Microarthron
| Microarthron | |||||||||||||
|---|---|---|---|---|---|---|---|---|---|---|---|---|---|
| |||||||||||||
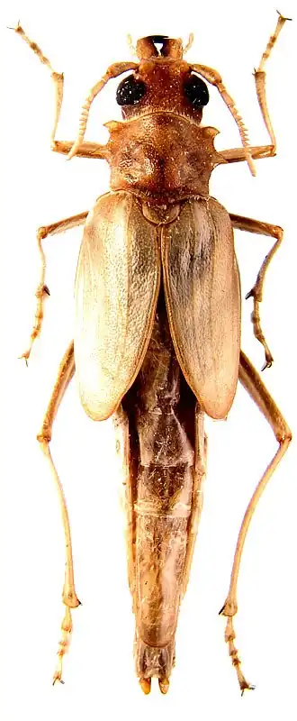
| Microarthron komaroffi | |||||||||||||
| Taxonomische indeling | |||||||||||||
| |||||||||||||
| Geslacht | |||||||||||||
| Microarthron Pic, 1900 | |||||||||||||
| Afbeeldingen op | |||||||||||||
| Microarthron op | |||||||||||||
| |||||||||||||
Microarthron is een kevergeslacht uit de familie van de boktorren (Cerambycidae). De wetenschappelijke naam van het geslacht werd voor het eerst geldig gepubliceerd in 1900 door Pic.[1]
Soorten
Microarthron is monotypisch en omvat slechts de volgende soort:
- Microarthron komaroffi (Dohrn, 1885)
Bronnen, noten en/of referenties
- ↑ (fr) Tavakilian, G. (auteur) & Chevillotte, H. (software) (2012) Base de données Titan sur les Cerambycidés ou Longicornes. (bezocht 30 januari 2014)
Geplaatst op:
20-02-2014
20-02-2014
Dit artikel is een beginnetje over biologie. U wordt uitgenodigd om op bewerken te klikken om uw kennis aan dit artikel toe te voegen.
