Mertila
| Mertila | |||||||||||||
|---|---|---|---|---|---|---|---|---|---|---|---|---|---|
| |||||||||||||
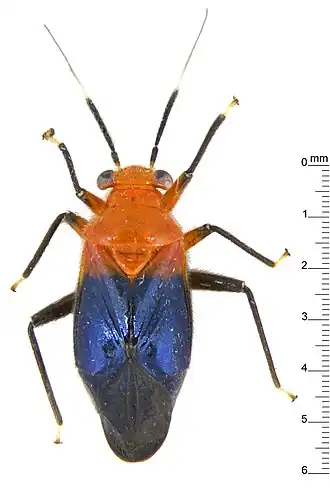
| Mertila sarawak | |||||||||||||
| Taxonomische indeling | |||||||||||||
| |||||||||||||
| Geslacht | |||||||||||||
| Mertila Distant, 1904 | |||||||||||||
| Afbeeldingen op | |||||||||||||
| Mertila op | |||||||||||||
| |||||||||||||
Mertila is een geslacht van wantsen uit de familie van de Miridae (Blindwantsen). Het geslacht werd voor het eerst wetenschappelijk beschreven door Distant in 1904.
Soorten
Het genus bevat de volgende soorten: [1][2][3]
- Mertila bhamo Stonedahl, 1988
- Mertila malayensis Distant, 1904
- Mertila rubrocephala Yeshwanth & Konstantinov, 2021
- Mertila sabah Stonedahl, 1988
- Mertila sarawak Stonedahl, 1988
- Mertila ternatensis Distant, 1904
Bronnen, noten en/of referenties
- ↑ Mertila Genus Informatie BioLib. biolib.cz. Geraadpleegd op 12 november 2023.
- ↑ Mertila Genus Informatie Catalogue of Life. www.catalogueoflife.org. Gearchiveerd op 12 november 2023. Geraadpleegd op 12 november 2023.
- ↑ Mertila Genus Informatie GBIF. www.gbif.org. Gearchiveerd op 12 november 2023. Geraadpleegd op 12 november 2023.
