Korinchocoris
| Korinchocoris | |||||||||||||
|---|---|---|---|---|---|---|---|---|---|---|---|---|---|
| |||||||||||||
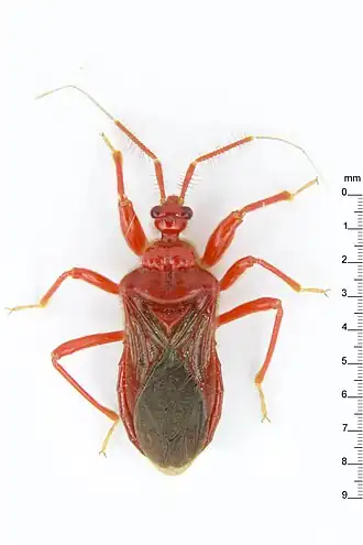
| Korinchocoris chinai | |||||||||||||
| Taxonomische indeling | |||||||||||||
| |||||||||||||
| Geslacht | |||||||||||||
| Korinchocoris Miller, 1941 | |||||||||||||
| Afbeeldingen op | |||||||||||||
| Korinchocoris op | |||||||||||||
| |||||||||||||
Korinchocoris is een geslacht van wantsen uit de familie van de Reduviidae (Roofwantsen). Het geslacht werd voor het eerst wetenschappelijk beschreven door Norman Cecil Egerton Miller in 1941.
Soorten
Het genus bevat de volgende soorten: [1][2][3]
- Korinchocoris anak Miller, 1948
- Korinchocoris chinai Miller, 1941
- Korinchocoris insolitus Miller, 1941
- Korinchocoris malayus Miller, 1941
- Korinchocoris pendleburyi Miller, 1941
- Korinchocoris venulus Zhang, Zhao, Ishikawa & Cai, 2010
Bronnen, noten en/of referenties
- ↑ Korinchocoris Genus Informatie ITIS. ITIS.gov. Geraadpleegd op 9 december 2023.
- ↑ Korinchocoris Genus Informatie BioLib. biolib.cz. Geraadpleegd op 9 december 2023.
- ↑ Korinchocoris Genus Informatie GBIF. www.gbif.org. Geraadpleegd op 9 december 2023.
