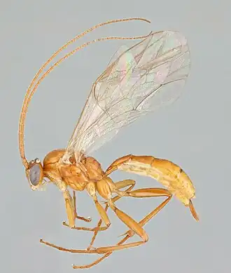
Mesochorus fulgurans
| Mesochorus fulgurans | |||||||||||||
|---|---|---|---|---|---|---|---|---|---|---|---|---|---|
| |||||||||||||
| Taxonomische indeling | |||||||||||||
| |||||||||||||
| Soort | |||||||||||||
| Mesochorus fulgurans Curtis, 1833 | |||||||||||||
| Afbeeldingen op | |||||||||||||
| |||||||||||||
Mesochorus fulgurans is een insect dat behoort tot de orde vliesvleugeligen (Hymenoptera) en de familie van de gewone sluipwespen (Ichneumonidae). De wetenschappelijke naam van de soort werd voor het eerst geldig gepubliceerd door Curtis in 1833.
Geplaatst op:
24-09-2012
24-09-2012
Dit artikel is een beginnetje over biologie. U wordt uitgenodigd om op bewerken te klikken om uw kennis aan dit artikel toe te voegen.
