Nysius ericae
| Nysius ericae | |||||||||||||||||
|---|---|---|---|---|---|---|---|---|---|---|---|---|---|---|---|---|---|
| |||||||||||||||||
| Taxonomische indeling | |||||||||||||||||
| |||||||||||||||||
| Soort | |||||||||||||||||
| Nysius ericae (Schilling, 1829) | |||||||||||||||||
| Afbeeldingen op | |||||||||||||||||
| Nysius ericae op | |||||||||||||||||
| |||||||||||||||||
De Nysius ericae is een wants uit de onderfamilie Orsillinae en uit de familie bodemwantsen (Lygaeidae). 'Heidenysius' is de Nederlandse naam voor deze wants op Waarneming.nl, waar voor alle in de Benelux voorkomende wantsen eenduidige Nederlandse namen zijn ingevoerd.[1][2]
Uiterlijk
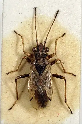
Het is een grijsbruine wants, die 3,5 – 4,5 mm lang is. Over de kop lopen twee zwarte strepen. Het schildje (scutellum) is bruinzwart met een smalle lichtbruine rand aan de schuine zijkanten. Het hemi-elytrum (de deels verharde voorvleugel) is lichtbruin met donkere vlekjes en het membraan (doorzichtig deel van de voorvleugel) is kleurloos met donkere vlekken. De soorten uit het geslacht Nysius zijn zeer moeilijk uit elkaar te houden. De heidenysius is vooral zeer vergelijkbaar met de tijmnysius (Nysius thymi). Beide hebben donkere vlekken op het vleugelmembraan en bij beide ontbreekt de herkenbare donkere ring aan de basis van het tweede segment van de antenne. De veiligste werkwijze voor het bepalen van de soort is bij de mannetjes door een genitaal onderzoek. De wijfjes kunnen worden onderscheiden door de haren op de aderen van de vleugels, die langer zijn dan bij de tijmnysius.
Verspreiding en habitat
De heidenysius is samen met meerdere ondersoorten wijdverspreid in veel delen van het Palearctisch gebied en komt ook in noordelijke gebieden voor zoals in Groenland en in Noord-Amerika. Ze koloniseerden Afrika tot in het het verre zuiden. Hij is daar vaak zeer algemeen. Bijvoorbeeld in het Nationaal park Virunga in de republiek Congo is het de meest voorkomende wantsensoort. In Centraal-Europa is de soort overal te vinden, maar is hij zeldzamer dan tijmnysius. Ze hebben een voorkeur voor droge, warme, zanderige leefgebieden met lage open vegetatie, maar ze komen ook in andere gebieden voor.
Leefwijze
Ondanks zijn naam (ericae is afgeleid van erica = heide) komt hij op veel plantensoorten voor. Onder andere op planten uit de composietenfamilie (Asteraceae), waar hij aan de zaden zuigt. Ze overwinteren als ei, maar er kunnen ’s winters ook volwassen wantsen worden aangetroffen. Er zijn twee generaties.
Externe link
- Bron
- (de) Ekkehard Wachmann, Albert Melber, Jürgen Deckert: Wanzen. Band 3: Pentatomomorpha I: Aradoidea (Rindenwanzen), Lygaeoidea (Bodenwanzen u. a.), Pyrrhocoroidea (Feuerwanzen) und Coreoidea (Randwanzen u. a.).
- Referenties
- Kaarten met waarnemingen:
