Lygus gemellatus

Lygus gemellatus
Lygus gemellatus
Taxonomische indeling
Rijk:Animalia (Dieren)
Stam:Arthropoda (Geleedpotigen)
Klasse:Insecta (Insecten)
Orde:Hemiptera (Halfvleugeligen)
Onderorde:Heteroptera (Wantsen)
Familie:Miridae (Blindwantsen)
Geslacht:Lygus
Hahn, 1833
Soort
Lygus gemellatus
(Herrich-Schäffer, 1835)
Afbeeldingen op Wikimedia Commons Wikimedia Commons
Portaal  Portaalicoon   Biologie
Insecten

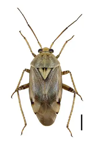
Lygus gemellatus (synoniem: Exolygus gemellatus) is een wants uit de familie van de blindwantsen (Miridae). De soort werd het eerst wetenschappelijk beschreven door Gottlieb August Wilhelm Herrich-Schäffer in 1835.

Uiterlijk

De lichtbehaarde ovale blindwants is als volwassen dier altijd langvleugelig en kan 5 tot 6 mm lang worden. Net als de andere Nederlandse Lygus-soorten is de tekening en kleur zeer variabel, van bruin tot groengrijs tot rood, wat het niet eenvoudig maakt ze uit elkaar te houden. De wants heeft zwartbruine vlekken op het midden van het lichaam, boven de (cuneus) en het gebied rond het scutellum, het scutellum zelf heeft in de zomer een zwarte vlek in de vorm van de letter W of is geheel donker met drie lichte vlekjes. De punten van het verharde deel van de voorvleugels, (de cuneus) hebben een zwart uiteinde. Het doorzichtige deel van de vleugels heeft geelgrijze aders. Van de zwartbruine antennes is het tweede segment in het midden wat lichter gekleurd. De dijen van de bruine of grijsgele pootjes hebben twee zwarte ringen, de schenen hebben zwarte stekeltjes en vlekjes. De Nederlandse Lygus-soorten zijn enigszins van elkaar te onderscheiden door middel van de punctering van delen van het lichaam. Lygus rugulipennis is duidelijk behaard en de putjes op vleugels en het gebiedje rond het scutellum zijn gelijkmatig verdeeld. Bij Lygus maritimus en Lygus gemellatus zitten de putjes dichter bij elkaar op de clavus dan op het corium. Bij Lygus wagneri en Lygus pratensis zitten de putjes gelijkmatig verdeeld op de vleugels en minder dicht bij elkaar op het halsschild.

Leefwijze

De soort kent twee generaties per jaar, de eerste generatie volwassen dieren in vanaf juni te vinden in wegbermen en ruderale plekken op Alsem-soorten zoals absintalsem (Artemisia absinthium) en wilde averuit (Artemisia campestris) en op bijvoet (Artemisia vulgaris). De tweede generatie wordt gevonden vanaf september en leeft ook op andere bloemen.

Leefgebied

De wants komt algemeen voor in Nederland en kan gevonden worden in het Palearctisch gebied, vanaf Europa tot India en Pakistan in Azië.

  • Kaarten met waarnemingen: