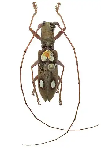
Olenecamptus bilobus
| Olenecamptus bilobus | |||||||||||||||
|---|---|---|---|---|---|---|---|---|---|---|---|---|---|---|---|
| |||||||||||||||
| Taxonomische indeling | |||||||||||||||
| |||||||||||||||
| Soort | |||||||||||||||
| Olenecamptus bilobus (Fabricius, 1801) | |||||||||||||||
| Afbeeldingen op | |||||||||||||||
| Olenecamptus bilobus op | |||||||||||||||
| |||||||||||||||
Olenecamptus bilobus is een keversoort uit de familie van de boktorren (Cerambycidae). De wetenschappelijke naam van de soort werd voor het eerst geldig gepubliceerd in 1801 door Fabricius.[1]
Bronnen, noten en/of referenties
- ↑ (fr) Tavakilian, G. (auteur) & Chevillotte, H. (software) (2012) Base de données Titan sur les Cerambycidés ou Longicornes. (bezocht 30 januari 2014)
Geplaatst op:
18-02-2014
18-02-2014
Dit artikel is een beginnetje over biologie. U wordt uitgenodigd om op bewerken te klikken om uw kennis aan dit artikel toe te voegen.
