Hyalopeplinus
| Hyalopeplinus | |||||||||||||
|---|---|---|---|---|---|---|---|---|---|---|---|---|---|
| |||||||||||||
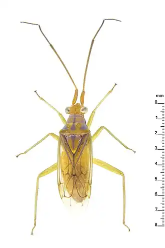
| Hyalopeplinus malayensis | |||||||||||||
| Taxonomische indeling | |||||||||||||
| |||||||||||||
| Geslacht | |||||||||||||
| Hyalopeplinus Carvalho & Gross, 1979 | |||||||||||||
| Afbeeldingen op | |||||||||||||
| Hyalopeplinus op | |||||||||||||
| |||||||||||||
Hyalopeplinus is een geslacht van wantsen uit de familie van de Miridae (Blindwantsen). Het geslacht werd voor het eerst wetenschappelijk beschreven door Carvalho & Gross in 1979.
Soorten
Het genus bevat de volgende soorten: [1][2][3]
- Hyalopeplinus antennalis (Distant, 1920)
- Hyalopeplinus cairnsensis Carvalho & Gross, 1979
- Hyalopeplinus cristovalensis Carvalho & Gross, 1979
- Hyalopeplinus fijiensis Carvalho & Gross, 1979
- Hyalopeplinus malayensis Carvalho & Gross, 1979
- Hyalopeplinus papuensis Carvalho & Gross, 1979
- Hyalopeplinus philippinensis Carvalho & Gross, 1979
- Hyalopeplinus samoanus (Knight, 1935)
- Hyalopeplinus solomonensis Carvalho & Gross, 1979
Bronnen, noten en/of referenties
- ↑ Hyalopeplinus Genus Informatie BioLib. biolib.cz. Geraadpleegd op 15 november 2023.
- ↑ Hyalopeplinus Genus Informatie Catalogue of Life. www.catalogueoflife.org. Geraadpleegd op 15 november 2023.
- ↑ Hyalopeplinus Genus Informatie GBIF. www.gbif.org. Geraadpleegd op 15 november 2023.
