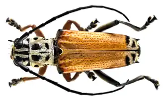
Glenea cantor
| Glenea cantor | |||||||||||||
|---|---|---|---|---|---|---|---|---|---|---|---|---|---|
| |||||||||||||
| Taxonomische indeling | |||||||||||||
| |||||||||||||
| Soort | |||||||||||||
| Glenea cantor Fabricius, 1782 | |||||||||||||
| Afbeeldingen op | |||||||||||||
| Glenea cantor op | |||||||||||||
| |||||||||||||
Glenea cantor is een keversoort uit de familie boktorren (Cerambycidae). De wetenschappelijke naam van de soort is voor het eerst geldig gepubliceerd in 1782 door Fabricius.[1]
Bronnen, noten en/of referenties
- ↑ (en) Hallan, Joel, Synopsis of the described Coleoptera of the World. Biology Catalog. Texas A&M (6 juni 2010). Gearchiveerd op 20 oktober 2013.
Geplaatst op:
09-12-2011
09-12-2011
Dit artikel is een beginnetje over biologie. U wordt uitgenodigd om op bewerken te klikken om uw kennis aan dit artikel toe te voegen.
_(15467346281).png)