Dyakocoris
| Dyakocoris | |||||||||||||
|---|---|---|---|---|---|---|---|---|---|---|---|---|---|
| |||||||||||||
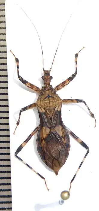
| Dyakocoris vulnerans | |||||||||||||
| Taxonomische indeling | |||||||||||||
| |||||||||||||
| Geslacht | |||||||||||||
| Dyakocoris Miller, 1951 | |||||||||||||
| Afbeeldingen op | |||||||||||||
| Dyakocoris op | |||||||||||||
| |||||||||||||
Dyakocoris is een geslacht van wantsen uit de familie van de Reduviidae (Roofwantsen). Het geslacht werd voor het eerst wetenschappelijk beschreven door Norman Cecil Egerton Miller in 1951.
Soorten
Het genus bevat de volgende soort: [1][2][3]
- Dyakocoris vulnerans (Amyot & Serville, 1843)
Bronnen, noten en/of referenties
- ↑ Dyakocoris Genus Informatie ITIS. ITIS.gov. Geraadpleegd op 9 december 2023.
- ↑ Dyakocoris Genus Informatie BioLib. biolib.cz. Geraadpleegd op 9 december 2023.
- ↑ Dyakocoris Genus Informatie GBIF. www.gbif.org. Geraadpleegd op 9 december 2023.
