Beraba marica
| Beraba marica | |||||||||||||||
|---|---|---|---|---|---|---|---|---|---|---|---|---|---|---|---|
| |||||||||||||||
| Taxonomische indeling | |||||||||||||||
| |||||||||||||||
| Soort | |||||||||||||||
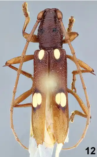
| Beraba marica Galileo & Martins, 2000 | |||||||||||||||
| Afbeeldingen op | |||||||||||||||
| Beraba marica op | |||||||||||||||
| |||||||||||||||
Beraba marica is een keversoort uit de familie van de boktorren (Cerambycidae). De wetenschappelijke naam van de soort werd voor het eerst geldig gepubliceerd in 2000 door Galileo & Martins.[1]
Bronnen, noten en/of referenties
- ↑ (fr) Tavakilian, G. (auteur) & Chevillotte, H. (software) (2012) Base de données Titan sur les Cerambycidés ou Longicornes. (bezocht 30 januari 2014)
Geplaatst op:
16-02-2014
16-02-2014
Dit artikel is een beginnetje over biologie. U wordt uitgenodigd om op bewerken te klikken om uw kennis aan dit artikel toe te voegen.
_Figures_8%E2%80%9314_(cropped).jpg)