Filipijnentrog

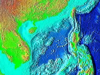
De Filipijnentrog, ook wel Mindanaotrog, is een van de diepste plekken op aarde. De trog is 1325 km lang, zo'n 30 km breed en ligt ten oosten van de Filipijnen waar de Filipijnse Plaat onder de Filipijnen schuift. De Filipijnentrog strekt zich uit het noordoostelijke puntje van Luzon tot aan Halmahera in Indonesië. Het diepste punt is de Galatheadiepte (10.540 meter).
Tot 1970 werd de Filipijnentrog beschouwd als de diepste plek op aarde. Sindsdien zijn diepere plekken ontdekt, zoals de Marianentrog, de Tongatrog, de Japantrog en de Koerilentrog. De trog wordt ook gezien als een grens tussen Azië (Filipijnen) en Oceanië (Micronesië).