Vlekmoerwants
| Vlekmoerwants | |||||||||||||||
|---|---|---|---|---|---|---|---|---|---|---|---|---|---|---|---|
| |||||||||||||||
| Taxonomische indeling | |||||||||||||||
| |||||||||||||||
| Soort | |||||||||||||||
| Hesperocorixa sahlbergi (Fieber, 1848) | |||||||||||||||
| Afbeeldingen op | |||||||||||||||
| (en) World Register of Marine Species | |||||||||||||||
| |||||||||||||||
De vlekmoerwants (Hesperocorixa sahlbergi) is een wants uit de familie van de Corixidae (Duikerwantsen). De soort werd het eerst wetenschappelijk beschreven door Franz Xaver Fieber in 1848.
Uiterlijk
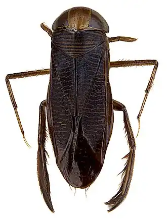
De zwartbruine wants is altijd langvleugelig en kan 7 tot 9 mm lang worden. Het halsschild is twee keer zo breed als lang en is net als de voorvleugels zwartbruin van kleur. Het halsschild heeft acht tot negen dunne regelmatige dwarsstrepen. De voorvleugels hebben ook regelmatige, parallel lopende, smalle, lichte dwarslijnen. Het doorzichtige, vliezige gedeelte van de voorvleugels is gedeeltelijk geel en heeft lichte zigzagvlekken. De punt van het corium is geel en de kop en de pootjes zijn donker roodgeel. De vlekmoerwants lijkt op de donkere moerwants (Hesperocorixa linnaei), die is echter iets kleiner, heeft maar zes to zeven smalle dwarslijnen op het halsschild en heeft geen gele punt aan het corium.
Leefwijze
Er is één generatie in het jaar en de wants komt de winter door als imago. Het zijn goede zwemmers en ze leven, vaak tussen riet, in allerlei typen zoet water, van zwevende organische deeltjes, afkomstig van dode planten, levende planten en kleine waterdiertjes.
Leefgebied
De wants is in Nederland zeer algemeen en komt voor in het hele Palearctische gebied met uitzondering van het uiterste noorden, Noord-Afrika en het Verre Oosten.
Externe link
- Kaarten met waarnemingen:
