Artelida
| Artelida | |||||||||||||
|---|---|---|---|---|---|---|---|---|---|---|---|---|---|
| |||||||||||||
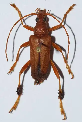
| Artelida crinipes | |||||||||||||
| Taxonomische indeling | |||||||||||||
| |||||||||||||
| Geslacht | |||||||||||||
| Artelida Thomson, 1864 | |||||||||||||
| Afbeeldingen op | |||||||||||||
| Artelida op | |||||||||||||
| |||||||||||||
Artelida is een kevergeslacht uit de familie van de boktorren (Cerambycidae). De wetenschappelijke naam van het geslacht werd voor het eerst geldig gepubliceerd in 1864 door Thomson.[1]
Soorten
Artelida omvat de volgende soorten:
- Artelida asperata Waterhouse, 1880
- Artelida aurosericea Waterhouse, 1882
- Artelida bifida Villiers, Quentin & Vives, 2011
- Artelida castanea Villiers, Quentin & Vives, 2011
- Artelida crinipes Thomson, 1864
- Artelida cuprea Villiers, Quentin & Vives, 2011
- Artelida diversitarsis Fairmaire, 1902
- Artelida holoxantha Fairmaire, 1902
- Artelida insularis Villiers, Quentin & Vives, 2011
- Artelida lokobensis Villiers, Quentin & Vives, 2011
- Artelida longicollis Villiers, Quentin & Vives, 2011
- Artelida pernobilis Poll, 1890
- Artelida triangularis Villiers, Quentin & Vives, 2011
- Artelida villosimana Fairmaire, 1903
Bronnen, noten en/of referenties
- ↑ (fr) Tavakilian, G. (auteur) & Chevillotte, H. (software) (2012) Base de données Titan sur les Cerambycidés ou Longicornes. (bezocht 30 januari 2014)
Geplaatst op:
20-02-2014
20-02-2014
Dit artikel is een beginnetje over biologie. U wordt uitgenodigd om op bewerken te klikken om uw kennis aan dit artikel toe te voegen.
_(8563792689).jpg)