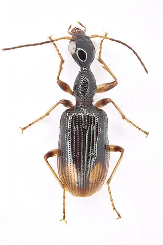
Eucolliuris
| Eucolliuris | |||||||||||||
|---|---|---|---|---|---|---|---|---|---|---|---|---|---|
| |||||||||||||
| Taxonomische indeling | |||||||||||||
| |||||||||||||
| Geslacht | |||||||||||||
| Eucolliuris Liebke, 1931 | |||||||||||||
| Eucolliuris op | |||||||||||||
| |||||||||||||
Eucolliuris is een geslacht van kevers uit de familie van de loopkevers (Carabidae).[1] De wetenschappelijke naam van het geslacht is voor het eerst geldig gepubliceerd in 1931 door Liebke.
Soorten
Het geslacht Eucolliuris omvat de volgende soorten:
- Eucolliuris aegyptiaca (Jedlicka, 1960)
- Eucolliuris aethiopica (Raffray, 1885)
- Eucolliuris algoensis (Peringuey, 1896)
- Eucolliuris amoenula (Peringuey, 1896)
- Eucolliuris brachydera (Alluaud, 1918)
- Eucolliuris brunneomarginata (Rousseau, 1900)
- Eucolliuris capicola (Peringuey, 1896)
- Eucolliuris celebensis (Gestro, 1875)
- Eucolliuris cribriceps (Bates, 1889)
- Eucolliuris cribrifrons (Liebke, 1931)
- Eucolliuris cyanauges (Andrewes, 1936)
- Eucolliuris decorsei (Alluaud, 1917)
- Eucolliuris dissimilis Basilewsky, 1965
- Eucolliuris dorsalis (Peringuey, 1896)
- Eucolliuris flavomarginata Facchini, 2011
- Eucolliuris fukiensis Jedlicka, 1953
- Eucolliuris fulvipennis (Chaudoir, 1872)
- Eucolliuris fuscipennis (Chaudoir, 1850)
- Eucolliuris globulicollis Jeannel, 1948
- Eucolliuris interrupta (Fairmaire, 1885)
- Eucolliuris kivuensis Basilewsky, 1965
- Eucolliuris labathiei Jeannel, 1948
- Eucolliuris latifascia (Chaudoir, 1872)
- Eucolliuris litura (Schmidt-Gobel, 1846)
- Eucolliuris madagascariensis (Alluaud, 1899)
- Eucolliuris natalensis (Chaudoir, 1862)
- Eucolliuris olivieri (Buquet, 1864)
- Eucolliuris rossi (Darlington, 1968)
- Eucolliuris suturalis (Peringuey, 1896)
- Eucolliuris usherae Basilewsky, 1965
- Eucolliuris virgulifera (Chaudoir, 1872)
Bronnen, noten en/of referenties
- ↑ Anichtchenko A. et al., (editors): Carabidae of the World (bezocht: 20 tot 28 maart 2013)
%253B_Mozambique%253B_2016-400.jpg)