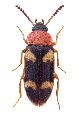
Mycetophagus fulvicollis
| Mycetophagus fulvicollis | |||||||||||||
|---|---|---|---|---|---|---|---|---|---|---|---|---|---|
| |||||||||||||
| Taxonomische indeling | |||||||||||||
| |||||||||||||
| Soort | |||||||||||||
| Mycetophagus fulvicollis Fabricius, 1793 | |||||||||||||
| Afbeeldingen op | |||||||||||||
| Mycetophagus fulvicollis op | |||||||||||||
| |||||||||||||
Mycetophagus fulvicollis is een keversoort uit de familie boomzwamkevers (Mycetophagidae). De wetenschappelijke naam van de soort werd in 1793 gepubliceerd door Johann Christian Fabricius.[1]
De soort komt vrijwel in het gehele Palearctisch gebied voor, al is hij ook schaars in grote delen. In 2012 werd de soort voor het eerst waargenomen in Nederland.[2]
Bronnen, noten en/of referenties
- ↑ (en) Hallan, Joel, Synopsis of the described Coleoptera of the World. Biology Catalog. Texas A&M (6 juni 2010). Gearchiveerd op 20 oktober 2013.
- ↑ Theodoor Heijerman & Berend Aukema (2014). "Mycetophagus fulvicollis, een nieuwe boomzwamkever voor Nederland (Coleoptera: Mycetophagidae)". Entomologische Berichten 74(4): 152–154
Geplaatst op:
09-12-2011
09-12-2011
Dit artikel is een beginnetje over biologie. U wordt uitgenodigd om op bewerken te klikken om uw kennis aan dit artikel toe te voegen.
