Typhoon Yutu
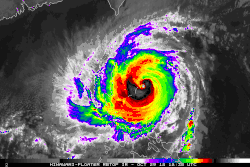
![]() Yutu at peak intensity west of the Northern Mariana Islands on October 25 | |
| Meteorological history | |
|---|---|
| Formed | October 21, 2018 |
| Dissipated | November 3, 2018 |
| Violent typhoon | |
| 10-minute sustained (JMA) | |
| Highest winds | 215 km/h (130 mph) |
| Lowest pressure | 900 hPa (mbar); 26.58 inHg |
| Category 5-equivalent super typhoon | |
| 1-minute sustained (SSHWS/JTWC) | |
| Highest winds | 280 km/h (175 mph) |
| Lowest pressure | 904 hPa (mbar); 26.70 inHg |
| Overall effects | |
| Fatalities | 35 |
| Damage | >$856 million (2018 USD) |
| Areas affected | Mariana Islands (particularly Tinian and Saipan), Philippines, Hong Kong |
| IBTrACS | |
Part of the 2018 Pacific typhoon season | |
Typhoon Yutu, known in the Philippines as Typhoon Rosita,[1] was an extremely powerful tropical cyclone that caused catastrophic destruction on the islands of Tinian and Saipan in the Northern Mariana Islands, and later impacted the Philippines. It is the strongest typhoon ever recorded to impact the Mariana Islands, and is tied as the second-strongest tropical cyclone to strike the United States and its unincorporated territories by both wind speed and barometric pressure. It also tied Typhoon Kong-rey as the most powerful tropical cyclone worldwide in 2018.[2]
The twenty-sixth named storm and the twelfth typhoon of the 2018 Pacific typhoon season, Yutu originated as a tropical disturbance moving westward on October 18. It became a tropical depression two days later near the Marshall Islands, before strengthening further into a tropical storm on October 22, receiving the name Yutu from the Japan Meteorological Agency (JMA). Favorable conditions led to a period of rapid intensification, causing Yutu to become a typhoon as it moved west-northwestward on October 23, and by the next day, Yutu had achieved its peak intensity; the JMA estimated 10-minute maximum sustained winds of 215 km/h (130 mph) and a lowest central pressure of 900 hPa (26.58 inHg), while the Joint Typhoon Warning Center assessed 1-minute winds of 280 km/h (175 mph). An eyewall replacement cycle ensued, weakening Yutu, before making landfall over Tinian on October 25. Substantial outflow allowed the storm to re-strengthen, making it reach a secondary peak on October 26. As it approached the Philippines the following day, PAGASA assigned it the local name Rosita, while it began to reach less favorable conditions. The storm made a second landfall over Dinapigue, Isabela by October 29. Yutu then entered the South China Sea, where it continued to weaken while turning northward, until it had dissipated by November 3.
An emergency was declared for the Northern Mariana Islands as Yutu approached the archipelago, while tropical cyclone warnings and watches were raised. Winds of 270 km/h (170 mph) and gusts of 320 km/h (200 mph) swept across Tinian and Saipan, causing devastating damage throughout the Northern Mariana Islands that amounted over US$800 million, far exceeding that of Typhoon Soudelor in 2015. The storm destroyed up to 6,000 homes and toppled 962 power poles in Saipan and Tinian, leaving the islands without power for months. Health centers and airports in the two islands sustained serious damage. Two women were killed in Saipan and 121–133 people were injured. Yutu caused power outages to Rota and Guam, with damage to the latter island estimated at US$750,000. In response to the disaster, a major disaster declaration from U.S. President Donald Trump was signed; the Northern Mariana Islands received aid from organizations and local and federal governments.
Tropical Cyclone Wind Signals were issued throughout Luzon while the Philippines was still recovering from Typhoon Mangkhut, leading to pre-emptive evacuation of 32,519 people. Yutu brought rainfall of 50 to 300 mm (2.0 to 11.8 in) on the island, flooding low-lying areas. Yutu affected 567,691 people across the nation, displacing a majority of them after damaging 66,165 homes. The storm killed 32 people in the country, 21 of which died in Natonin from one of at least eleven landslides, and also injured two. Power outages occurred across Luzon, with most of it restored by October 31. Agricultural damage in the Philippines amounted to ₱2.904 billion (US$55.160 million). Elsewhere, a man in Hong Kong died while surfing in high waves as a typhoon signal was hoisted.
Meteorological history

Tropical storm (39–73 mph, 63–118 km/h)
Category 1 (74–95 mph, 119–153 km/h)
Category 2 (96–110 mph, 154–177 km/h)
Category 3 (111–129 mph, 178–208 km/h)
Category 4 (130–156 mph, 209–251 km/h)
Category 5 (≥157 mph, ≥252 km/h)
Unknown
Typhoon Yutu originated on October 18, 2018, from an area of atmospheric convection, or thunderstorms, near 8°36′N 169°24′E / 8.6°N 169.4°E. Having an unorganized center with scattered convection, the tropical disturbance situated around warm waters of 29–30 °C (84–86 °F) and low vertical wind shear, acquiring dual outflow channels aloft—all of which aided in development.[3][4] Moving westward during October 20,[5] the system received excellent equatorward outflow,[6] while intense convection wrapped into its elongated center.[7] By 18:00 UTC, the JMA reported that the disturbance had intensified into a tropical depression near the Marshall Islands.[8] Eighteen hours later on October 21, the United States Joint Typhoon Warning Center (JTWC) designated the consolidating system 31W.[9] A subtropical ridge to the southwest steered the storm west-northwestward, towards the Mariana Islands. Radial outflow was limited by a weak tropical upper tropospheric trough (TUTT) cell to the northwest,[10] though the cell soon diminished the next day.[11] At 00:00 UTC, both the JMA and JTWC classified the system a tropical storm, with the former assigning it the name Yutu.[8][12]
Yutu expanded in size, with the strongest convection to the east and south of the center;[13] an intense rainband to the south later developed, marking the beginning of a period of explosive intensification.[14] Deep convection bloomed, obscuring the center and significantly improving its structure with substantial poleward and radial outflow.[15] At 18:00 UTC, the JMA upgraded Yutu to a severe tropical storm, and six hours later on October 23, both the JMA and JTWC classified the storm a typhoon.[8][12] A pinhole eye began to develop, becoming apparent on satellite imagery, with banding features continuously tightening towards the center.[16] A large area of intense thunderstorms persisted to the north of the center, as very favorable conditions fueled the typhoon.[17] Over a region of high ocean heat content, the eye became well-defined and expanded to 43 km (26 mi).[18] Although it soon contracted to 33 km (21 mi), by 00:00 UTC of October 24, Yutu was classified a super typhoon by the JTWC.[19] The eye became 37 km (23 mi) wide, with extremely deep convective bands to the north and south of it.[20] By 12:00 UTC, the JMA and JTWC reported that Yutu had attained its peak intensity; the former estimated 10-minute maximum sustained winds of 215 km/h (130 mph) and a barometric pressure of 900 hPa (26.58 inHg),[8] and the latter estimated 1-minute winds of 280 km/h (175 mph), making Yutu equivalent to a Category 5 hurricane on the Saffir–Simpson scale.[12] Operationally, the JTWC estimated winds of 285 km/h (180 mph)—based on Dvorak estimates of T7.5, which utilized satellite appearance to determine intensity.[21][22]

Between 14:00 UTC and 18:00 UTC (00:00 ChST and 04:00 ChST of October 25), Yutu struck Tinian and the southern portion of Saipan at peak intensity,[23] becoming the most powerful storm on record to impact the Northern Mariana Islands,[24][25] surpassing Typhoon Soudelor in 2015.[26] Additionally, the JTWC reported a lowest central pressure of 904 hPa (26.70 inHg) at 18:00 UTC.[12] After striking the Mariana Islands, cold cloud tops began to warm, signaling a weakening trend. Furthermore, microwave imagery revealed concentric eyewalls, indicating the onset of an eyewall replacement cycle.[27] During the process, the eastern periphery of the eyewall thinned under the influence of dry air in the middle troposphere,[28] as wind shear became moderate during October 25.[29] The primary eyewall then eroded, as an anticyclone east of the storm obstructed outflow.[30] The cycle was then completed, evident by a Special Sensor Microwave Imager/Sounder image. Yutu was more asymmetric, with its movement influenced by the subtropical ridge to the north and a large, weak mid-latitude shortwave trough associated with it.[31] During October 26, the eye again became well-defined and expanded to 41 km (25 mi), as low easterly wind shear and excellent outflow persisted despite the anticyclone. Convection near the center became symmetrical,[32] cloud tops cooled, and the eye contracted and became cloud-filled.[33] The eye then sharpened and became 56 km (35 mi) wide as convective bands wrapped very tightly into the intense center.[34] By 18:00 UTC, the JMA and the JTWC reported that Yutu had attained its secondary peak intensity; the JMA estimated winds of 195 km/h (120 mph) and a minimum barometric pressure of 915 hPa (27.02 inHg), and the JTWC gave Yutu the same wind estimate as the previous peak.[8][12]

Over the Philippine Sea, Yutu crossed the 135°E boundary of the Philippine Area of Responsibility (PAR) at 00:00 UTC of October 27, receiving the local name Rosita from the Philippine Atmospheric, Geophysical and Astronomical Services Administration (PAGASA).[1] Cloud tops reached −82 °C (−116 °F) as Yutu remained over warm waters, steering westward, though the eye became ragged.[35] Yutu then briefly entered a region of high vertical wind shear, weakening the storm.[36] The eye enlarged further to 93 km (58 mi) on October 28, though poleward outflow weakened.[37] Intense thunderstorms eroded off the eastern edge of Yutu from dry air,[38] which wrapped into the storm's circulation from the west, with cloud tops warming and the eye contracting; on this basis, the JTWC assessed that Yutu had weakened to below super typhoon strength at 12:00 UTC.[39] Sea surface temperatures had also decreased in the cold wakes of previous Typhoons Mangkhut, Trami, and Kong-rey advected by the North Equatorial Current, contributing to the degrading of Yutu.[40] While approaching Luzon, rainbands began to collapse, after outflow had reduced. Meanwhile, Yutu steered west-southwestward along the southern edge of the subtropical ridge.[41] During October 29, the eye became ill-defined and cloud-filled,[42] with most convection in the southern eyewall and limited in the northern part of it.[43] Between 20:00 UTC and 21:00 UTC, Yutu made landfall over Dinapigue, Isabela, Philippines, with winds of 139 km/h (86 mph) estimated by PAGASA.[1] The JTWC, however, reported that Yutu had made landfall at 19:50 UTC. The storm continued to rapidly decay tracking westward inland over the next day.[44] Despite this, the system still remained organized as it began to emerge over the South China Sea,[45] though it weakened into a severe tropical storm at 06:00 UTC according to the JMA.[8]
Moving away from the Philippines, Yutu re-consolidated from improved banding over the northern flank,[46] but weakened into a tropical storm at 18:00 UTC, according to the JTWC.[12] Rainbands were limited to the north and south quadrants of the storm during October 31.[47] At 06:00 UTC, the JMA downgraded Yutu to a tropical storm.[8] Meanwhile, the storm left the PAR at 08:00 UTC.[1] Exhibiting a partially exposed center, Yutu turned northwestward along the subtropical ridge. Regardless, the system stockpiled convection over its southern quadrant. Moreover, moderate wind shear was subdued by strong poleward outflow, making conditions favorable for intensification.[48] By November 1, Yutu had briefly strengthened to near typhoon-force winds of 110 km/h (70 mph), according to the JTWC.[12] However, Yutu began experiencing moderate to high wind shear turning northward, limiting outflow and displacing deep convection to the northeast of the poorly defined center.[49] By November 2, the JMA reported that Yutu had weakened into a tropical depression at 06:00 UTC;[8] the JTWC followed suit in downgrading the system six hours later.[12] After the storm had lost all of its convection from unfavorable wind shear while 287 km (178 mi) southeast of Hong Kong,[50] the JTWC reported that Yutu had degenerated into a tropical disturbance at 18:00 UTC,[12] whereas the JMA continued monitoring the system until it had dissipated on November 3 at 06:00 UTC.[8]
Preparations
Mariana Islands
On October 20, the National Weather Service (NWS) office in Tiyan, Guam released a Special Weather Statement on the pre-Yutu disturbance after a Tropical Cyclone Formation Alert from the JTWC was issued, stating that it could impact the Mariana Islands by midweek.[51] Two days later, the NWS instated a tropical storm watch for Rota and a typhoon watch on Saipan and Tinian.[52] As Tropical Storm Yutu continued towards the archipelago, tropical storm watches were added on Guam, Alamagan, Pagan, and Agrihan.[53] With forecasts stating that Yutu would become a typhoon, the watches for Saipan and Tinian were upgraded to warnings on October 23;[54] all tropical storm watches were upgraded to warnings later that day, and the typhoon watch for Rota was upgraded to a warning also.[55] After Yutu had made landfall, all warnings and watches were canceled on October 25 as it moved away.[56] In the month prior to Yutu, Typhoon Mangkhut struck the Mariana Islands, prompting emergency officials to stockpile supplies. With relief supplies largely unused, storage facilities on Guam had 220,000 liters of water and 260,000 meals readily available.[57]
Condition of Readiness (COR) 2 was hoisted in Rota, Saipan, and Tinian on October 23,[55] before it was upgraded to COR 1 the next day after Yutu had become a super typhoon.[58] Governor Ralph Torres ordered all government offices to shut down in preparation of Yutu.[59] Additionally, Northern Marianas College campuses were closed on October 23.[60] The Chief Judge of the District Court, Ramona Villagomez Manglona, closed the federal court.[61] Attorney General Edward Manibusan warned retailers against price gouging.[62] Public schools canceled classes across the three main islands. Seven were used as shelter to accommodate 326 people;[63] some of them were filled quickly.[64] Hundreds of cars lined up at gas stations.[65] U.S. President Donald Trump declared an emergency for the Northern Islands on October 24, which allowed the Federal Emergency Management Agency (FEMA) to deploy personnel to both Tinian and Saipan ahead of the storm.[66] The Department of Fire and Emergency Medical Services in Saipan deployed a team in preparations.[67] All flights in the Northern Marianas were canceled, though the Saipan International Airport remained open. The Commonwealth Utilities Corp. shut its water distribution system to conserve water tanks.[68] Several businesses were closed, hotel constructions were suspended, and banks, restaurants, and other shops were boarded. Imperial Pacific suspended its casino. The United States Postal Service closed its offices in Saipan and Rota. United States Coast Guard ports were closed across Saipan, Tinian, Rota, and also Guam.[69]
COR 2 was also hoisted in Guam,[58] before it was upgraded to COR 1.[70] People were encouraged to price gouging to the Office of the island's Attorney General.[71] Governor Eddie Baza Calvo declared a state of emergency in anticipation of the typhoon.[72] The Guam Department of Education closed all of its schools,[73] with eight of them turned into emergency shelters to accommodate nearly 2,200 people.[74] Catholic schools and charter schools were closed as well. St. John's School, the University of Guam, Guam Community College, and Harvest Christian Academy were also closed. The Guam Regional Transit Authority halted bus operations in response to the COR 2, and transit services were paused until two hours after COR 4—the normal Condition of Readiness. Banks were closed across the island, along with post offices, and all government agencies. The Legislature, Judiciary, and District Court were all closed as well. Guam Memorial Hospital, Guam Regional Medical City, and Naval Hospital Guam suspended all operations. Two Lovers Point and the War in the Pacific National Historical Park were closed.[73] Flights to and from Antonio B. Won Pat International Airport were canceled.[75]
Philippines
_Highest_TCWS.png)
On October 27, after Yutu (Rosita) had entered the Philippine Area of Responsibility, the PAGASA issued gale warnings across the northern and eastern seaboards of Luzon and the eastern seaboard of the Visayas, due to the enhancement of the northeast monsoon by Yutu, which could also bring light rain over Batanes, the Babuyan Islands, the Ilocos Region, the Cordillera Administrative Region (CAR), and Cagayan Valley. The agency also advised fishermen and others with small vessels to not sail in those areas, while those with larger vessels were advised to look out for big waves.[76] Starting October 28, PAGASA began releasing Tropical Cyclone Wind Signals (TCWS) across regions of the Philippines; TCWS No. 1 was raised across 23 areas or provinces in the Northern Philippines.[77] Over the following days, TCWS No. 1 would span from the southern tip of Quezon to Batanes.[78] On October 29, TCWS No. 2 was hoisted across Cagayan, Isabela, Aurora, Quirino, and Polillo Island, before it extended to Mountain Province, Ifugao, Benguet, and Nueva Vizcaya that same day. The signals for Isabela, Quirino, and the northern part of Aurora were raised to TCWS No. 3 along with Nueva Vizcaya and Ifugao. TCWS No. 3 was then raised across Benguet, La Union, Ilocos Sur, Mountain Province, and Pangasinan. An orange rainfall warning was issued across Bataan, Bulacan, Nueva Ecija, and Rizal, and extended to Pampanga, after Yutu had made landfall.[79] After Yutu had cross Luzon by October 31, PAGASA no longer placed areas under warning signals.[80]
About 155,242 people had moved to 1,388 evacuation centers. 593 cities or municipalities across Ilocos Region, Cagayan Valley, Central Luzon, Calabarzon, the Bicol Region, CAR, and Metro Manila had classes suspended, and 193 across Ilocos, Cagayan Valley, and CAR suspended government work. 44 flights were canceled, with 38 domestic and 6 international. 2,267 passengers and 217 sea vessels were stranded while sheltering in the ports. The Department of Social Welfare and Development had stockpiled 376,330 family food packages and relief items worth ₱919.672 million (US$17.463 million).[79] Yutu was anticipated to produce similar effects of Typhoon Mangkhut (Ompong), which had devastated the country in September.[81] While President Rodrigo Duterte visited areas previously affected by Mangkhut ahead of Yutu, he received complaints from local government unit officials that the Commission on Audit did not allow cash advancements for the procurement of building materials intended for the victims of Mangkhut.[82]
Hong Kong
The Hong Kong Observatory (HKO) hoisted a No. 1 Standby Signal on October 31 as Yutu was 670 km (420 mi) southeast of the region. The next day while it was 370 km (230 mi) southeast, the agency raised a No. 3 Strong Wind Signal, the first in November since Typhoon Ira in 1993. As it weakened however, the signal was lowered to No. 1 on November 2, and was later canceled that same day.[83]
Impact
Mariana Islands

Striking Tinian and Saipan on October 24 as a Category 5-equivalent super typhoon, Yutu became the strongest tropical cyclone to ever impact the Mariana Islands and the second-strongest to strike the United States or its territories as a whole, tied with Typhoon Karen in 1962 and Hurricane Camille in 1969.[25][84][85] Only the 1935 Labor Day hurricane impacted the country at a greater strength.[66] Yutu was the strongest and worst storm to impact the Marianas since Typhoon Jean in 1968.[26] Meteorologist Brandon Aydlett at the NWS described the typhoon as "the storm which sets the scale for which future storms are compared to".[57] Total damage in the Northern Mariana Islands was estimated to reach over $800 million, according to FEMA.[86] Based on a joint study by the Guam NWS office and the University of Guam, maximum sustained winds of 270 km/h (170 mph) with wind gusts of 320 km/h (200 mph) swept the two islands.[85] The highest wind gust was recorded at 170 km/h (100 mph) over Saipan at 14:44 UTC on October 24, before weather instruments across the island along with Tinian were damaged or destroyed. A resident recorded gusts of 270 km/h (168 mph) and an anemometer recorded a peak wind of 214 km/h (133 mph). Though 68 mm (2.66 in) of rain was observed at Saipan International Airport, it was likely well below the actual rainfall. A rain gauge measured 250 mm (10 in) of rain, though it was 4.8 km (3 mi) northeast of Yutu's eye.[23]

During the passage of Yutu, 121–133 people were injured. The typhoon killed two people in Saipan: a 44-year-old woman in Chalan Kanoa when it wrecked the building she was staying in, and another woman in Susupe who died of carbon monoxide poisoning caused by inhaling the fumes of a generator.[23][87] Two antenna farms from the U.S. Agency for Global Media were torn apart by the intense winds. Satellite dishes that downlinked Radio Free Asia and Voice of America were either fragmented or removed entirely.[88] The power plants of Saipan and Tinian were destroyed.[23] The entirety of both islands were left without electricity; around 200 to 300 power poles were downed, 400 to 500 were leaning, and a large amount of transformers and conductors were downed as well. Some people were injured by glass and other debris.[89] By the time the storm had passed, there were 779 downed poles in Saipan and 183 in Tinian.[90] Maximum coastal flooding in Saipan and Tinian were measured at 9.1 m (30 ft) and 6.1 to 7.6 m (20 to 25 ft) respectively.[91] Across the commonwealth, utility infrastructure was severely impacted.[92] By November 5, Governor Ralph Torres stated that over 3,000 homes were destroyed, leaving thousands homeless,[93] while the American Red Cross reported that as many as 6,000 homes were destroyed and 12,000 were affected.[94] Cell towers were significantly damaged as well. Roads were inaccessible due to debris, in addition to ports.[95] In total, seven public schools in Saipan and Tinian were severely damaged.[96] The population of forest birds such as the golden white-eye, bridled white-eye, Mariana kingfisher, rufous fantail, and honeyeaters, was expected to decline as a result of the storm.[97]
The majority of buildings in southern Saipan lost their roofs or were destroyed,[89] including Hopwood Middle School, which suffered extensive damage,[98] and the gymnasium and classrooms of Northern Marianas College.[99] Yutu's eyewall also knocked out Saipan's doppler weather radar on October 25, during the storm's landfall.[25] Cars were crushed under a collapsed garage in Saipan.[89] Four hotels were closed after sustaining significant damage.[100] Low-lying vegetation in southern parts of the island were shredded or ripped from the ground.[57] The Joeten-Kiyu Public Library was flooded after its roof got damaged.[101] Saipan International Airport sustained significant damage; terminals flooded and navigation aids were rendered inoperable.[102] 462 homes were completely destroyed and 317 were severely damaged across Kagman, Lau Lau, Susupe, Chalan Kanoa, San Antonio, Koblerville, Dandan, and San Vicente.[92] Many cars had their windshield and windows shattered by debris. Powerful winds dragged a container and crashed it into two police cars behind the Department of Public Safety building in Susupe. Additionally, many trees were uprooted.[99]

One person was injured in Tinian.[103] The majority of homes on Tinian were severely damaged or destroyed. Some concrete structures sustained significant damage, with a few completely destroyed, and residents reported that those buildings shook during the typhoon. Storm shutters were torn from windows, leaving the interior of structures exposed to wind and water damage. In one instance, a door was ripped from a building and hurled 30 m (100 ft) into a pigsty.[57] The island's only health center sustained major damage; however, no patients were being treated at the time.[66] The hospital's windows and doors were damaged, and the building was inundated.[104] Tinian International Airport suffered significant damage.[102] Emergency responders rescued 30 people.[105] In total, 70 homes were destroyed and 113 were severely damaged across the villages of San Jose, the House of Taga, Carolinas, Marpo Valley and Marpo Heights.[92] In San Jose, some generators whirred among flattened buildings, 30 m (100 ft) trees were uprooted, road signs were twisted, and laundry shook in crumpled homes.[106] Its church was also totaled by the storm.[107]
Yutu brought typhoon-force winds over Rota, causing property and crop damage of $1 million each.[108] The island was without power with over 50 downed power poles severely damaged or destroyed,[90] and 13 homes were destroyed and 38 were damaged across Songsong and Sinapalo.[92] Rota Airport received debris along its runway.[95] Guam endured tropical storm winds of 48–64 km/h (30–40 mph).[109] On October 25, Andersen Air Force Base recorded a gust of 93 km/h (58 mph), while the NWS office recorded a peak gust of 85 km/h (53 mph). The highest rainfall from Yutu in Guam was recorded in Dededo at 1 in (25 mm). Yutu caused property damage of $500,000 to the island, while crop damage was estimated at $250,000.[110] The Guam Power Authority reported power outages over some parts of the island.[111]
Philippines

At least 11 landslides were reported across Luzon.[79] On October 29, both the highest wind gust of 130 km/h (81 mph) at 21:25 UTC and lowest sea-level pressure of 971.8 hPa (28.70 inHg) at 21:00 UTC were recorded at Casiguran, Aurora. Between 50 and 200 mm (2.0 and 7.9 in) of rain was estimated to have fallen over Northern Luzon, while 200 and 300 mm (7.9 and 11.8 in) of rain was estimated elsewhere in the island. As Yutu rapidly weakened, rainfall increased over the eastern side of Northern and Central Luzon, although surface observations suggested that orographic lifting had amplified the rainfall. The highest 24-hour rainfall was measured in Baguio at 170 mm (6.7 in) on October 30, while the highest rainfall throughout the storm duration was measured in the same city at 177.8 mm (7.00 in).[1]
Throughout the country, Yutu killed 32 people and injured two others.[79][112][113] A total of 567,691 people were affected across 19 provinces, and 438,895 had been displaced. About 66,165 homes were damaged, with 6,603 destroyed. 106 road sections and ten bridges were affected across Cagayan Valley, Central Luzon, and the Cordillera Administrative Region (CAR). About 51 transmission lines were affected by Yutu, leading to power outages throughout Luzon, though most power was quickly restored by October 31. The total amount of damage to agriculture was estimated at ₱2.904 billion (US$55.160 million), mostly towards rice.[79] As the storm passed through Luzon, the Ambuklao and Binga Dams in Benguet, the Magat Dam near Cagayan River, and the San Roque Dam in Pangasinan all released water.[114]
A total of 3,567 houses were damaged in the CAR. Most of the deaths occurred in Mountain Province, after 21 people died in Natonin when a landslide buried a Department of Public Works and Highways building. A rescuer also drowned trying to help victims of the landslide.[79] Roads were rendered impassable throughout the town as well.[115] Throughout the CAR, parts of Abra and Mountain Province and the entirety of Apayao, Benguet, Ifugao, and Kalinga all lost power. Seven landslides across Kalinga closed roads across the province; a landslide had also killed a 5-year-old girl and injured two in a home. Two elementary schools in Tanudan were submerged in flooding, though no casualties had been reported there. Another landslide damaged three classrooms and a library, and another had affected 10–15 hectares (25–37 acres) of rice fields. A footbridge had also been damaged by flooding. In Ifugao, four people died in a landslide at Banaue. A 22-year-old man in Aguinaldo drowned after being carried by a strong water current along with one of his companions who survived.[79] A total of 61,547 homes were damaged in Cagayan Valley, mainly in Isabela. The provinces of Cagayan, Isabela, Quirino, and Nueva Vizcaya had all lost power. A river near Roxas and Quirino rose rapidly, flooding low-lying areas.[79] The bridge connecting Roxas and northern Isabela was damaged by the flash flooding.[116] Cauayan Airport was closed for two days after Yutu had blew off the roof of the passenger terminal.[117] In Dinapigue, Isabela, where Yutu made landfall, several barangays were flooded and communication lines were cut off.[118] A landslide in Kayapa blocked the Benguet–Nueva Vizcaya Road, while another occurred in Ambaguio. In Bambang, six low-lying barangays were affected by flooding. In Cagayan, flooding occurred over Gattaran and Tuguegarao.[79] A truck on the Quirino Bridge overturned due to strong winds, causing traffic jams.[119] Fallen trees and debris destroyed graves in Gamu, Isabela.[120]
About 267 homes were damaged in the Ilocos Region, mainly in La Union, and 58 cities or municipalities lost power throughout the region.[79] Additionally, about 3,000 graves were flooded in Dagupan.[121] In Central Luzon, 675 houses were damaged.[79] In San Clemente, Tarlac, a man died after being electricuted while trying to help another who fell off a motorcycle near a toppled utility pole.[112][122] A rockslide in Baler, Aurora blocked the main highway to Casiguran.[123] In Calabarzon, a fishing boat carrying three fishermen capsized due to big waves near Perez, Quezon; one of them was reported missing before being declared dead by drowning. Polillo and Lucena of Quezon lost power.[79] Strong winds alongside big waves battered Tagkawayan and destroyed nine homes in General Nakar.[124] Two people died from a landslide at a quarry site in Batangas.[113] In Eastern Visayas, 109 homes were destroyed in Northern Samar,[79] including at least 10 in Pambujan that were impacted by waves reaching 3 to 5 m (9.8 to 16.4 ft) and 12 in Mapanas from storm surges. In Gamay, big waves affected several resorts.[125]
Hong Kong
On October 31, a 25-year-old man died when surfing in Shek O Beach in Big Wave Bay, Hong Kong Island, due to high surf, while the standby typhoon signal No. 1 was hoisted.[126][83] In Tai Miu Wan, maximum sea level during the storm's passage was measured at 2.78 m (9.1 ft) and a maximum storm surge was measured at 0.65 m (2.1 ft). Over the next two days, Yutu brought cloudy weather and light rain, and overall caused no significant damage in Hong Kong.[83]
Aftermath
Due to the severe damage in the Northern Mariana Islands and the Philippines, the name Yutu was retired during the 52nd annual session of the ESCAP/WMO Typhoon Committee in February 2020. In February 2021, the Typhoon Committee subsequently chose Yinxing as its replacement name,[127][128] and was first used in 2024.[129]
In addition, PAGASA officially retired the name Rosita from the rotating lists of tropical cyclone names after the typhoon caused over ₱1 billion in damage on its onslaught in the country. The name will never be used again as a typhoon name within the Philippine Area of Responsibility, although this instance was the first use of the name Rosita in the PAGASA Naming List. It was replaced with Rosal,[130] which was used for the first time in 2022.[131]
Northern Mariana Islands
Tinian has been devastated by Typhoon Yutu.
Immediately following the typhoon's impact, the Congressional Delegate for the Northern Mariana Islands, Gregorio Sablan, made a request for aid. With the scale of destruction far exceeding Typhoon Soudelor in 2015, power was not expected to be fully restored for months. Emergency shelters quickly filled to capacity on both islands by October 25. The same day the U.S. Department of Health and Human Services declared a public health emergency for the affected areas and deployed 50 health personnel.[66][133][90] President Trump signed a major disaster declaration on October 26, enabling the islands to receive federal funding. The same day, Matson, Inc. provided $125,000 in funds and deployed its vessel Mana loaded with bottled water and ice. On October 27, South Korea began airlifting approximately 1,000 stranded tourists from Saipan.[133] Daytime operations at Saipan International Airport were resumed; however, damaged navigation equipment prevented safe operation during the night. The Coast Guard reopened the port of Saipan, allowing vessels to travel in and out of it.[134] On October 29, Governor Ralph Torres signed an executive order postponing the 2018 Northern Mariana Islands gubernatorial election from November 6 to November 13, due to the effects of Yutu.[135] Media coverage of the storm was criticized by the Poynter Institute and The Atlantic for being limited, calling out news outlets that focused more on Yutu's meteorological aspect rather than its destructive effects, echoing the coverage of the death toll due to Hurricane Maria.[136]
The storm had displaced around 15,000 to 17,000 people, over a quarter of the Northern Mariana Islands population of 55,000. Federal responders provided over 1,700 tents instead of rental subsidies like they have done after Hurricanes Florence and Michael. The severe housing shortage caused FEMA to offer plane tickets out of the commonwealth, with 29 households booking tickets to Hawaii and other U.S. states. Over 3,600 people were eligible, though most of them decided to stay at the islands. Due to damaged schools, students did not have classes for over a month. Yutu had also crippled the tourism economy in the archipelago, with the islands receiving less than 6,000 visitors during November 2018, down from 48,000 last year.[137] Car rentals, hotel and restaurant bookings, and souvenir shopping all were nearly halted during a time of usual peak tourism. The Marianas Visitors Authority reported that arrivals to the Northern Mariana Islands dropped by 88%. Yutu was among the contributing factors to worsening the economy, including the closure of marketing offices due to lack of funding.[138]
Since health facilities were damaged throughout Saipan and Tinian, all patients were transported to a hospital operated by Commonwealth Healthcare Corporation (CHCC) in Saipan. Direct Relief sent emergency medical supplies to the hospital, including medical backpacks, over 40,000 water purification tablets, and oral rehydration therapy, as well as rugged tents. Moreover, the organization shipped an emergency health kit, which was enough to treat about 100 patients in 3 to 5 days. Basic personal care items were also shipped to those who were displaced.[139] Team Rubicon USA sent a reconnaissance team to Guam to determine the needs across the Northern Mariana Islands with local officials.[140] Their Emergency Medical Team (EMT) was integrated into the Tinian's health center's medical system, treating 36 homebound patients across southern Tinian. The organization also conducted storm shelter health assessments in cooperation with the World Health Organization and the CHCC.[141] About 112 people were treated by Team Rubicon's EMT.[142] AmeriCares also deployed its medical teams, delivering 3,600 kg (4 short tons) of medicine and supplies.[143] The Saipan hospital was flooded with twice as many patients as on a regular day, with nearly half of them being uninsurable as guest workers, undocumented immigrants, or citizens of Pacific island nations ineligible for Medicaid. Esther Muna, the chief executive officer of the hospital, reported some patients had post-traumatic stress disorder and depression and a recent surge of storm-related suicides. Yutu also reverted the goal of providing 24-hour water to every village on Saipan achieved in September.[137] A medical team of 26 led by Sheryl Dority, a nurse for Intermountain Healthcare from South Jordan, Utah, operated for three weeks until November 7, after treating more than 1,400 patients for cleanup-related injuries.[144]
.jpg)
In accordance with changes implemented after Hurricane Maria in 2017, FEMA established specific task forces to handle smaller scale facets of the recovery: transportation, communications, food and water, and energy and fuel.[57] A damage assessment was then conducted by FEMA alongside the Small Business Administration (SBA) on October 28.[145] The Red Cross coordinated with FEMA in sending staff and supplies, despite difficulties due to damaged airports, while supporting government-run shelters with food and water.[146] Other supplies including buckets, tarps, charging devices, stoves, lanterns, and sanitation supplies were sent to over 10,000 households. The Red Cross also helped in family reunification with satellite-equipped vehicles and assisted deployed service members.[147] FEMA and the Red Cross established five relief distribution sites on the island.[134] Overall, more than 900 people were assisted by the local government, Red Cross, and The Salvation Army.[145]
The neighboring island of Guam also provided relief, sending its engineers from the Guam Power Authority to help repair power outages and reserve water. The island's Homeland Security/Office of Civil Defense were to lead local government efforts in cleaning debris or restoring utilities, according to Guam Governor Eddie Baza Calvo. Around 140 guardmen from the Guam Army National Guard were expected to arrive and begin duty on Saipan for approximately 60 days. The Army Guard's 1224th Engineer Support Company was set to assist along with the United States Indo-Pacific Command and FEMA. In Tinian, two generators were used, one for powering a water well and for pumping water into the island's health center, and the other for powering the only hospital on the island; power remained completely offline throughout Tinian.[145] The USCGC Sequoia and USCGC Kiska ported in Guam sailed for Saipan and Tinian, respectively, with relief supplies.[133] A year after Yutu, about 546 roofs were repaired, 2,744 temporary tents and 66 temporary classrooms were established, 193 shipping containers removed 165,051 m3 (215,879 cu yd) of debris, and 2,144 concrete power poles were installed. Additionally, FEMA's Volunteer Agencies Leading and Organizing Repairs (VALOR) program completed 94 projects, and the SBA provided $97.4 million.[87] In total, over 170 volunteers from 25 U.S. states and Canada were brought to repair homes.[148] FEMA gave $42.057 million for individual and household programs, with 6,960 applications approved, $283.570 million in public assistance, and $10.632 million for hazard mitigation throughout the Northern Mariana Islands.[149]
Philippines
A state of calamity was declared in the municipalities of Mayoyao and Lamut in Infugao, Barlig in Mountain Province, and the Province of Quirino. The Department of Social Welfare and Development increased food packs worth ₱17.712 million (US$336,337.24) for the Ilocos Region, Cagayan Valley, and the CAR, and increased non-food items worth ₱3.559 million (US$67,592.16) for Cagayan Valley and the CAR. The Department of Health mobilized its emergency response teams to Natonin on October 31, and distributed food and nutrition. The Department of Public Works and Highways moved its assets to four regions for road clearing operations. The Department of Information and Communications Technology provided communication equipment to the National Disaster Risk Reduction and Management Council. The Department of Education reported class suspensions, while schools were used for shelter. The Bureau of Fire Protection deployed 473 fire trucks, 17 ambulances, 4 rescue vehicles, and 883 personnel.[79] Yutu disrupted the recovering process in areas previously affected by Typhoon Mangkhut.[150]
The Philippine Red Cross assisted in rescue and cleanup operations, while also allocating food and relief items. Members of the Armed Forces of the Philippines rescued people who were stranded in Roxas, Isabela, and also deployed six teams totaling 63 personnel. United Nations agencies, international and national non-governmental organizations, and the private sector had operated in the affected regions since Typhoon Mangkhut, beginning rapid damage assessments. Evacuation centers in Itogon, Benguet needed food, water, blankets, sleeping mats, and hygiene equipment.[151] CARE initiated its emergency response team to coordinate with local authorities while providing immediate relief.[152] As ACT Alliance continued its assessment, the National Council of Churches in the Philippines revised its response to Typhoon Mangkhut to increase the needs for the affected families, jointly implementing projects with Christian Aid.[153] President Rodrigo Duterte started an aerial inspection over the affected areas, urging government officials for a "return to normalcy as soon as possible."[154] In a meeting, President Duterte criticized unidentified government agencies for no maintenance of government vehicles.[155]
See also
- Weather of 2018
- Tropical cyclones in 2018
- List of typhoons in the Mariana Islands
- Typhoon Karen (1962) – Devastated Guam in a similar fashion.
- Typhoon Lynn (1987) – Hit the Marianas and skirted through Luzon.
- Typhoon Hagibis (2019) – Also affected the Marianas as it was rapidly intensifying.
- Typhoon Mawar (2023) – A Category 5-equivalent typhoon that passed near Guam, bringing strong winds in that area.
References
- ^ a b c d e Duran, Samuel F.; Galang, Juanito S.; Gile, Robb P.; Reyes, Sheilla Mae R.; Tolentino, Jerome T. (June 2020). DOST-PAGASA Annual Report on Philippine Tropical Cyclones 2018 (PDF) (Report). Quezon City, Philippines: Government of the Republic of the Philippines Department of Science and Technology: Philippine Atmospheric, Geophysical, and Astronomical Services Administration. p. 58. ISSN 2672-3190. Retrieved September 12, 2024.
- ^ Sobel, Adam H.; Sprintall, Janet; Maloney, Eric D.; Martin, Zane K.; Wang, Shuguang; de Szoeke, Simon P.; Trabing, Benjamin C.; Rutledge, Steven A. (May 13, 2021). Large-Scale State and Evolution of the Atmosphere and Ocean during PISTON 2018 (PDF) (Report). p. 5023. doi:10.1175/JCLI-D-20-0517.1.
- ^ Significant Tropical Weather Advisory for the Western and South Pacific Oceans 21Z (Reissued) (Report). Pearl Harbor, Hawaii: Joint Typhoon Warning Center. October 19, 2018. Archived from the original on October 20, 2018. Retrieved May 1, 2025.
- ^ Young, Steve. "Monthly Global Tropical Cyclone Tracks October 2018". Australian Severe Weather. Retrieved May 5, 2025.
- ^ Warning and Summary 200000 (TXT) (Report). Tokyo, Japan: Japan Meteorological Agency. October 20, 2018. Retrieved August 26, 2024 – via Iowa Environmental Mesonet.
- ^ Significant Tropical Weather Advisory for the Western and South Pacific Oceans 06Z (Report). Pearl Harbor, Hawaii: Joint Typhoon Warning Center. October 20, 2018. Archived from the original on October 20, 2018. Retrieved May 2, 2025.
- ^ Tropical Cyclone Formation Alert (202130 October 2018) (Report). Pearl Harbor, Hawaii: Joint Typhoon Warning Center. October 20, 2018. Archived from the original on October 21, 2018. Retrieved May 2, 2025.
- ^ a b c d e f g h i Annual Report on the Activities of the RSMC Tokyo - Typhoon Center 2018 (PDF) (Report). Tokyo, Japan: Japan Meteorological Agency. 2019. Retrieved August 27, 2024.
- ^ Prognostic Reasoning for Tropical Depression 31W (Thirty-one) Warning No. 1 (Report). Pearl Harbor, Hawaii: Joint Typhoon Warning Center. October 21, 2018. Archived from the original on October 22, 2018. Retrieved May 2, 2025.
- ^ Prognostic Reasoning for Tropical Depression 31W (Thirty-one) Warning No. 2 (Report). Pearl Harbor, Hawaii: Joint Typhoon Warning Center. October 21, 2018. Archived from the original on October 22, 2018. Retrieved May 2, 2025.
- ^ Prognostic Reasoning for Tropical Storm 31W (Yutu) Warning No. 3 (Report). Pearl Harbor, Hawaii: Joint Typhoon Warning Center. October 22, 2018. Archived from the original on October 22, 2018. Retrieved May 2, 2025.
- ^ a b c d e f g h i Chu, J. H.; Levine, A.; Daida, S.; Schiber, D.; Fukada, E.; Sampson, C. R. 2018 Western North Pacific Ocean Best Track Data (Report). Pearl Harbor, Hawaii: Joint Typhoon Warning Center. Retrieved April 9, 2024.
- ^ Prognostic Reasoning for Tropical Storm 31W (Yutu) Warning No. 4 (Report). Pearl Harbor, Hawaii: Joint Typhoon Warning Center. October 22, 2018. Archived from the original on October 22, 2018. Retrieved May 2, 2025.
- ^ Prognostic Reasoning for Tropical Storm 31W (Yutu) Warning No. 5 (Report). Pearl Harbor, Hawaii: Joint Typhoon Warning Center. October 22, 2018. Archived from the original on October 23, 2018. Retrieved May 2, 2025.
- ^ Prognostic Reasoning for Tropical Storm 31W (Yutu) Warning No. 6 (Report). Pearl Harbor, Hawaii: Joint Typhoon Warning Center. Archived from the original on October 23, 2018. Retrieved May 2, 2025.
- ^ Prognostic Reasoning for Typhoon 31W (Yutu) Warning No. 7 (Report). Pearl Harbor, Hawaii: Joint Typhoon Warning Center. October 23, 2018. Archived from the original on October 23, 2018. Retrieved May 2, 2025.
- ^ Prognostic Reasoning for Typhoon 31W (Yutu) Warning No. 8 (Report). Pearl Harbor, Hawaii: Joint Typhoon Warning Center. October 23, 2018. Archived from the original on October 23, 2018. Retrieved May 2, 2025.
- ^ Prognostic Reasoning for Typhoon 31W (Yutu) Warning No. 10 (Report). Pearl Harbor, Hawaii: Joint Typhoon Warning Center. October 23, 2018. Archived from the original on October 24, 2018. Retrieved May 2, 2025.
- ^ Prognostic Reasoning for Super Typhoon 31W (Yutu) Warning No. 11 (Report). Pearl Harbor, Hawaii: Joint Typhoon Warning Center. October 24, 2018. Archived from the original on October 27, 2018. Retrieved May 2, 2025.
- ^ Prognostic Reasoning for Super Typhoon 31W (Yutu) Warning No. 12 (Report). Pearl Harbor, Hawaii: Joint Typhoon Warning Center. October 24, 2018. Archived from the original on October 24, 2018. Retrieved May 2, 2025.
- ^ Super Typhoon 31W (Yutu) Warning No. 13 (Report). Pearl Harbor, Hawaii: Joint Typhoon Warning Center. October 24, 2018. Archived from the original on October 24, 2018. Retrieved May 2, 2025.
- ^ Prognostic Reasoning for Super Typhoon 31W (Yutu) Warning No. 13 (Report). Pearl Harbor, Hawaii: Joint Typhoon Warning Center. October 24, 2018. Archived from the original on October 27, 2018. Retrieved May 2, 2025.
- ^ a b c d Event: Hurricane (Typhoon) in Saipan, Guam (816106). National Centers for Environmental Information (Report). National Oceanic and Atmospheric Administration. October 24, 2018. Retrieved October 25, 2024.
- ^ Dwyer, Colin (October 24, 2018). "Super Typhoon Yutu, 'Strongest Storm Of 2018,' Slams U.S. Pacific Territory". NPR. Retrieved October 25, 2018.
- ^ a b c "Typhoon Yutu Was the Strongest Tropical Cyclone on Record to Pass Over Saipan and Tinian in the Northern Mariana Islands (RECAP)". The Weather Company. October 28, 2018. Retrieved October 29, 2018.
- ^ a b Esmores, Kimberly Bautista (October 24, 2018). "Yutu Seen to Exceed Soudelor". Saipan Tribune. Retrieved December 3, 2024.
- ^ Prognostic Reasoning for Super Typhoon 31W (Yutu) Warning No. 14 (Report). Pearl Harbor, Hawaii: Joint Typhoon Warning Center. October 24, 2018. Archived from the original on October 27, 2018. Retrieved May 2, 2025.
- ^ Yutu (T1826) (PDF) (Report). Tokyo, Japan: Japan Meteorological Agency. Retrieved September 10, 2024.
- ^ Prognostic Reasoning for Super Typhoon 31W (Yutu) Warning No. 15 (Report). Pearl Harbor, Hawaii: Joint Typhoon Warning Center. October 25, 2018. Archived from the original on October 27, 2018. Retrieved May 2, 2025.
- ^ Prognostic Reasoning for Super Typhoon 31W (Yutu) Warning No. 17 (Report). Pearl Harbor, Hawaii: Joint Typhoon Warning Center. October 25, 2018. Archived from the original on October 27, 2018. Retrieved May 2, 2025.
- ^ Prognostic Reasoning for Super Typhoon 31W (Yutu) Warning No. 18 (Report). Joint Typhoon Warning Center. October 25, 2018. Archived from the original on October 27, 2018. Retrieved May 3, 2025.
- ^ Prognostic Reasoning for Super Typhoon 31W (Yutu) Warning No. 20 (Report). Pearl Harbor, Hawaii: Joint Typhoon Warning Center. October 26, 2018. Archived from the original on October 27, 2018. Retrieved May 3, 2025.
- ^ Prognostic Reasoning for Super Typhoon 31W (Yutu) Warning No. 21 (Report). Pearl Harbor, Hawaii: Joint Typhoon Warning Center. October 26, 2018. Archived from the original on October 27, 2018. Retrieved May 3, 2025.
- ^ Prognostic Reasoning for Super Typhoon 31W (Yutu) Warning No. 22 (Report). Pearl Harbor, Hawaii: Joint Typhoon Warning Center. October 26, 2018. Archived from the original on October 27, 2018. Retrieved May 3, 2025.
- ^ Prognostic Reasoning for Super Typhoon 31W (Yutu) Warning No. 23 (Report). Pearl Harbor, Hawaii: Joint Typhoon Warning Center. October 27, 2018. Archived from the original on October 27, 2018. Retrieved May 3, 2025.
- ^ Prognostic Reasoning for Super Typhoon 31W (Yutu) Warning No. 24 (Report). Pearl Harbor, Hawaii: Joint Typhoon Warning Center. October 27, 2018. Archived from the original on October 27, 2018. Retrieved May 3, 2025.
- ^ Prognostic Reasoning for Super Typhoon 31W (Yutu) Warning No. 27 (Report). Pearl Harbor, Hawaii: Joint Typhoon Warning Center. October 28, 2018. Archived from the original on October 28, 2018. Retrieved May 3, 2025.
- ^ Prognostic Reasoning for Super Typhoon 31W (Yutu) Warning No. 28 (Report). Pearl Harbor, Hawaii: Joint Typhoon Warning Center. October 28, 2018. Archived from the original on October 28, 2018. Retrieved May 3, 2025.
- ^ Prognostic Reasoning for Typhoon 31W (Yutu) Warning No. 29 (Report). Joint Typhoon Warning Center. October 28, 2018. Archived from the original on October 29, 2018. Retrieved May 3, 2025.
- ^ Johnston, T. M. Shaun; Rudnick, Daniel L.; Brizuela, Noel; Moum, James N. (March 17, 2020). "Advection by the North Equatorial Current of a Cold Wake due to Multiple Typhoons in the Western Pacific: Measurements From a Profiling Float Array". Journal of Geophysical Research: Oceans. 125 (4). AGU Publications. doi:10.1029/2019JC015534. Retrieved May 3, 2025.
- ^ Prognostic Reasoning for Typhoon 31W (Yutu) Warning No. 30 (Report). Pearl Harbor, Hawaii: Joint Typhoon Warning Center. October 28, 2018. Archived from the original on October 29, 2018. Retrieved May 3, 2025.
- ^ Prognostic Reasoning for Typhoon 31W (Yutu) Warning No. 31 (Report). Pearl Harbor, Hawaii: Joint Typhoon Warning Center. October 29, 2018. Archived from the original on October 29, 2018. Retrieved May 3, 2025.
- ^ Prognostic Reasoning for Typhoon 31W (Yutu) Warning No. 33 (Report). Pearl Harbor, Hawaii: Joint Typhoon Warning Center. October 29, 2018. Archived from the original on October 30, 2018. Retrieved May 3, 2025.
- ^ Prognostic Reasoning for Typhoon 31W (Yutu) Warning No. 35 (Report). Joint Typhoon Warning Center. October 30, 2018. Archived from the original on October 30, 2018. Retrieved May 3, 2025.
- ^ Prognostic Reasoning for Typhoon 31W (Yutu) Warning No. 36 (Report). Pearl Harbor, Hawaii: Joint Typhoon Warning Center. October 30, 2018. Archived from the original on October 30, 2018. Retrieved May 3, 2025.
- ^ Prognostic Reasoning for Tropical Storm 31W (Yutu) Warning No. 38 (Report). Pearl Harbor, Hawaii: Joint Typhoon Warning Center. October 30, 2018. Archived from the original (TXT) on October 31, 2018. Retrieved May 3, 2025.
- ^ Prognostic Reasoning for Super Typhoon 31W (Yutu) Warning No. 39 (Report). Pearl Harbor, Hawaii: Joint Typhoon Warning Center. October 31, 2018. Archived from the original on October 31, 2018. Retrieved May 3, 2025.
- ^ Prognostic Reasoning for Tropical Storm 31W (Yutu) Warning No. 42 (Report). Pearl Harbor, Hawaii: Joint Typhoon Warning Center. October 31, 2018. Archived from the original on November 2, 2018. Retrieved May 3, 2025.
- ^ Prognostic Reasoning for Tropical Storm 31W (Yutu) Warning No. 45 (Report). Pearl Harbor, Hawaii: Joint Typhoon Warning Center. November 1, 2018. Archived from the original on November 2, 2018. Retrieved May 3, 2025.
- ^ Tropical Depression 31W (Yutu) Warning No. 47 (Report). Pearl Harbor, Hawaii: Joint Typhoon Warning Center. November 2, 2018. Archived from the original on November 2, 2018. Retrieved May 3, 2025.
- ^ ...Tropical Disturbance Could Impact the Marianas by Midweek... (Report). Tiyan, Guam: National Weather Service. October 20, 2018. Retrieved September 13, 2024 – via Iowa Environmental Mesonet.
- ^ ...Typhoon and Tropical Storm Watches Issued... (Report). Tiyan, Guam: National Weather Service. October 22, 2018. Retrieved September 13, 2024 – via Iowa Environmental Mesonet.
- ^ ...Tropical Storm Yutu Continuing Toward the Marianas... (Report). Tiyan, Guam: National Weather Service. October 23, 2018. Retrieved September 13, 2024 – via Iowa Environmental Mesonet.
- ^ ...Tropical Storm Yutu Continuing to Move Toward the Marianas... (Report). Tiyan, Guam: National Weather Service. October 23, 2018. Retrieved September 13, 2024 – via Iowa Environmental Mesonet.
- ^ a b ...Typhoon Yutu Intensifying as it Approaches the Marianas... (Report). Tiyan, Guam: National Weather Service. October 23, 2018. Retrieved September 13, 2024 – via Iowa Environmental Mesonet.
- ^ ...Super Typhoon Yutu Moving Away... (Report). Tiyan, Guam: National Weather Service. October 25, 2018. Retrieved May 6, 2025 – via Iowa Environmental Mesonet.
- ^ a b c d e Hones, Caleb; Kelleher, Jennifer Sino (October 26, 2018). "A U.S. Pacific Territory Hopes for Federal Help After Being Battered by Super Typhoon Yutu". Time. Associated Press. Archived from the original on October 26, 2018. Retrieved October 26, 2018.
- ^ a b ...Yutu Upgraded to Super Typhoon... (Report). Tiyan, Guam: National Weather Service. October 24, 2018. Retrieved September 13, 2024 – via Iowa Environmental Mesonet.
- ^ "Govt Offices Close Early Today". Saipan Tribune. October 23, 2018. Retrieved September 16, 2024.
- ^ "BREAKING NEWS: NMC on Saipan, Tinian Closed Today". Saipan Tribune. October 23, 2018. Retrieved September 16, 2024.
- ^ Torre, Ferdie De La (October 24, 2018). "District Court Closed, Reopens Tomorrow". Saipan Tribune. Retrieved September 16, 2024.
- ^ "OAG Warns Against Price Gouging". Saipan Tribune. October 24, 2018. Retrieved September 16, 2024.
- ^ Encinares, Erwin (October 24, 2018). "Shelters Activated". Saipan Tribune. Retrieved September 16, 2024.
- ^ Encinares, Erwin (October 24, 2018). "Saipan Shelters Full; More Open". Saipan Tribune. Retrieved September 18, 2024.
- ^ Esmores, Kimberly Bautista (October 24, 2018). "'Yutu Nearly as Strong as Soudelor". Saipan Tribune. Retrieved December 3, 2024.
- ^ a b c d Mooney, Chris; Eilperin, Juliet; Chiu, Allyson (October 25, 2018). "Category 5 Typhoon Yutu Devastates the Northern Marianas in Worst Storm to Hit Any Part of U.S. Since 1935". The Washington Post. Retrieved October 26, 2018.
- ^ Esmores, Kimberly Bautista (October 24, 2018). "Yutu Seen to Exceed Soudelor". Saipan Tribune. Retrieved September 18, 2024.
- ^ Torre, Ferdie De La (October 24, 2018). "Saipan Flights Canceled". Saipan Tribune. Retrieved September 18, 2024.
- ^ Perez, Jon (October 24, 2018). "CNMI Hunkers Down". Saipan Tribune. Retrieved September 18, 2024.
- ^ ...Super Typhoon Yutu Moving Towards Tinian... (Report). Tiyan, Guam: National Weather Service. October 24, 2018. Retrieved September 13, 2024 – via Iowa Environmental Mesonet.
- ^ Kaur, Anumita (October 24, 2018). "Customers Encouraged to Report Price Gouging". Pacific Daily News. Retrieved October 16, 2024.
- ^ Calvo, Eddie Baza (October 24, 2018). Executive Order No. 2019-01 (PDF) (Report). Hagåtña, Guam: Office of the Governor. Retrieved September 14, 2024.
- ^ a b "What's Open, Closed, Postponed Because of Yutu". USA Today Network. Pacific Daily News. October 24, 2018. Retrieved September 13, 2024.
- ^ Babauta, Chloe (October 24, 2018). Families Take Shelter as Super Typhoon Yutu Approaches Guam (Report). Pacific Daily News. Retrieved September 14, 2024.
- ^ "Flights Affected by Typhoon Yutu". Pacific Daily News. October 24, 2018. Retrieved September 14, 2024.
- ^ "Typhoon Rosita Now in PAR". Rappler. October 27, 2018. Retrieved December 10, 2024.
- ^ "Signal No. 1 Up in 23 Areas Due to Typhoon Rosita". Rappler. October 28, 2018. Retrieved December 10, 2024.
- ^ "Signal No. 3 in 10 Areas as Typhoon Rosita Nears". Rappler. October 29, 2018. Retrieved May 7, 2025.
- ^ a b c d e f g h i j k l m n Jalad, Ricardo B. FINAL REPORT re Preparedness Measures and Effects of Typhoon "ROSITA" (I.N. YUTU) (27–31 October 2018) (PDF) (Report). National Disaster Risk Reduction and Management Center, Camp Aguinaldo, Quezon City, Philppines: National Disaster Risk Reduciton and Management Council. Retrieved December 3, 2024.
- ^ "No more areas under warning signals due to Rosita". Rappler. October 31, 2018. Retrieved May 7, 2025.
- ^ "Will Typhoon Rosita be Like Typhoon Ompong?". Rappler. October 29, 2018. Retrieved December 10, 2024.
- ^ Musico, Jelly (October 29, 2018). "Duterte monitors Typhoon Rosita". Philippine News Agency. Retrieved December 10, 2024.
- ^ a b c "Report on Super Typhoon Yutu (1826): 21 October – 2 November 2018". Tropical Cyclones in 2018. Hong Kong Observatory. March 1, 2021. Retrieved December 10, 2024.
- ^ Benjamin, Sgt. Kennedy (December 20, 2018). "Spirit of Giving Continues at Saipan Holiday Fair". U.S. Army. Retrieved January 29, 2025.
- ^ a b Esmores, Kimberly Bautista (December 20, 2018). "Study: Yutu Rivaled Karen". Saipan Tribune. Retrieved January 29, 2025.
- ^ "U.S. Department of Commerce Invests to Establish Disaster Resilient Workforce Training Center in Northern Mariana Islands Opportunity Zone". United States Economic Development Administration. December 16, 2020. Retrieved December 18, 2024.
- ^ a b "Super Typhoon Yutu: One Year Later". Federal Emergency Management Agency. October 24, 2019. Retrieved January 29, 2025.
- ^ Careless, James (December 20, 2018). "Super Typhoon Devastates USAGM Transmission Sites". Radio World. Retrieved March 5, 2025.
- ^ a b c Gilbert, Haidee Eugenio (October 26, 2018). "Humanitarian Crisis Looms After Super Typhoon Yutu Flattens Parts of Saipan and Tinian". Pacific Daily News. USA Today. Retrieved October 26, 2018.
- ^ a b c "Tinian to Wait Months for Power Restoration After Typhoon Yutu Downs CNMI Poles". Radio New Zealand. October 30, 2018. Retrieved January 11, 2025.
- ^ Sabian, Jerick (December 20, 2018). "Assessment Found Super Typhoon Yutu Brought Gusts Up to 200 mph". Pacific Daily News. Retrieved December 3, 2024.
- ^ a b c d Esmores, Kimberly Bautista (October 31, 2018). "Yutu Flattened Over 500 homes". Saipan Tribune. Retrieved December 3, 2024.
- ^ Perez, Jon (November 6, 2018). "Typhoon Debris Cleanup Goes to Villages". Saipan Tribune. Retrieved March 5, 2025.
- ^ "Typhoon Yutu Destroys Mariana Islands, Red Cross Prepares to Help". American Red Cross. October 26, 2018. Retrieved April 2, 2025 – via ReliefWeb.
- ^ a b "Situational Update – Super Typhoon Yutu". sablan.house.gov. October 25, 2018. Archived from the original on September 5, 2023. Retrieved December 18, 2024.
- ^ Lirio, Lori Lyn C. (October 31, 2018). "Saipan, Tinian Public Schools Closed; 7 Severely Damaged". The Guam Daily Post. Retrieved March 6, 2025.
- ^ Esmores, Kimberly Bautista (March 4, 2019). "Bird Population Takes Hit Following Yutu". Saipan Tribune. Retrieved December 3, 2024.
- ^ "Hopwood Middle School Severely Damaged by Super Typhoon Yutu [Image 1 of 6]". United States Department of Defense: Defense Visual Information Distribution Service. November 14, 2018. Retrieved December 5, 2024.
- ^ a b De La Torre, Ferdie (October 26, 2018). "Yutu Ruin as Massive as Soudelor". Saipan Tribune. Retrieved December 3, 2024.
- ^ Gilbert, Haidee Eugenio (October 31, 2018). "Super Typhoon Yutu Leaves Deep Dent in Saipan's Tourism Economy". Pacific Daily News. Retrieved December 3, 2024.
- ^ Lirio, Lori Lyn C. (November 5, 2018). "Public Library Remains Closed". Marianas Variety. Archived from the original on November 5, 2018. Retrieved March 5, 2025.
- ^ a b De La Torre, Ferdie (October 26, 2018). "Saipan Airport Will Open Sunday for Commercial Planes Only". Saipan Tribune. Retrieved October 27, 2018.
- ^ Gilbert, Haidee Eugenio (October 26, 2018). "Death, Injuries, Looming Humanitarian Crisis in Typhoon-Hit Islands of Saipan and Tinian". Pacific Daily News. Retrieved March 6, 2025.
- ^ "Super Typhoon Yutu Strikes Saipan, Tinian, with Devastating Force". Pacific Daily News. October 24, 2018. Retrieved March 6, 2025.
- ^ "Tinian's Mayor Says the Island Has Been Devastated by Super Typhoon Yutu". Radio New Zealand. October 26, 2018. Retrieved March 6, 2025.
- ^ Watanabe, Masako (November 5, 2018). "Tinian Residents Saw Eye of Super Typhoon Yutu; Cope with Devastation". Pacific Daily News. Retrieved March 5, 2025.
- ^ Delgado, Nick (December 28, 2018). "Tinian Church Needs Help to Rebuild After Yutu Damage". Kuam News. Retrieved March 6, 2025.
- ^ Event: Hurricane (Typhoon) in Rota, Guam (816109). National Centers for Environmental Information (Report). National Oceanic and Atmospheric Administration. October 24, 2018. Retrieved October 16, 2024.
- ^ "Guam Remains in COR 1, Assessments Ongoing". The Guam Daily Post. October 26, 2018 [October 25, 2018]. Retrieved September 14, 2024.
- ^ Event: Hurricane (Typhoon) in Guam, Guam (816105). National Centers for Environmental Information (Report). National Oceanic and Atmospheric Administration. October 24, 2018. Retrieved October 16, 2024.
- ^ Weiss, Jasmine Stole (October 25, 2018). "Parts of Guam Lose Power as Super Typhoon Yutu Passes Over Tinian, Saipan". Pacific Daily News. Retrieved September 14, 2024.
- ^ a b "Power Down as Rosita Pummels Luzon". Philstar Global. October 31, 2018. Retrieved December 18, 2024.
- ^ a b Panti, Llanesca T. (November 2, 2018). "2 Dead in Landslide at Quarry Site in Batangas —police". GMA News Online. Retrieved December 18, 2024.
- ^ Capulong, Raya (October 30, 2018). "As 'Rosita' Dumps Rain, 4 Luzon Dams Release Water". ABN-CBN. Retrieved December 18, 2024.
- ^ Fonbuena, Carmela (November 1, 2018). "Typhoon Yutu: Death Toll Reaches 15 After Landslides Hit Phillipines". The Guardian. Retrieved December 18, 2024.
- ^ DZMM (October 31, 2018). "Rosita Flashflood Damages Isabela Bridge". ABS-CBN. Retrieved December 18, 2024.
- ^ "Cauayan Airport Closed for 2 Days Due to Rosita Damage". ABS-CBN. October 31, 2018. Retrieved December 18, 2024.
- ^ Datu, Dennis (October 30, 2018). "Coastal Town Left Isolated After Rosita Landfall: Mayor". ABS-CBN. Retrieved December 18, 2024.
- ^ River, Galiste (October 30, 2018). "Truck, tumagilid sa hanging dala ng bagyong Rosita" [Truck Overturns in Winds Brought by Typhoon Rosita] (in Tagalog). ABS-CBN. Retrieved December 18, 2024.
- ^ Layug, Margaret Claire (November 1, 2018). "Graves Destroyed in Typhoon Rosita's Onslaught". GMA News Online. Retrieved December 18, 2024.
- ^ Tacason, Joanna (October 31, 2018). "TINGNAN: 3,000 puntod binaha sa Dagupan" [SEE: 3,000 Graves Flooded in Dagupan] (in Tagalog). ABS-CBN. Retrieved December 18, 2024.
- ^ "Rosita Winds Topple Electric Post, Man Electrocuted". ABS-CBN. October 30, 2018. Retrieved December 18, 2024.
- ^ Atuelany, Henry (October 30, 2018). "Ilang kalye sa Baler, 'di madaanan dahil sa rockslide sanhi ng bagyong Rosita" [Several Streets in Baler Unpassable Due to Rockslides by Typhoon Rosita] (in Tagalog). ABS-CBN. Retrieved December 18, 2024.
- ^ Rita, Joviland (October 31, 2018). "Floods, Landslides and Damaged Homes as Rosita Lashes Northern, Central Luzon". GMA News Online. Retrieved December 18, 2024.
- ^ Dejon, Robert (October 29, 2018). "'Rosita' Unleashes Storm Surges, Big Waves in 4 Towns in Northern Samar". Inquirer Visayas. Retrieved December 18, 2024.
- ^ "Man Dies While Surfing During Typhoon in Shek O". Asia Times. November 1, 2018. Retrieved November 1, 2018.
- ^ "Replacement Names of FAXAI, HAGIBIS, KAMMURI, LEKIMA, PHANFONE, and YUTU in the Tropical Cyclone Name List" (PDF). Typhoon Committee. February 8, 2021. Archived from the original (PDF) on February 14, 2021. Retrieved February 27, 2020.
- ^ "Typhoon Committee Holds Annual Session". World Meteorological Organization. February 26, 2021. Retrieved January 29, 2025.
- ^ Hà, Thanh (November 4, 2024). "Forecast of When Storm Yinxing Will Enter the East Sea". Lao Dong. Retrieved January 29, 2025.
- ^ Manabat, Johnson (March 1, 2019). "PAGASA Retires Typhoon Names Ompong, Rosita, Usman". ABS-CBN. Retrieved March 5, 2019.
- ^ Duran, S. F.; Gile, R. P.; Reyes, S. M. R.; Bulquerin, J. E. M. Tropical Storm ROSAL (2225 PAKHAR) (PDF) (Tropical Cyclone Preliminary Summary). Quezon City, Philippines: Government of the Republic of the Philippines Department of Science and Technology: Philippine Atmospheric, Geophysical, and Astronomical Services Administration. Retrieved January 29, 2025.
- ^ Regan, Helen (October 25, 2018). "Super Typhoon Yutu hits Northern Mariana Islands, heads toward Asia". CNN. Retrieved January 29, 2025.
- ^ a b c Gilbert, Haidee Eugenio (October 27, 2018). "Trump Declares Major Disaster After Super Typhoon Yutu Strikes Northern Mariana Islands". Pacific Daily News. USA Today. Retrieved January 29, 2025.
- ^ a b Super Typhoon Yutu Relief & Recovery Update #3 Relief Supply Distribution Sites Open for Residents; Sea and Airport Open for Movement with Limitations (Report). Federal Emergency Management Agency. October 27, 2018. Retrieved January 29, 2025.
- ^ "Typhoon Hit Northern Marianas Postpones Elections". Radio New Zealand. October 30, 2018. Retrieved January 29, 2025.
- ^ Wong, Alia; Cruz, Lenika (November 14, 2018). "The Media Barely Covered One of the Worst Storms to Hit U.S. Soil". The Atlantic. Archived from the original on November 14, 2018. Retrieved March 5, 2025.
- ^ a b Hofschneider, Anita (January 10, 2019). "'From Something To Nothing': Life In Saipan After Super Typhoon Yutu". Chalan Kanoa, Saipan: Honolulu Civil BeaT. Retrieved April 24, 2025.
- ^ Cabrera, Bea (November 2, 2019). "In the Shadow of Yutu". Saipan: Pacific Island Times. Retrieved April 24, 2025.
- ^ Cooper, Lara (October 26, 2018). "Hospital Staff Working Overtime After Super Typhoon Yutu Pummels Region". Direct Relief. Retrieved January 29, 2025.
- ^ "Team Rubicon USA Sending Recon Team to Guam in the Wake of Super Typhoon Yutu". Dallas, Texas: Team Rubicon. October 25, 2018. Retrieved January 29, 2025 – via ReliefWeb.
- ^ Sprenger, DJ (November 4, 2018). "Super Typhoon Yutu Response Update: An Opportunity To Do More and Help More People". Team Rubicon USA. Retrieved January 29, 2025.
- ^ Sprenger, DJ (November 4, 2018). Team Rubicon USA Deploying an Emergency Medical Team to Southern Saipan (PDF) (Report). Dallas, Texas: Team Rubicon USA. Retrieved January 29, 2025.
- ^ "Americares Responds to Typhoon Yutu". Americares. November 2, 2018. Retrieved January 29, 2025.
- ^ Gardiner, Jennifer (December 10, 2018). "When Disaster Strikes, This South Jordan Nurse Answers Call for Help". South Jordan Journal. Retrieved April 24, 2025.
- ^ a b c "Super Typhoon Yutu Relief & Recovery Update #4 Post-Declaration Damage Assessment Completed; Relief Manpower on Island Ready to Support; Feeder 1, Partial 1 & 2 Back Online". Federal Emergency Management Agency. October 29, 2018. Archived from the original on October 8, 2024. Retrieved January 29, 2025.
- ^ "Red Cross Helps on Devastated Islands after Powerful Typhoon". American Red Cross. October 29, 2018. Retrieved January 29, 2025.
- ^ "Red Cross Response to Typhoon Yutu". Honolulu, Hawaii: American Red Cross. October 29, 2018. Retrieved January 29, 2025.
- ^ "Valor Program Extended in CNMI". Federal Emergency Management Agency. October 12, 2019. Retrieved January 29, 2025.
- ^ "Commonwealth of the Northern Mariana Islands Super Typhoon Yutu (DR-4404-MP)". Federal Emergency Management Agency. December 20, 2022. Retrieved January 29, 2025.
- ^ "Summary of Effects - Typhoons Yutu (Rosita) and Mangkhut (Ompong) as of 9 November 2018". United Nations Office for the Coordination of Humanitarian Affairs. November 9, 2018. Retrieved February 25, 2025.
- ^ "Philippines: Typhoon Yutu - No. 3 (Final update), 1 November 2018". United Nations Office for the Coordination of Humanitarian Affairs. November 1, 2018. Retrieved January 29, 2025 – via ReliefWeb.
- ^ "Typhoon Yutu Hits Northern Philippines One Month After Mangkhut's Devastation". Manila, Philippines: CARE. October 30, 2018. Retrieved January 29, 2025.
- ^ "The Philippines: Response to Super Typhoon Mangkhut – PHL181 (revision 1)". ACT Alliance. Retrieved January 29, 2025.
- ^ Placido, Dharel (November 2, 2018) [November 1, 2018]. "Duterte Wants Normalcy Back in Typhoon-Hit Areas". ABS-CBN. Retrieved January 29, 2025.
- ^ Aurelio, Julie M. (November 4, 2018). "Duterte Woe: No Maintenance in Government Vehicles". Philippine Daily Inquirer. Retrieved January 29, 2025.
External links
- 31W.YUTU from the United States Naval Research Laboratory
- General Information of Typhoon Yutu (1826) from Digital Typhoon
- JMA Best Track Data of Typhoon Yutu (1826) (in Japanese)
- JMA Best Track (Graphics) of Typhoon Yutu (1826)

