en drogere lucht in de middelste lagen van de atmosfeer. Op 5 juni loste tropische depressie 2-E op, voordat zij de kust bereikte.
Orkaan Bud


.jpg)
Na de eerste week van juli trok een storing met diepe convectie westwaarts over de Grote Oceaan westwaarts. De omstandigheden werden steeds beter en op 11 juli vormde zich tropische depressie 3-E op ongeveer 1200 km ten zuiden van het zuidelijkste puntje van Baja California Sur. Tropische depressie 3-E bezat een goede uitstoot over alle kwadranten, behalve de noordelijke, omdat een lagedrukgebied op grote hoogte aan haar noordflank lichte schering over haar bracht, maar de invloed van dit lagedrukgebied werd steeds minder, zodat ook dit kwadrant goed ontwikkeld werd. Enkele uren later promoveerde tropische depressie 3-E tot tropische storm Bud. Toen de schering verdween en Bud zich nog beter kon organiseren, volgde een scherpe toename in intensiteit en promoveerde Bud dezelfde dag tot orkaan. Op 12 juli bereikte Bud de tweede categorie. Daarna stabiliseerde de intensiteit van Bud, om na 24 uur opnieuw fors in kracht toe te nemen. Op 13 juli bereikte Bud de derde categorie en bereikte zijn hoogtepunt met windsnelheden tot 204 km/uur en een minimale druk van 953 mbar. Daarna geraakte Bud boven zeewater, dat een temperatuur had van 25 °C en verzwakte. Daarna geraakte Bud boven nog koeler water en degradeerde op 14 juli snel tot tropische storm en op 15 juli tot tropische depressie. Tropische depressie Bud verloor vervolgens zijn convectie en werd een resterend lagedrukgebied.
Orkaan Carlotta


Een storing, die al enige dagen ten zuiden van de kust van Guerrero en Oaxaca dreef, ontwikkelde zich in de eerste helft van juli langzaam tot een breed lagedrukgebied, waaruit op 12 juli tropische depressie 4-E ontstond op 415 km ten zuidwesten van Acapulco de Juárez. Tropische depressie 4-E werd geleid door hetzelfde hogedrukgebied als Bud en trok naar het westnoordwesten, parallel aan de Mexicaanse zuidkust. Boven Manzanillo lag nu een lagedrukgebied op grote hoogte, dat met tropische depressie 4-E meetrok en de uitstoot van tropische depressie 4-E assisteerde. Het zorgde voor een goede uitstoot van de tropische cycloon, waardoor die zich snel kon ontwikkelen. Enkele uren later kon tropische depressie 4-E zich nog beter organiseren en promoveerde tot tropische storm Carlotta. Carlotta nam gestaag in kracht toe, terwijl zij haar koers naar het westnoordwesten versnelde. Op 13 juli promoveerde Carlotta tot orkaan en bereikte haar hoogtepunt met windsnelheden tot 139 km/uur en een minimale druk van 981 mbar. Carlotta kreeg te kampen met lichte schering, niet in de laatste plaats door de krachtige uitstoot van Bud. Toen Bud verzwakte kwam Carlotta terug op haar hoogtepunt. Carlotta kwam echter boven koeler water en degradeerde op 14 juli tot tropische storm. Toch beleefde zij een nieuwe opleving van convectie en promoveerde nogmaals tot orkaan. Ook deze nieuwe opleving ebde in 12 uur weer weg en Carlotta werd opnieuw een tropische storm. Op 16 juli verzwakte Carlotta tot tropische depressie, die op 17 juli al haar convectie had verloren.
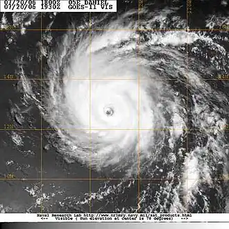
Orkaan Daniel


Net zoals Bud, ontwikkelde zich uit de volgende storing op ongeveer 1175 km ten zuiden van het uiterste zuidelijke puntje van Baja California Sur op 17 juli tropische depressie 5-E. Aanvankelijk was tropische depressie 5-E nog matig georganiseerd, maar er ontwikkelden zich snel spiraalbanden aan de periferie van het systeem en ook de temperatuur van de toppen van de cumulonimbi daalde naar -80 °C, wat duidt op sterke convectie. Twaalf uur na het ontstaan van tropische depressie 5-E promoveerde zij tot tropische storm Daniel. Daniel werd westwaarts geleid door dezelfde rug van hoge druk, die Bud en Carlotta op een westelijke koers zette. Daniel begon gestaag aan kracht te winnen. Op 18 juli promoveerde Daniel tot orkaan. Daniel organiseerde zich verder tot een symmetrische orkaan met goed gedefinieerde spiraalbanden en een zeer goede uitstoot. Ook ontwikkelde Daniel een zeer klein oog van 9 km in diameter. Dit oog kon niet lang stand houden en Daniel geraakte in een oogrokvervangingscyclus (Engels: Eyewall Replacement Cycle).
Dat wil zeggen, dat de diameter van het oog te klein wordt voor de harde winden, die door de toenemende middelpuntvliedende kracht een grotere diameter nodig hebben. Daardoor formeert er zich een nieuwe wijdere oogrok, die de oude geheel omvat. De diepe convectie aan de buitenkant kan niet door de nieuwe oogrok komen en de oude bereiken.

Hierdoor verpietert de oude oogrok langzaam, want die krijgt (bijna) geen voeding meer. Tijdens zo een cyclus is de intensiteit van een orkaan zwakker, dan men op grond van de satellietbeelden zou vermoeden, maar als een orkaan zo een cyclus weet te voltooien, kan hij meestal sterk in kracht toenemen. Zo ook Daniel; op 20 juli bereikte hij de derde categorie en was daarmee de tweede majeure orkaan van het seizoen. Bovendien kwam Daniel als ringvormige orkaan uit de cyclus. Dit type kan zich in ongunstigere omstandigheden langer handhaven en maakt geen verdere oogrokvervangingscycli meer door. Dezelfde dag nog werd Daniel de eerste orkaan van de vierde categorie van dat seizoen. Op 21 juli bereikte Daniel zijn hoogtepunt met windsnelheden tot 222 km/uur en een minimale druk van 942 mbar. Daarna stabiliseerde Daniel en nam opnieuw in kracht toe met windsnelheden tot 241 km/uur en een minimale druk van 933 mbar op 22 juli, een sterke orkaan van vierde categorie op de grens van de vijfde categorie.
Daniel handhaafde deze intensiteit 18 uur lang en nam daarna iets in kracht af. Op 23 juli zette onder invloed van de koude Californische stroom een scherpere verzwakking in en Daniel zakte naar de tweede categorie. Op 24 juli overschreed Daniel de 140e breedtegraad westerlengte en liep als orkaan van de tweede categorie het bassin van de centrale Grote Oceaan binnen. Aanvankelijk bedreigde Daniel Hawaï, maar boven koeler wordend water en sterkere schering vertraagde Daniel zijn westnoordwestelijke koers en degradeerde op 25 juli tot tropische storm en de volgende dag tot tropische depressie. Daniel verloor al zijn convectie en het Central Pacific Hurricane Center staakte zijn waarschuwingen betreffende Daniel op 26 juli.
Tropische storm Emilia


Half juli trok een tropische onweersstoring westwaarts ten zuiden van de Mexicaanse kust. Deze storing had te kampen met schering en kwam maar langzaam tot ontwikkeling. Maar op 21 juli had het systeem een gesloten circulatie en voldoende convectie opgebouwd en ontstond hieruit op 610 km ten zuidzuidwesten van Acapulco de Juárez tropische depressie 6-E. Tropische depressie 6-E dreef noordwestwaarts. De volgende dag vertoonde tropische depressie 6-E een scherpe uitbraak van convectie, ondanks matige schering uit het noordoosten, voldoende op te promoveren tot tropische storm Emilia. Emilia bleef een zwakke tropische storm, die onder invloed van een trog van lage druk op grote hoogte ten noordwesten van haar eerst noordnoordwestwaarts en later westnoordwestwaarts trok.
De schering nam af en Emilia kwam boven warmer zeewater terecht waardoor zij snel in kracht kon toenemen tot sterke tropische storm net beneden de orkaandrempel (110 km/uur, 989 mbar). De dagen daarop fluctueerde Emilia in intensiteit, terwijl zij langs de Neder-Californische kust trok. Op 25 juli bereikte zij nogmaals haar hoogtepunt net onder de orkaandrempel, maar de volgende dag, op 26 juli kwam zij boven koeler water terecht (beneden de 22 °C) en kreeg zij te maken met stabiele luchtmassa's, zodat zij vrij snel in kracht afnam. Op 27 juli degradeerde Emilia tot een tropische depressie, die bijna al haar convectie had verloren. De volgende dag was alle convectie van Emilia opgelost en dreef het resterend lagedrukgebied ten westen van Neder-Californië over de Grote Oceaan.
Tropische storm Fabio


Op 29 juli ontstond er een lagedrukgebied in een tropische golf op 1200 km ten zuidzuidwesten van het zuidelijkste puntje van Neder-Californië. Het lagedrukgebied trok westwaarts en organiseerde zich snel. Enkele dagen bleef de tropische onweersstoring goed georganiseerd, maar zij promoveerde pas op 31 juli tot tropische depressie 7-E op 1540 km ten zuidoosten van het uiterste zuiden van Neder-Californië. Tropische depressie 7-E trok naar het westen en westnoordwesten en promoveerde op 1 augustus tot tropische storm Fabio en Fabio bereikte die dag zijn hoogtepunt met windsnelheden tot 83 km/uur en een minimale druk van 1000 mbar. De zuidzuidoostelijke schering en de stabiele luchtmassa's met droge lucht, die Fabio omringen, werden Fabio te machtig en beroofden hem langzaam maar zeker van zijn convectie. Op 3 augustus degradeerde Fabio tot een tropische depressie, die later die dag al haar convectie verloor.
Tropische storm Gilma


Eind juli trok een tropische onweersstoring ten zuiden van de Mexicaanse kust westwaarts. Deze storing kwam tot ontwikkeling en op 1 augustus promoveerde zij tot tropische depressie 8-E op 680 km ten zuidwesten van Acapulco de Juárez, ondanks de oostelijke schering, die zij en haar iets oudere broertje Fabio ondervond. Tropische depressie 8-E trok westnoordwestwaarts en promoveerde 6 uur na haar ontstaan tot tropische storm Gilma. Gilma bereikte die dag haar hoogtepunt als zwakke tropische storm met windsnelheden tot 65 km/uur en een minimale druk van 1005 mbar. Ook Gilma had te kampen met bovengenoemde oostelijke schering en droge luchtmassa's, zodat zij op 2 augustus degradeerde tot tropische depressie degradeerde. Gilma trok noordwestwaarts, terwijl haar circulatie degenereerde. Op 3 augustus was zij, ontdaan van haar circulatie niet langer een tropische cycloon.
Orkaan Hector


Op 14 augustus lag er een breed lagedrukgebied op ongeveer 800 km ten zuidzuidwesten van Manzanillo in de Mexicaanse staat Colima. Het lagedrukgebied bezat reeds enige convectie en trok naar het westnoordwesten. De storing organiseerde zich en er ontstond een anticyclonische circulatie boven het lagedrukgebied, dat de uitstoot en daarmee de ontwikkeling van een tropische cycloon bevorderde. De volgende dag ontwikkelde zich een gesloten circulatie aan het aardoppervlak en op 15 augustus ontstond uit tropische depressie 9-E op 1185 km ten zuidzuidwesten van het zuidelijkste puntje van Baja California Sur. Tropische depressie 9-E trok westwaarts aan de zuidflank van een rug van hoge druk en promoveerde op 16 augustus tot tropische storm Hector. Hector won aan kracht, ondanks lichte noordoostelijke schering en promoveerde op 17 augustus tot orkaan.
Op 18 augustus bereikte Hector zijn hoogtepunt met windsnelheden tot 167 km/uur en een minimale druk van 970 mbar. Daarna vrat windschering de westelijke oogrok aan, waardoor Hector iets in kracht afnam. Echter 24 uur later herstelde Hector zich en bereikte opnieuw windsnelheden tot 167 km/uur en een minimale druk van 970 mbar. Daarna nam de noordwestelijke schering, veroorzaakt door een trog van lage druk op grote hoogte ten noordwesten van Hector, toe en kwam er bovendien in het zuidwestelijke kwadrant van Hector droge, stabiele lucht terecht, waardoor Hector verzwakte. De trog van lage druk op grote hoogte deed Hector op 20 augustus zijn koers vertragen en bijdraaien naar het noordwesten. Intussen was Hector boven koeler zeewater geraakt van minder dan 24 °C en door al deze factoren, degradeerde Hector tot tropische storm. Aan de noordflank wist de convectie zich nog te handhaven, maar op 22 augustus werd deze van de centrale vortex weggeblazen en de resterende vortex trok nu weer westnoordwestwaarts met de stroming mee in de onderste lagen van de atmosfeer. Hector hield nog een etmaal stand als tropische storm. Maar op 23 augustus was hij als zijn convectie verloren en gedegenereerd tot een resterend lagedrukgebied.
Orkaan-tyfoon Ioke (C)
Zie ook tyfoonseizoen van de Grote Oceaan 2006


Op 16 augustus verscheen er een storing op de Grote Oceaan in een trog van lage druk, ver ten zuidoosten van Hawaï. Deze storing trok westwaarts, en vertoonde meer en meer convectie, maar bezat geen gesloten circulatie. Deze ontwikkelde zich langzaam, ondanks dat de winden op grote hoogte aanvankelijk niet gunstig waren voor cyclongenesis. Op 20 augustus promoveerde het systeem tot tropische depressie 1-C nabij 10°NB, 158°WL, oftewel 1250 km ten zuiden van Honolulu. Tropische depressie 1-C trok verder westnoordwestwaarts en promoveerde enkele uren later tot tropische storm Ioke. In het bassin van de centrale Grote Oceaan zijn tropische cyclonen geen alledaags verschijnsel; elk jaar vormen er zich een paar, maar het is 4 jaar geleden, dat de laatste tropische depressie promoveerde tot tropische storm en een naam kreeg. De naam Ioke is de Hawaïaanse versie van de Engelse naam Joyce. Ioke nam snel in kracht toe en promoveerde binnen 24 na haar ontstaan tot de eerste orkaan in het bassin van de centrale Grote Oceaan in vier jaar.
Loke trok in westnoordwestelijke richting onder invloed van een trog van lage druk in de middelste en hogere lagen van de atmosfeer ten noordwesten van Ioke, dat in samenspel met een rug van hoge druk ten oostnoordoosten van Ioke voor een westnoordwestelijke stroming zorgde. Ioke won snel aan kracht en bereikte op 21 augustus de derde categorie, waarmee zij de eerste majeure orkaan in het bassin van de centrale Grote Oceaan werd. Ioke ontwikkelde een robuuste, symmetrische oogrok en bereikte zes uur later op 22 augustus haar voorlopig hoogtepunt met windsnelheden tot 213 km/uur en een minimale druk van 945 mbar; een orkaan van de vierde categorie. Daarna verzwakte Ioke door zuidwestelijke schering van ongeveer 18 knopen.
Op 23 augustus passeerde Ioke rakelings ten zuidwesten van het eiland Johnston als stevige tweedecategorieorkaan. Het eiland, een natuurreservaat is sinds een jaar onbewoond. Toch moesten 13 opvarenden van een onderzoeksschip van de Amerikaanse luchtmacht dekking zoeken voor Ioke in een verlaten, orkaanbestendige bunker. Daarna won Ioke opnieuw aan kracht: haar oog werd gereconstrueerd en haar vorm won aan symmetrie, zodat zij op 24 augustus opnieuw de derde categorie bereikte. Door de sterke, opbouwende rug van hoge druk aan haar noordflank in combinatie met een westwaarts trekkende trog van lage druk net ten westen van de datumgrens draaide Ioke bij van het noordwesten naar het westnoordwesten en later naar het westen. Daarna won zij nog meer aan symmetrie en haar oogrok werd robuust en weer geheel gesloten.
Zij bereikte op 25 augustus de vijfde categorie. Dit is op zich al geen alledaags verschijnsel, het is in het bassin van de centrale Grote Oceaan slechts de vijfde orkaan van de vijfde categorie in de geschiedenis. Echter, Ioke is de enige orkaan van de vijfde categorie die geboren en getogen is in dit bassin (cyclogenese, tropischestormstatus, orkaanstatus, majeureorkaanstatus en de vijfde categorie allemaal bereikt in het eigen bassin). De laatste orkaan die in het bassin van de centrale Grote Oceaan de vijfde categorie bereikte, was orkaan John in 1994 en zoals zijn naam verraadt, kwam hij – zoals alle andere orkanen van de vijfde categorie voor Ioke – oorspronkelijk uit een ander bassin. Daarna maakte Ioke op 25 en 26 augustus een oogrokvervangingscyclus door, waardoor zij tijdelijk tot de vierde categorie verzwakte.
Toen Ioke de cyclus had voltooid, koelde haar cirrusbewolking opnieuw af tot -72 °C à -75 °C en promoveerde zij twaalf uur later op 26 augustus nogmaals naar de vijfde categorie met een iets lagere druk; 920 mbar. De rug van hoge druk aan haar noordflank breidde zich nog verder westwaarts uit, zodat Ioke op 27 augustus bijdraaide naar het westzuidwesten. Enkele uren later die dag bereikte Ioke de datumgrens, waar zij haar titel van orkaan aflegde en verderging als de tyfoon Ioke. Deze tyfoon maakte vanaf dat moment deel uit van het tyfoonseizoen van de Grote Oceaan 2006. Voor de volledigheid zal het verdere verloop van Ioke toch hier beschreven worden. Na haar oversteek van de datumgrens zakte Ioke eerst opnieuw naar de vierde categorie, maar bereikte op 29 augustus toch weer de vijfde categorie. Op 31 augustus passeerde Ioke rakelings ten noordoosten van het eiland Wake. Daarna verzwakte Ioke gestaag boven koeler wordend water.
Op 3 september naderde een trog van lage druk op grote hoogte vanuit het westen en deze stuwde Ioke in een noordwestelijke richting. Bovendien begon Ioke schering te ondervinden door de trog. Op 4 september begon Ioke, terwijl zij Japan naderde, steeds meer naar het noorden en later naar het noordoosten bij te draaien. Ze koerste noordoostwaarts ruim ten oosten van de Japanse kust boven steeds koeler water en degradeerde op 5 september tot zware tropische storm. Op dat moment begon zij echter haar tropische kenmerken te verliezen ten noordoosten van Japan en 12 uur later staakte het Joint Typhoon Warning Center zijn observaties van Ioke. Later degradeerde het Japans Meteorologisch Instituut Ioke op 6 september tot een zware tropische storm en verklaarde een dag later dat Ioke een extratropische storm was geworden.
Orkaan Ileana

Op 19 augustus verscheen er een tropische golf ten zuiden van de Golf van Tehuantepec, die westwaarts trok en snel tot ontwikkeling kwam. De tropische onweersstoring ontwikkelde een gesloten circulatie en convectie, zodat op 21 augustus het systeem promoveerde tot tropische depressie 10-E op ongeveer 525 km ten zuidzuidwesten van Acapulco. Tropische depressie 10-E trok noordwestwaarts aan de zuidwestflank van een rug van hoge druk boven Mexico en promoveerde enkele uren na haar ontstaan tot tropische storm Ileana. Ileana won aan kracht onder gunstige omstandigheden; de temperatuur van het zeewater lag boven de 29 °C, zodat zij op 22 augustus tot orkaan aanwakkerde. Ileana ontwikkelde daarnaast een oog en boven haar ontwikkelde zich een hogedrukgebied op grote hoogte, dat haar assisteerde bij haar uitstoot. Ileana consolideerde de structuur van haar centrum, zodat zij optimaal van het hogedrukgebied zou kunnen profiteren. Daardoor won zij op 23 augustus snel aan kracht en bereikte de derde categorie.
Op 23 en 24 augustus bereikte Ileana haar hoogtepunt met windsnelheden tot 194 km/uur en een minimale druk van 955 mbar. Daarna verzwakte zij door een oogrokvervangingscyclus. Toen zij daar uit kwam, kende haar convectie een tijdelijke opleving, maar ze was intussen in ongunstige omstandigheden geraakt; het zeewater was koeler geworden en zij werd omringd door stabielere, drogere luchtmassa's, die haar structuur aantastten en haar oog deden vervagen. Hierdoor verzwakte zij gestaag en op 26 augustus degradeerde zij tot tropische storm, die haar diepe convectie verloor. Op 27 augustus degradeerde Ileana tot tropische depressie. Ileana had al 18 uur geen diepe convectie meer gegenereerd en loste dezelfde dag op, op 1125 km ten westen van het zuidelijkste puntje van Neder-Californië.
Orkaan John
.jpg)

Op 25 augustus begon een lagedrukgebied ten zuiden van Guatemala convectie te vertonen en zich te organiseren. Het systeem trok enige dagen westnoordwestwaarts en promoveerde op 28 augustus tot tropische depressie 11-E op 610 km ten zuidoosten van Acapulco de Juárez. Tropische depressie 11-E trok noordwestwaarts aan de zuidwestflank van een rug van hoge druk in de middelste en bovenste lagen van de atmosfeer boven het noordoosten van Mexico. Tropische depressie 11-E won zeer snel aan kracht en zes uur na haar ontstaan waren de T-nummers toegenomen tot 2,5 à 3,0. Voldoende om te promoveren tot tropische storm John. De volgende dag promoveerde John tot orkaan en bereikte zes uur later de derde categorie. De tropische cycloon was binnen 30 uur na zijn ontstaan aangewakkerd tot majeure orkaan. John trok bijna parallel aan de Mexicaanse kust, maar kwam wel steeds dichterbij en de Mexicaanse regering vaardigde tropischestormwaarschuwingen uit, die later omgezet werden in orkaanwaarschuwingen.
Op 30 augustus begon John aan een oogrokvervangingscyclus en begon een steeds grotere bedreiging te vormen voor de kust van Oaxaca, Michoacán en Guerrero. Daarom werd er een verkenningsvliegtuig gestuurd (hetgeen niet vaak gebeurt bij orkanen in de Grote Oceaan) en dat trof John aan na voltooiing van zijn oogrokvervangingscyclus als vierdecategorieorkaan. De volgende dag raakte John dichter bij de kust en mogelijk door de interactie van zijn circulatie met de Westelijke en de Zuidelijke Sierra Madre en/of een nieuwe oogrokvervangingscyclus, verzwakte hij tot de tweede categorie. Op 1 september kwam John iets verder van de kust en bereikte opnieuw de derde categorie. John passeerde ten zuiden van de ingang van de Golf van Californië en landde op 2 september op de kust van Baja California Sur nabij Cabo del Este met windsnelheden van 176 km/uur en een minimale druk van 958 mbar als een sterke tweedecategorieorkaan. Voor de komst van John werden meer 21.000 inwoners en 10.000 toeristen geëvacueerd.
John kwam heel even weer boven de Golf van Californië en landde dezelfde dag opnieuw bij de hoofdstad van Baja California Sur, La Paz, met windsnelheden tot 130 km/uur. Daarna liep John zich stuk op de Neder-Californische bergen en de westelijke schering; op 2 september degradeerde John tot tropische storm en op 4 september tot tropische depressie. De tropische depressie desintegreerde snel; het centrum van John vervaagde en zijn convectie verminderde en liep bovendien weg uit het centrum. Op 4 september degenereerde John tot een resterend lagedrukgebied. John eiste vijf mensenlevens en veroorzaakte grote schade aan huizen, infrastructuur en gewassen. De overvloedige regenval veroorzaakte overstromingen op diverse plaatsen in het westen van Mexico en ook het zuidwesten van de Verenigde Staten kreeg met overvloedige regenval te maken.
Orkaan Kristy


Op 24 augustus verscheen een tropische golf boven de Grote Oceaan, die zich aanvankelijk leek te ontwikkelen. De ontwikkeling ging echter langzaam en degenereerde weer naarmate de tropische golf westwaarts trok. Op 29 augustus zette de ontwikkeling van de tropische golf door en op 30 augustus ontstond tropische depressie 12-E op 845 km ten zuidzuidwesten van het zuidelijkste puntje van Baja California Sur op ongeveer 1450 km ten westen van John. De tropische cycloon ontwikkelde snel verder en promoveerde vier uur later tot tropische storm Kristy. Op 31 augustus promoveerde Kristy tot orkaan en bereikte haar hoogtepunt met windsnelheden tot 120 km/uur en een minimale druk van 987 mbar. Op 1 september raakte haar structuur minder goed georganiseerd en werd uitgerekt in noord-zuidrichting, hoewel er geen sterke schering aantoonbaar was. Daarna verzwakte zij verder, toen zij in een omgeving van drogere luchtmassa's terecht was gekomen.
Haar koers vertraagde en kwam op 2 september tot stilstand. Haar convectie werd langzaam minder en ook de schering bleef aanwezig, zodat Kristy op 2 september tot tropische depressie degradeerde. Vierentwintig uur later vertoonde Kristy opeens een uitbraak van convectie dicht bij haar centrum en zij promoveerde opnieuw tot tropische storm. De opleving was echter van korte duur, twaalf uur later op 4 september degradeerde Kristy opnieuw tot tropische depressie. Daarna vocht Kristy tegen haar verval en met succes; op 5 september manifesteerde zij opnieuw een uitbraak van convectie en promoveerde ze voor de derde keer tot tropische storm. Ook deze opleving was van korte duur en op 6 september degradeerde zij opnieuw tot tropische depressie. Nadat zij 24 tot 36 uur geen convectie meer had vertoond, was zij op 8 september gedegenereerd tot resterend lagedrukgebied.
Orkaan Lane
_Modis.jpg)

Op 12 september trok een lagedrukgebied, dat ingebed was in een tropische golf bij de Golf van Tehuantepec westnoordwestwaarts en kwam tot ontwikkeling. Op 13 september ontstond uit het lagedrukgebied op 200 km ten westzuidwesten van Acapulco de Juárez tropische depressie 13-E. Tropische depressie 13-E won snel aan kracht en promoveerde op 14 september tot tropische storm Lane. Lane bewoog aanvankelijk westnoordwestwaarts aan de zuidwestflank van een rug van hoge druk in de middelste lagen van de atmosfeer. Op zijn tocht langs de kust van Guerrero veroorzaakte hij als tropische storm reeds overvloedige regenval met overstromingen en aardverschuivingen, die in Acapulco de Juárez al één mensenleven kostten. Op 15 september promoveerde Lane tot orkaan wendde zich nu steeds meer noordwaarts onder invloed van een trog van lage druk op grote hoogte boven het zuidwesten van de Verenigde Staten.
Lane ontwikkelde een oog van ongeveer 16 km in doorsnee en landde op 15 september op las Islas Marías, voor de kust van Nayarit. Lane bereikte op 16 september haar hoogtepunt met windsnelheden tot 204 km/uur en een minimale druk van 952 mbar, enkele uren voordat hij landde ten zuidoosten van El Dorado in de staat Sinaloa. Boven land verzwakte Lane snel; niet alleen de interactie met de bergachtige Sierra Madre, maar ook de trog van lage druk, die een steeds sterker wordende westzuidwestelijke schering veroorzaakte eiste zijn tol. Op 17 september degradeerde Lane tot tropische storm en zes uur later tot tropische depressie, die weer zes uur later op dezelfde dag oploste. Lane eiste ten minste drie mensenlevens en veroorzaakte veel schade door overstromingen en aardverschuivingen, vooral in Nayarit en Sinaloa. Vele krakkemikkige huisjes overleefden Lane niet en zelfs de luchthaven van Acapulco de Juárez werd door overstromingen getroffen. Toch werd de luchthaven niet gesloten.
Tropische storm Miriam


Ten zuidwesten van Lane, lag een lagedrukgebied boven de Grote Oceaan. Aanvankelijk leek het erop, dat dit lagedrukgebied zich niet zou kunnen ontwikkelen in de nabijheid van de krachtige Lane. Onder matige noordoostelijke schering, veroorzaakt door Lane en een trog van lage druk op grote hoogte boven het zuidwesten van de Verenigde Staten, vormde zich op 16 september toch tropische depressie 14-E op 720 km ten zuidwesten van het zuidelijkste puntje van Neder-Californië. Tropische depressie 14-E trok noordoostwaarts, richting Lane. Ondanks het aanzuigen van Lane aan het oppervlak en zijn uitstoot op grote hoogte, promoveerde tropische depressie 14-E op 16 september 9 uur na haar ontstaan tot tropische storm Miriam. Miriam bereikte windsnelheden tot 74 km/uur en een minimale druk van 1002 mbar. Daarna werd de noordoostelijke schering steeds sterker en haar noordoostelijke koers vertraagde. Miriam draaide meer en meer bij naar het noorden en noordwesten en degradeerde op 18 september tot tropische depressie, die dezelfde dag degenereerde tot resterend lagedrukgebied, toen Miriam 15 uur lang verstoken was van enige diepe convectie.
Tropische depressie 2-C


Een tropische onweersstoring, die reeds dagen westwaarts trok en nog ingebed was in de Intertropische convergentiezone, wist op 18 september meer en meer haar convectie te organiseren. Op 19 september ontstond uit deze storing tropische depressie 2-C op 1255 km ten zuiden van Honolulu; min of meer in de buurt van en onder vergelijkbare omstandigheden als orkaan-tyfoon Ioke. Tropische depressie 2-C trok west-ten-noordwaarts aan de zuidwestflank van een hogedrukgebied, dat zich naar het westen uitstrekte, om zo langzaam aan breedte te winnen. De omstandigheden waren gunstig; weinig schering en warm water. De enige ongunstige factor was de geringe breedte. Tegen de verwachting in, werd tropische depressie 2-C zwakker in plaats van sterker en op 20 september begon ook haar organisatie te degenereren. Deze ontwikkeling was niet te stuiten en tropische depressie 2-C degenereerde op 20 september tot een open trog van lage druk. Tropische depressie 2-C bereikte windsnelheden tot 56 km/uur en een minimale druk van 1007 mbar op 19 september.
Tropische depressie 3-C


Eind september trok een storing westnoordwestwaarts boven de Grote Oceaan, ruim ten zuidwesten van Hawaï. Op 26 september vertoonde het systeem aan zijn zuidflank oostwaarts trekkende bewolking, een uitbraak van diepe convectie ten oosten van het centrum en waarnemingen van een boei ten noorden van het centrum toonden herhaaldelijk westenwinden. De satellietbeelden gaven echter de indruk dat het om een open tropische golf ging. Toch waren de waarnemingen genoeg om het systeem te promoveren tot tropische depressie 3-C op 1085 km ten westzuidwesten van het eiland Johnston, ondanks de ambivalente satellietbeelden en de matige schering, waarmee het systeem had te kampen. Tropische depressie 3-C trok langzaam westnoordwestwaarts aan de zuidwestflank van een kleine rug van hoge druk. Tropische depressie 3-C bleef echter ongeorganiseerd en droge lucht in de middelste lagen van de atmosfeer en toegenomen schering verhinderde verdere ontwikkeling. Twaalf uur na het ontstaan van tropische depressie 3-C verloor zij haar gesloten circulatie en daarmee haar status van tropische cycloon net ten oosten van de datumgrens.
Tropische storm Norman


Op 9 oktober ontwikkelde zich tropische depressie 15-E op ongeveer 1210 km ten zuidwesten van Cabo San Lucas, het zuidelijkste puntje van Baja California Sur uit een lagedrukgebied. De tropische depressie was aanvankelijk matig georganiseerd en trok noordnoordwestwaarts aan de westflank van een hogedrukgebied boven het zuiden van Mexico. Tropische depressie 15-E raakte beter georganiseerd en promoveerde 11 uur na haar ontstaan tot tropische storm Norman. Norman bereikte op 10 oktober zijn hoogtepunt met windsnelheden tot 83 km/uur en een minimale druk van 1000 mbar, maar kon zich echter niet verder ontwikkelen door de lage zeewatertemperatuur en de toegenomen schering. Op 11 oktober degenereerde Norman tot een resterend lagedrukgebied, toen hij meer dan 12 uur geen diepe convectie had kunnen vertonen. Dit was echter niet het einde van Norman: het resterend lagedrukgebied trok westwaarts en op 15 oktober begon Norman, nadat hij een ander lagedrukgebied in zich had opgenomen, voor de kust bij Manzanillo opnieuw convectie te vertonen en promoveerde tot tropische depressie Norman. Voordat hij tot tropische storm kon promoveren, loste hij op voor de Mexicaanse kust.
Tropische storm Olivia


Tegelijkertijd met de ontwikkeling van Norman, lag er begin oktober een lagedrukgebied stationair ten westen van de toekomstige Norman. Op 9 oktober kwam dit systeem tot ontwikkeling en ontstond tropische depressie 16-E op 2090 km ten zuidwesten van het zuidelijkste puntje van Neder-Californië. Tropische depressie 16-E dreef noordwaarts en werd evenals Norman met de wijzers van de klok mee gedreven rond een hogedrukgebied boven het zuiden van Mexico. Op 10 oktober promoveerde tropische depressie 16-E tot tropische storm Olivia en bereikte meteen haar hoogtepunt met windsnelheden tot 74 km/uur en een minimale druk van 1000 mbar. Ook Olivia ging ten onder aan schering en lage zeewatertemperaturen. Op 11 oktober degradeerde Olivia tot tropische depressie en op 12 oktober loste zij op. Haar overblijfselen werden later opgenomen door de overblijfselen van Norman.
Tropische depressie 4-C


Op 8 oktober werd in de intertropische convergentiezone voor het eerst een tropische onweersstoring waargenomen, die zich vanwege de lage breedte zich langzaam ontwikkelde. Nadat het lagedrukgebied op 13 oktober gepromoveerd was tot tropische depressie 4-C op 1200 km ten zuidwesten van Honolulu, was de tropische cycloon geen lang leven beschoren. Tropische depressie 4-C degenereerde door toegenomen schering de volgende dag tot resterend lagedrukgebied.
Orkaan Paul


Op 4 oktober trok een tropische golf van de Afrikaanse kust westwaarts. De tropische golf trok over de Atlantische Oceaan en door de Caribische Zee zonder tot ontwikkeling te komen en trok op 18 oktober over Midden-Amerika. De volgende dag vormde de tropische golf samen met een storing, die reeds aanwezig was een systeem met brede, ongeorganiseerde convectie, dat zich uitstrekte tot boven de Mexicaanse zuidkust. Op 20 oktober ontwikkelde zich in de tropische onweersstoring een lagedrukgebied, dat op 21 oktober op 420 km ten zuidzuidwesten van Manzanillo promoveerde tot tropische depressie 17-E. Enkele uren later geraakte de tropische depressie beter georganiseerd en promoveerde tot tropische storm Paul. Paul werd westwaarts gestuwd door een rug van hoge druk in de middelste en hogere lagen van de atmosfeer boven Mexico. De schering, die van deze rug uitging onderdrukte aanvankelijk verdere ontwikkeling van Paul. Deze schering nam echter af, naarmate Paul verder westwaarts van de rug van hoge druk vandaan geraakte en Paul begon op 22 oktober in kracht toe te nemen.
Op 23 oktober promoveerde Paul tot orkaan en bereikte de tweede categorie met windsnelheden van 167 km/uur en een minimale druk van 970 hPa. Daarna begon een trog van lage druk op grote hoogte boven het zuidwesten van de Verenigde Staten invloed op Paul uit te oefenen; de trog trok Paul naar het noorden en later naar het noordoosten en veroorzaakte een westelijke schering, waardoor Paul aan kracht begon in te boeten. Paul passeerde op 24 oktober rakelings ten westen van Isla Socorro, wendde naar het noordoosten en degradeerde tot tropische storm. Paul passeerde op 25 oktober op 70 km ten zuiden van Kaap San Lucas, het zuidelijkste puntje van Neder-Californië. Op 26 oktober degradeerde Paul tot tropische depressie, die landde nabij Isla Altamura in de staat Sinaloa, enkele uren voordat hij degenereerde tot een resterend lagedrukgebied dat nog dezelfde dag verdween. Paul eiste vier mensenlevens; twee in Sinaloa en twee in Baja California Sur.
Tropische depressie 18-E


Tropische depressie 18-E kwam voort uit een tropische golf, die op 7 oktober van de Afrikaanse kust westwaarts trok. Op 12 oktober ontwikkelde zich een lagedrukgebied binnen de tropische onweersstoring op ongeveer 1200 km ten westzuidwesten van de archipel Kaapverdië. De tropische onweerstoring verzwakte de dagen daarop door toenemende schering en trok verder westwaarts. Op 20 oktober kwam het systeem de Grote Oceaan binnen en begon op 24 en 25 oktober langzaam tot ontwikkeling te komen. Convectie en onweersbuien organiseerden zich op 26 oktober tot tropische depressie 18-E op 240 km ten zuiden van Manzanillo. Tropische depressie 18-E beleefde enkele uren later haar hoogtepunt met windsnelheden tot 56 km/uur en een minimale druk van 1007 hPa. Tropische depressie 18-E trok zuidwestwaarts en verzwakte door toenemende schering en door toedoen van drogere luchtmassa’s. Op 28 oktober degenereerde tropische depressie 18-E tot een resterend lagedrukgebied, dat verder westwaarts trok en de volgende dag was verdwenen.
Tropische storm Rosa


Op 22 oktober trok een golf van de Afrikaanse kust westwaarts, die gedurende zijn reis door de Atlantische Oceaan en de Caribische Zee vrij zwak bleef, zodat het systeem soms moeilijk was te identificeren. Op 3 november stak de tropische golf Midden-Amerika over en kwam hij in de Grote Oceaan terecht. De activiteit rond het systeem nam toe en er ontwikkelde zich een lagedrukgebied op 5 november op enige honderden kilometers ten zuiden van de Golf van Tehuantepec. De dagen daarop organiseerde het brede lagedrukgebied zich en promoveerde op 8 november tot tropische depressie 19-E op 690 km ten zuiden van Manzanillo. Tropische depressie 19-E trok naar het noordwesten en won aanvankelijk in kracht. Zes uur nadat tropische depressie 19-E was ontstaan, leek zij te gaan promoveren tot tropische storm, maar de schering nam toe en blies haar convectie weg van het centrum.
Echter de volgende dag, op 9 november zorgde een uitbraak van diepe convectie, dat tropische depressie 19-E promoveerde tot tropische storm Rosa op 470 km ten zuidzuidwesten van Manzanillo. Daarmee was het de eerste tropische storm in de maand november in dit bassin sinds het seizoen 2000. Achttien uur lang handhaafde Rosa zich als tropische storm met windsnelheden tot 65 km/uur en een minimale druk van 1002 hPa. Daarna moest zij zich tegenover de sterke zuidwestelijke schering gewonnen geven en degradeerde op 10 november tot tropische depressie, die op 11 november degenereerde tot een trog van lage druk.
Tropische depressie 20-E


De tropische golf, waaruit tropische depressie 20-E zou voortkomen, vertrok op 21 oktober van de Afrikaanse kust westwaarts. Op 25 oktober ontwikkelde zich een lagedrukgebied in het systeem ten oosten van de Benedenwindse Eilanden. Dit lagedrukgebied loste op 27 oktober boven het midden van de Caribische Zee weer op, maar op 1 november ontwikkelde zich binnen de tropische golf een tweede lagedrukgebied, nu boven de Golf van Honduras. De tropische golf stak Midden-Amerika over en kwam boven de Grote Oceaan aanvankelijk in droge stabiele lucht terecht. Op 4 november kwam het systeem opnieuw tot ontwikkeling en ontstonden er langs de tropische golf onweersbuien. Op 7 november ontwikkelde zich een lagedrukgebied in de intertropische convergentiezone, aan de zuidkant van de tropische golf. De tropische golf en het lagedrukgebied werden noordwestwaarts getrokken door een trog van lage druk ten noordwesten van hen.
De convectie in het systeem organiseerde zich en op 9 november begon men het systeem aan de hand van de Dvoraktechniek te beoordelen, maar op 10 november was de convectie halsoverkop verdwenen. Later die dag ontwikkelde zich een spiraalvormige band met convectie om het systeem en op 11 november ontwikkelde zich tropische depressie 20-E zich op 1020 km ten zuidwesten van Manzanillo. Tropische depressie 20-E met windsnelheden tot 56 km/uur en een minimale druk van 1007 hPa kwam nooit helemaal los van de intertropische convergentiezone en draaide onder invloed van daarvan naar het westzuidwesten. Nog dezelfde dag op 1 november degenereerde tropische depressie 20-E tot een trog van lage druk.
Orkaan Sergio


Op 7 november trok een tropische golf de Grote Oceaan binnen, die over het zuiden van Midden-Amerika was getrokken. Het systeem gaf buien boven Midden-Amerika en oostelijk Mexico. Deze buien organiseerden zich langzaam maar zeker en op 13 november ontstond op 720 km ten zuiden van Manzanillo tropische depressie 21-E. Tropische depressie 21-E trok aanvankelijk noordwestwaarts en geraakte stationair toen zij op 14 november promoveerde tot tropische storm Sergio. Daarmee was het voor het eerst sinds het seizoen 1961, dat er zich twee tropische stormen in het bassin van de oostelijke Grote Oceaan vormden in de maand november. Door een trog van lage druk op grote hoogte ten noordoosten van Sergio, werd hij naar het zuidoosten geduwd.
Door het vocht in de troposfeer kon Sergio ondanks de lichte schering aan kracht winnen en promoveerde hij op 15 november tot orkaan en bereikte dezelfde dag nog zijn hoogtepunt met windsnelheden tot 176 km/uur en een minimale druk van 965 hPa. Daarna draaide Sergio naar het noordoosten en later noordnoordoosten, zodat de westelijke schering, die uitging van de trog allengs sterker werd, waardoor Sergio verzwakte. Op 17 november degradeerde Sergio tot tropische storm. Ten noorden en noordoosten van Sergio ontstond nu aan het aardoppervlak een hogedrukgebied, dat Sergio naar het noordwesten en later naar het westen en westzuidwesten stuwde. Op 18 november kon Sergio nog iets aan kracht winnen, maar uiteindelijk eiste de schering toch haar tol en op 20 november degradeerde Sergio op 570 km ten zuidwesten van Manzanillo tot tropische depressie, die nog dezelfde dag oploste.
Vermoedelijke subtropische storm 91-C

Eind oktober zwierf een niet-tropische stormdepressie over het noorden van de Grote Oceaan. De storm dreef boven uitzonderlijk warm water, dat 2 °C warmer was dan normaal. Hierdoor begon het systeem convectie te vertonen en tropische kenmerken aan te nemen. Op 2 november lag het systeem ongeveer 1450 km ten westen van Oregon en werden de windsnelheden van de storm geschat op 93 km/uur. De storm bezat een helder oog en een gesloten oogrok. De cycloon trok noordoostwaarts en nam langzaam in kracht af. Op 4 november loste het systeem op. Het systeem koerste zo noordelijk, dat het buiten het gebied bleef, waarvoor het NHC of een andere in tropische cyclonen gespecialiseerde instelling verantwoordelijkheid voor had. Hierdoor bleef de cycloon ongeclassificeerd. De NASA beschouwde de cycloon als een subtropische storm en de Amerikaanse Marine beschouwde de cycloon als een tropische storing met het nummer 91-C.
Accumulated Cyclone Energy
| ACE-waarde (104kt2) – Tropische cycloon. | |||||
|---|---|---|---|---|---|
| 1 | (32,23) [50,75] |
Ioke tot: 82,98 | 11 | 4,75 | Kristy |
| 2 | 27,3 (2,25) |
Daniel | 12 | 4,58 | Emilia |
| 3 | 18,3 | John | 13 | 1,34 | Fabio |
| 4 | 12,1 | Ileana | 14 | 1,13 | Aletta |
| 5 | 12,0 | Hector | 15 | 0,970 | Miriam |
| 6 | 8,98 | Bud | 16 | 0,768 | Norman |
| 7 | 8,00 | Sergio | 17 | 0,725 | Olivia |
| 8 | 6,80 | Lane | 18 | 0,368 | Gilma |
| 9 | 6,06 | Paul | 19 | 0,368 | Rosa |
| 10 | 6.03 | Carlotta | |||
| Totaal: 120 (34,5) | |||||
Accumulated Cyclone Energy, oftewel ACE is een criterium om de activiteit van tropische cyclonen te kwantificeren. Bij iedere waarschuwing, c.q. bespreking van een tropische cycloon met de intensiteit van tropische storm of hoger wordt de windsnelheid in knopen gebruikt voor het bereken van deze waarde. Alle waardes van alle besprekingen gedurende de levensduur van een tropische cycloon worden bij elkaar opgeteld, zodat een totale waarde voor die tropische cycloon kan worden bepaald. Levensduur en intensiteit bepalen dus dit getal; een cycloon met een hoge intensiteit en een lange levensduur krijgt dus een (zeer) hoge waarde, zoals Daniel. Als nogmaals alle waardes van alle cyclonen aan het eind van het seizoen worden opgeteld, heeft men een maat van de totale activiteit van het seizoen. In de tabel zijn de waardes per tropische cycloon gerangschikt van hoog naar laag. Tussen ronde haken staat de ACE-waarde verzameld in het bassin van de centrale Grote Oceaan. Tussen vierkante haken staat de ACE-waarde die door tropische stormen is verzameld buiten de bassins van de oostelijke en centrale Grote Oceaan. De totale ACE-waarde geldt als 'normaal', maar het aantal tropische cyclonen, tropische stormen, orkanen en majeure orkanen licht boven het gemiddelde.
Namen
De lijst met namen voor het seizoen 2006 is dezelfde als voor het seizoen 2000. Indien een tropische storm ontstaat ten westen van de 140e graad westerlengte, wordt deze benoemd volgens een van de vier aparte, doorlopende lijst met namen, die niet door de kalender onderbroken wordt, dat wil zeggen men gaat in een nieuw seizoen verder met de naam, waar men bij het vorige seizoen gebleven was. Als dit zich voordoet, zal de storm apart worden vermeld. De eerste naam, die voor het midden van de Grote Oceaan aan de beurt is (tussen 140°WL en de datumgrens) is Kika. De laatste tropische storm, die voor dit seizoen een naam uit dat gebied meekreeg, dateert van 2002. Eventuele namen, die geschrapt zullen worden, worden in de loop van het voorjaar van 2007 bekend (maart/april).
Namenlijst oostelijk deel van de Grote Oceaan
- Aletta
- Bud
- Carlotta
- Daniel
- Emilia
- Fabio
- Gilma
- Hector
- Ileana
- John
- Kristy
- Lane
- Miriam
- Norman
- Olivia
- Paul
- Rosa
- Sergio
- Tara (niet gebruikt)
- Vicente (niet gebruikt)
- Willa (niet gebruikt)
- Xavier (niet gebruikt)
- Yolanda (niet gebruikt)
- Zeke (niet gebruikt)
Namenlijst centraal deel van de Grote Oceaan
Er zijn vier lijsten met ieder twaalf namen. Men neemt altijd de volgende naam op de lijst en een nieuwe lijst wordt pas aangesproken als de vorige helemaal is gebruikt, dit in tegenstelling tot de lijsten van het oostelijk deel of van de Atlantische orkaanseizoenen, waar de kalender bepaalt of een nieuwe lijst wordt aangesproken. Na de laatste naam op de vierde lijst, gaat men terug naar de eerste naam op de eerste lijst. Hier is alleen lijst I weergegeven.
- Alika (gebruikt in 2002)
- Ele (gebruikt in 2002)
- Huko (gebruikt in 2002)
- Ioke
- Kika (niet gebruikt)
- Lana (niet gebruikt)
- Maka (niet gebruikt)
- Neki (niet gebruikt)
- Oleka (niet gebruikt)
- Peni (niet gebruikt)
- Ulia (niet gebruikt)
- Wali (niet gebruikt)
Voetnoten
- ↑ Climate Prediction Center, NOAA, Background Information: East Pacific Hurricane Season. National Oceanic and Atmospheric Administration. Geraadpleegd op 24 mei 2006.
Zie ook
- Kroniek van het orkaanseizoen van de Grote Oceaan 2006
- Atlantisch orkaanseizoen 2006
- Tyfoonseizoen van de Grote Oceaan 2006
Externe links
- Archief van het National Hurricane Center, Engels
- National Hurricane Center Engels
- National Hurricane Centers vooruitzichten voor tropisch weer in de oostelijke Grote Oceaan – wordt gedurende het hele seizoen viermaal daags ververst. Engels
- Central Pacific Hurricane Center Engels
- Onderzoekslaboratorium van de Amerikaanse marine, met actuele satellietbeelden en een omvangrijk archief van tropische cyclonen. Engels
