Mitch (orkaan)


De orkaan Mitch was een van de hevigste tropische cyclonen in de geschiedenis, die windsnelheden tot aan 290 kilometer per uur bereikte. Mitch was de dertiende tropische storm, de negende orkaan en de derde majeure orkaan van het Atlantisch orkaanseizoen 1998. Tot de komst van orkaan Wilma in 2005, was Mitch ook de sterkste orkaan in de maand oktober.
Ontwikkeling
De tropische onweersstoring, die tot Mitch zou uitgroeien, vertrok op 10 oktober van de Afrikaanse kust naar het westen. De storing kwam pas tot ontwikkeling boven de Caribische Zee, toen vanaf 20 oktober de convectie zich meer en meer ordende.
Op 22 oktober 1998 ontstond tropische depressie 13 op 650 km ten zuiden van Kingston, Jamaica. Tropische depressie 13 trok langzaam naar het westen en promoveerde dezelfde dag tot tropische storm Mitch. Een lagedrukgebied op grote hoogte ten noorden van Mitch hield hem bijna stationair en verhinderde aanvankelijk zijn ontwikkeling. Het lagedrukgebied verzwakte, waardoor Mitch noordwaarts trok en aan kracht won.
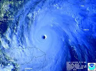
Op 24 oktober promoveerde Mitch tot orkaan op 450 km ten zuiden van Jamaica, waarna Mitch snel aan kracht toenam. Binnen 24 uur zakte de druk in het centrum van Mitch met 52 mbar tot 924 mbar. Op 26 oktober bereikte Mitch zijn dieptepunt met windsnelheden tot 280 km per uur en een luchtdruk van 905 mbar.
Op 27 oktober landde Mitch op Las Islas de Santanilla. Daarna boog Mitch zéér langzaam af naar het westzuidwesten, het zuidwesten en het zuiden, richting de kust van Honduras. Omdat Mitch circulatie steeds meer interageerde met het Midden-Amerikaanse vasteland, begon Mitch héél langzaam te verzwakken en op 29 oktober landde Mitch als minimale categorie 2 orkaan nabij La Ceiba, Honduras. Op 30 oktober degradeerde Mitch tot tropische storm en de volgende dag tot tropische depressie, maar Mitch bewoog zich nauwelijks naar het zuiden. Het was juist dit langzame geslenter, dat Mitch zo dodelijk maakte. Honduras, Nicaragua, El Salvador en Guatemala werden door Mitch zwaar getroffen. Mitch verloor zijn convectie, maar niet zijn circulatie, wat betekende dat Mitch écht al zijn vocht had uitgeknepen zonder veel van plaats te veranderen. Dit had immense hoeveelheden regen tot gevolg, op sommige plaatsen tot meer dan 900 mm . Dit veroorzaakte op grote schaal overstromingen, aardverschuivingen en modderstromen, waardoor er ten minste 11.000 mensen stierven en nog eens 11.000 mensen werden vermist. Tienduizenden huizen werden weggevaagd, complete dorpen van de kaart geveegd. Een windjammer, The Fantome; een schoener met 4 masten en 31 opvarenden, verging met man en muis.
| Top 10 krachtigste orkanen in het Atlantisch bassin gemeten naar luchtdruk. | |||
|---|---|---|---|
| Rang | Orkaan | Seizoen | Minimale druk in mbar (hPa) |
| 1 | Wilma | 2005 | 882 |
| 2 | Gilbert | 1988 | 888 |
| 3 | "Labour Day" | 1935 | 892 |
| 4 | Rita | 2005 | 895 |
| 5 | Allen | 1980 | 899 |
| 6 | Katrina | 2005 | 902 |
| 7 | Camille | 1969 | 905 |
| 1998 | 905 | ||
| 9 | Dean | 2007 | 906 |
| 10 | Maria | 2017 | 908 |
| Bron: Amerikaans departement van Handel | |||
Op 1 november verloor Mitch al zijn convectie nabij de grens tussen Mexico en Guatemala. De circulatie, die van Mitch overbleef, werd boven de Baai van Campeche met convectie opnieuw leven ingeblazen en op 3 november ontstond hieruit de tropische storm Mitch, die de volgende dag landde op het schiereiland Yucatán. Mitch werd boven land heel even een tropische depressie, maar promoveerde opnieuw tot tropische storm boven de Golf van Mexico. Mitch werd door een frontale zone boven de Golf van Mexico snel naar het noordoosten getrokken en landde als zware tropische storm met windsnelheden van meer dan 100 km per uur op 5 november voor de laatste keer nabij de stad Naples in Florida. Na het schiereiland over te hebben gestoken, verloor Mitch zijn tropische kenmerken en de extra-tropische depressie Mitch loste ten slotte op 9 november op ten noorden van Groot-Brittannië.
Schade door Mitch
Het aantal slachtoffers door de orkaan was met name in Honduras en in Nicaragua zeer groot. Maar doordat bevolkingsstatistieken in deze landen niet adequaat waren, zijn tellingen met name gebaseerd op rapportages van overlevenden. Het gaat daardoor voornamelijk om schattingen, die van de werkelijkheid kunnen afwijken, doordat sommige slachtoffers dubbel zijn geteld of doordat andere slachtoffers juist helemaal niet zijn geteld.
Honduras
Het aantal doden in Honduras wordt boven de 5000 geschat. Anderhalf miljoen mensen werden dakloos. Het hele land kreeg als gevolg van Mitch te kampen met tekorten aan voedsel, medicijnen en schoon drinkwater. Het gevolg was een uitbraak van ziekten zoals diarree, malaria, knokkelkoorts en cholera. De infrastructuur kreeg zwaar te lijden, en de totale schade werd geschat op vier miljard dollar. Naar schatting werd 70 tot 80% van de infrastructuur verwoest. In de hoofdstad Tegucigalpa werd een derde van alle gebouwen verwoest of beschadigd. Meer dan 25 dorpen werden zo grondig weggevaagd dat nergens meer uit bleek dat ze ooit bestaan hadden. Bruggen, hoofdwegen en secundaire wegen werden weggevaagd en vliegvelden kwamen onder water te staan. Behalve transport waren ook de voorzieningen voor communicatie, elektriciteit, stromend water en brandstof afgesneden. De landbouw werd eveneens zwaar getroffen. Meer dan 70% van de landbouwgrond werd vernietigd. De bananenteelt, het belangrijkste landbouwproduct van Honduras, werd voor 80% weggevaagd.
Voordat de orkaan Mitch het vasteland van Midden-Amerika bereikte, werden eerst de Hondurese Baai-eilanden getroffen. Het eiland Guanaja werd daarbij het zwaarst beschadigd. Alle huizen op het eiland werden vernietigd en de voltallige bevolking van 6000 mensen raakte dakloos. Maar er vielen slechts 8 doden.
Nicaragua
In Nicaragua vielen naar schatting 3000 doden. 500.000 tot 800.000 mensen werden dakloos. De tekorten aan voedsel, medicatie en drinkwater waren nijpend en hadden een grote uitbraak van diarree en malaria tot gevolg. In het Noorden en Noordwesten werd een groot deel van de infrastructuur weggevaagd. Er werden 71 belangrijke bruggen weggevaagd en 70% van de hoofdwegen en de secundaire wegen werden verwoest. Verschillende dorpen raakten bedolven onder de modder. Bijna 25% van alle landbouwgrond raakte permanent of tijdelijk onbruikbaar. Ook hier werden het noorden en het noordwesten het zwaarst getroffen. De productie van rode bonen, die de helft van de agrarische productie van Nicaragua uitmaakt, daalde als gevolg van de orkaan met 76%.
Als gevolg van de orkaan kwam op 30 oktober de een grote modderstroom van de vulkaan Casita naar beneden, hetgeen in Nicaragua de meeste doden eiste als gevolg van Mitch. In de regio rond de Casita valt gewoonlijk in de maand oktober 33 centimeter regen. Als gevolg van de orkaan viel er echter op één dag 50 centimeter regen. Hierdoor veranderde de oppervlakte van de Casita in een vloeibare massa, die zoals alle vloeistoffen maar een kant op kon: naar beneden. In vijf minuten tijd gleden er 200.000 kubieke meter rotsen, bodem en ontwortelde bomen van de Zuidelijke flank van de Casita omlaag. Deze flank heeft een helling van 45%, en de modderstroom bereikte daardoor aan de voet van de vulkaan bij een breedte van een kilometer snelheden van bijna 60 km/u. De dorpen aan de voet van de Casita werden door de 3 tot 10 meter diepe stroom bedolven en de 2000 bewoners hebben dat niet overleefd.
Guatemala
In Guatemala vielen bijna 300 doden en meer dan 100.000 mensen werden dakloos. De schade aan de infrastructuur bedroeg 550 miljoen dollar. In Guatemala was het vooral de landbouw die zwaar getroffen werd. 80% van de bananenplantages en 75% van de verbouw van fruit en groenten werden tenietgedaan. Daarmee verloor het land een groot deel van de exportmogelijkheden. Ook werd 70% van het vee van Guatemala gedood.
El Salvador
In El Salvador werden rond de 300 mensen gedood, en bijna 60.000 mensen raakten dakloos. De infrastructuur werd net als in de andere getroffen landen zwaar beschadigd door regen, overstromingen en modderstromen. Van de geasfalteerde wegen raakte 60% zwaar beschadigd, en naar schatting werden er meer dan 10.000 woningen vernietigd. Van de belangrijkste landbouwproducten (koffie en suiker) werd 18% vernietigd.
Florida
Mitch kwam nadat hij Midden-Amerika had verlaten nog een keer met orkaankracht aan land in Florida. Daar vielen twee doden die verdronken toen hun vissersboot omsloeg en zonk. Ongeveer 645 woningen raakten beschadigd en er vielen 65 gewonden.