Diglotta
| Diglotta | |||||||||||||
|---|---|---|---|---|---|---|---|---|---|---|---|---|---|
| |||||||||||||
| Taxonomische indeling | |||||||||||||
| |||||||||||||
| Geslacht | |||||||||||||
| Diglotta Champion, 1899 | |||||||||||||
| Typesoort | |||||||||||||
| Diglossa mersa Haliday, 1837 | |||||||||||||
| Synoniemen | |||||||||||||
| |||||||||||||
| Afbeeldingen op | |||||||||||||
| Diglotta op | |||||||||||||
| (en) World Register of Marine Species | |||||||||||||
| |||||||||||||
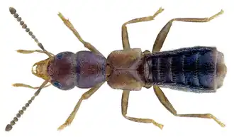
Diglotta is een geslacht van kevers uit de familie van de kortschildkevers (Staphylinidae).
De wetenschappelijke naam Diglotta is voor het eerst geldig gepubliceerd door George Charles Champion in 1899, als nomen novum voor Diglossa. Alexander Henry Haliday had deze naam in 1837 gepubliceerd, maar de geslachtsnaam Diglossa was reeds in gebruik als naam van een geslacht van zangvogels.
Diglotta behoort samen met het monotypische geslacht Paradiglotta Ashe & Ahn, 2004 tot de tribus Diglottini Jakobson, 1909[1] in de onderfamilie Aleocharinae van de kortschildkevers. Ze leven aan de kust nabij de hoogwaterzone, waar men ze kan aantreffen onder keien, grint of zand. Het zijn kleine tot zeer kleine kevers, meestal 3 tot 5 mm lichaamslengte. De enige Paradiglottasoort, Paradiglotta nunni uit Nieuw-Zeeland, is niet meer dan 1,6 mm lang.[2]
Soorten[1]
- Diglotta brasiliensis Caron & Riberio-Costa, 2008
- Diglotta legneri Moore & Orth, 1979
- Diglotta littoralis (Horn, 1871)
- Diglotta maritima Lea, 1927
- Diglotta mersa (Haliday, 1837) - De typesoort
- Diglotta pacifica Fenyes, 1921
- Diglotta secqi Pace, 1989
- Diglotta sinuaticollis (Mulsant & Rey, 1870)
- ↑ a b Jan Klimaszewski, Reginald Webster, Volker Assing, Karine Savard. "Diglotta mersa (Haliday) and Halobrecta flavipes Thomson, two new species for the Canadian fauna (Coleoptera, Staphylinidae, Aleocharinae)." ZooKeys 2 (2008), blz. 175-188. DOI:10.3897/zookeys.2.18
- ↑ James S. Ashe, Kee-Jeong Ahn. "Paradiglotta nunni, a remarkable new genus and species in the Aleocharine tribe Diglottini (Coleoptera: Staphylinidae: Aleocharinae) from New Zealand." J. New York Entomol. Soc. (2004), vol. 11, blz. 111-120.
.png)