Breedgeringde muggenwants

Breedgeringde muggenwants
Empicoris culiciformis, breedgeringde muggenwants
Taxonomische indeling
Rijk:Animalia (Dieren)
Stam:Arthropoda (Geleedpotigen)
Klasse:Insecta (Insecten)
Orde:Hemiptera (Halfvleugeligen)
Onderorde:Heteroptera (Wantsen)
Familie:Reduviidae (Roofwantsen)
Geslacht:Empicoris
Soort
Empicoris culiciformis
(De Geer, 1773)
Afbeeldingen op Wikimedia Commons Wikimedia Commons
Portaal  Portaalicoon   Biologie
Insecten

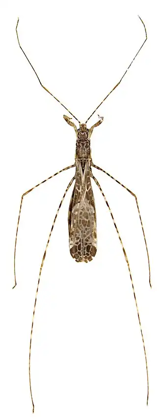
De breedgeringde muggenwants (Empicoris culiciformis) is een wants uit de familie van de roofwantsen (Reduviidae).

Uiterlijk

Net als de andere soorten uit het geslacht Empicoris is de breedgeringde muggenwants heel dun en heeft hij lange dunne poten, waardoor hij op een mug lijkt en op wantsen uit de familie steltwantsen (Berytidae). Het Connexivum (de verbrede rand van het achterlijf) is donkerbruin/zwart met gele tekening. De voorste doorn op het schildje (scutellum) staat naar achteren gericht, zeer zelden steiler omhoog en is meestal wittig. De lengte is 4 – 5 mm.

Verschil met de muggenwants (Empicoris vagabundus): die is veel groter, heeft een wit connexivum en heeft smallere zwarte ringetjes om de witte poten en antennes.

Verschil met Empicoris baerensprungi: de voorste doorn op het schildje (scutellum) staat doorgaans steiler omhoog en is vaak donker. Verder zijn de verschillen zeer klein.

Verspreiding en habitat

De soort wordt aangetroffen in Europa, Azië, Noord-Afrika, en China en in Noord-Amerika. In Nederland vooral in het midden en zuiden, maar ze worden niet zo vaak waargenomen door hun verborgen levenswijze. Ze leven in holle, vermolmde bomen, maar ook in schuren, kippenhokken en spleten in oude muren.

Leefwijze

Het voedsel bestaat uit insecten als muggen en stofluizen. Ze kunnen zelfs de slachtoffers in spinnenwebben uitzuigen. De eitjes worden in augustus afgezet, en in september verschijnen de nimfen. Volwassen wantsen worden het hele jaar gezien.