Kleine groefbij
| Kleine groefbij | |||||||||||||||||
|---|---|---|---|---|---|---|---|---|---|---|---|---|---|---|---|---|---|
| |||||||||||||||||
| Taxonomische indeling | |||||||||||||||||
| |||||||||||||||||
| Soort | |||||||||||||||||
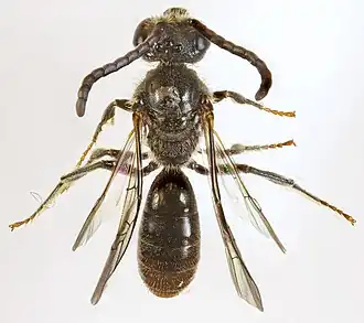
| Lasioglossum parvulum (Schenck, 1853) | |||||||||||||||||
| Afbeeldingen op | |||||||||||||||||
| Kleine groefbij op | |||||||||||||||||
| |||||||||||||||||
De kleine groefbij (Lasioglossum parvulum) is een vliesvleugelig insect uit de familie Halictidae. De wetenschappelijke naam van de soort is voor het eerst geldig gepubliceerd in 1853 door Schenck.[1]
Bronnen, noten en/of referenties
- ↑ (2008) Integrated Taxonomic Information System (ITIS) Bee Checklist 3 oktober 2008 (niet meer beschikbaar, nieuwe lijst hier)
Geplaatst op:
16-12-2011
16-12-2011
Dit artikel is een beginnetje over biologie. U wordt uitgenodigd om op bewerken te klikken om uw kennis aan dit artikel toe te voegen.
.jpg)