Euides basilinea
| Euides basilinea | |||||||||||||||
|---|---|---|---|---|---|---|---|---|---|---|---|---|---|---|---|
| |||||||||||||||
| Taxonomische indeling | |||||||||||||||
| |||||||||||||||
| Soort | |||||||||||||||
| Euides basilinea (Germar, 1821) | |||||||||||||||
| |||||||||||||||
| Afbeeldingen op | |||||||||||||||
| Euides basilinea op | |||||||||||||||
| |||||||||||||||
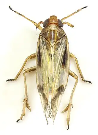
Euides basilinea is een Spoorcicade. Hij leeft monofaag op planten uit de familie Poaceae. Hij is bekend van Phragmites australis. De larven en imago's leven vrij op het blad.
Kenmerken
Volwassen dieren hebben een lengte van 5 tot 7 mm. Het is een cicaden waarbij volledig gevleugelde individuen (beide geslachten) een donkere streep aan de basis van de voorvleugel hebben en een sikkelvormige donkere vlek aan de top. De top is vrij lang en smal, in tegenstelling tot Delphax-soorten. Het halsschild en het schildje hebben een brede witte centrale streep, hoewel deze bij vrouwtjes minder duidelijk te zien is.
Bronnen, noten en/of referenties

%252C_Arnhem%252C_the_Netherlands_-_3.jpg)