Kaaimantrog


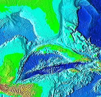
De Kaaimantrog, ook Bartlett-trog is een trog in de Caraïbische Zee.
De trog is een divergente plaatgrens in een gebied met een complexe transformbreuk op de bodem van de Caraïbische Zee tussen Jamaica en de Kaaimaneilanden. Het is het diepste punt van de Caraïbische Zee.
De trog is onderdeel van de tektonische grens tussen de Noord-Amerikaanse Plaat en de Caribische Plaat. De grens loopt in het noordoosten vanuit de Windward Passage over de Sierra Maestra in Cuba naar Guatemala in het zuidwesten, waar de grens in het land zichtbaar is in de Motagua-breuk die doorloopt tot aan de Grote Oceaan.
De trog is 420 km lang, en is op zijn diepste punt 7.686 m diep. De Kaaimantrog kent een verbreding van 11 tot 12 mm per jaar. Het oostelijk deel van de trog is ook gekend als de Gonâve-microplaat.