Gainsford, Queensland
| Gainsford Queensland | |||||||||||||||
|---|---|---|---|---|---|---|---|---|---|---|---|---|---|---|---|
![]() Gainsford | |||||||||||||||
| Coordinates | 23°51′40″S 149°54′45″E / 23.8611°S 149.9125°E | ||||||||||||||
| Population | 32 (2021 census)[1] | ||||||||||||||
| • Density | 0.0799/km2 (0.207/sq mi) | ||||||||||||||
| Postcode(s) | 4702 | ||||||||||||||
| Area | 400.5 km2 (154.6 sq mi) | ||||||||||||||
| Time zone | AEST (UTC+10:00) | ||||||||||||||
| Location |
| ||||||||||||||
| LGA(s) | Central Highlands Region | ||||||||||||||
| State electorate(s) | Gregory | ||||||||||||||
| Federal division(s) | Flynn | ||||||||||||||
| |||||||||||||||
Gainsford is a rural locality in the Central Highlands Region, Queensland, Australia.[2] In the 2021 census, Gainsford had a population of 32 people.[1]
Geography
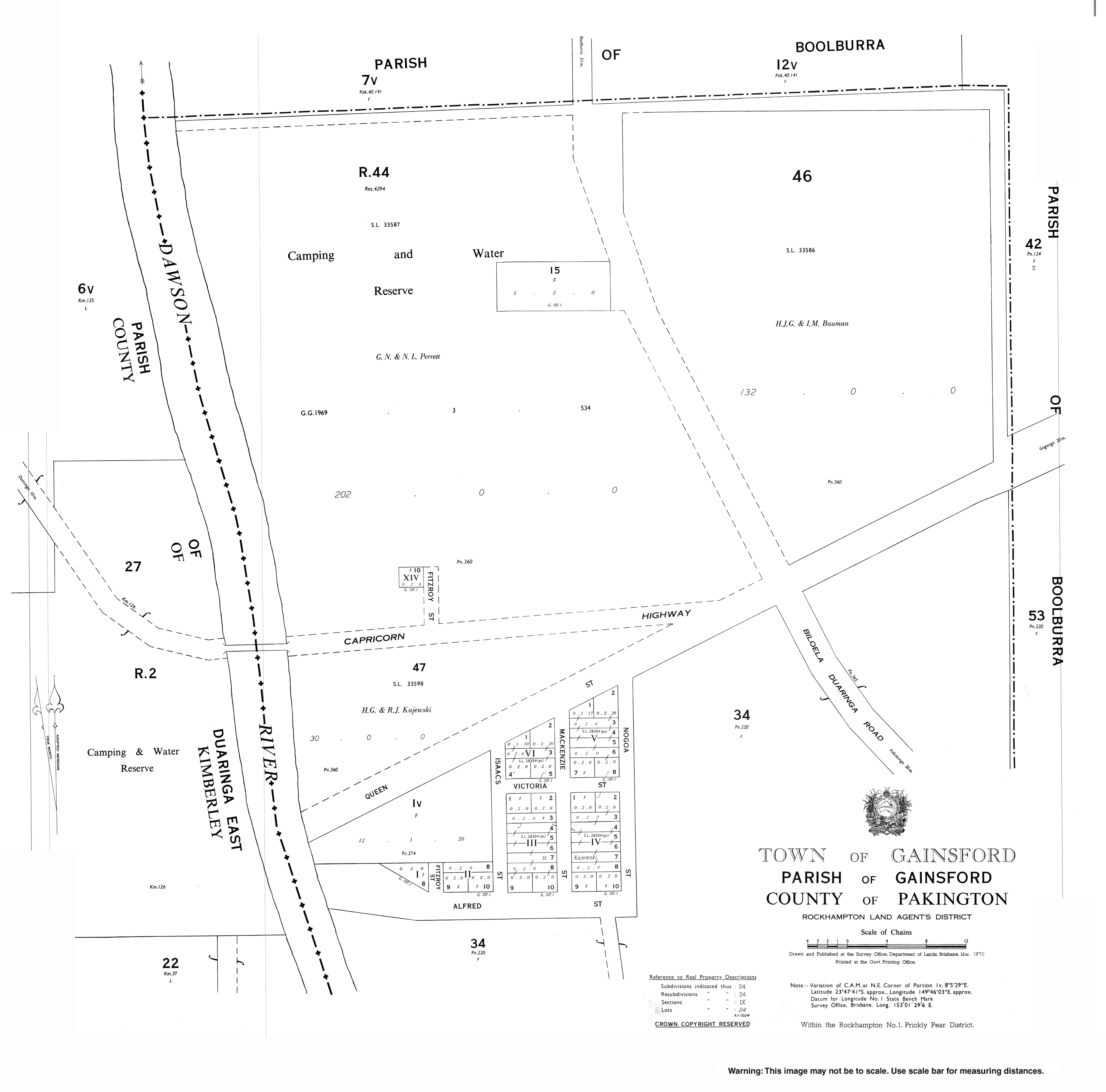
The Dawson River forms the western boundary, while the Don River forms part of the southern on its way to join the Dawson.[3][4]
The Capricorn Highway runs along the northern boundary, entering from Boolbura and exiting to Duaringa.[5]
The land use is grazing on native vegetation.[6]
History
Early in the 1860s, there was a crossing over the Dawson River in the area and a hotel was established to service travellers.[7] In 1866, the Queensland Government were selling 63 town lots, averaging 2 roods (22,000 sq ft; 2,000 m2) each, in the town of Gainsford (23°47′39″S 149°45′59″E / 23.79404°S 149.76644°E) on the east bank of the Dawson River.[8] However, the opening of the Central Western railway line from Boolburra to Duaringa across the Dawson River in 1876 ended Gainsford's role as a crossing point and the hotel closed.[7][9] In 1908, 10 acres (4.0 ha) of the town were leased for a boiling-down works.[10] As at 2025, the site of the town is within a pastoral property called Gainsford.[11]
Demographics
In the 2016 census, Gainsford had a population of 14 people.[12]
In the 2021 census, Gainsford had a population of 32 people.[1]
Education
There are no schools in Gainsford. The nearest government primary schools are Duaringa State School in neighbouring Duaringa to the north-west, Gogango State School in neighbouring Gogango to the north-east, and Baralaba State School in Baralaba to the south. The nearest government secondary school is Baralaba State School (to Year 10). However, it would to be too distant for a daily commute for students living in the north and east of Gainsford; the alternatives are distance education and boarding school.[13]
References
- ^ a b c Australian Bureau of Statistics (28 June 2022). "Gainsford (SAL)". 2021 Census QuickStats. Retrieved 28 February 2023.
- ^ "Gainsford – locality in Central Highlands Region (entry 46951)". Queensland Place Names. Queensland Government. Retrieved 25 October 2019.
- ^ "Gainsford, Queensland" (Map). Google Maps. Retrieved 15 September 2021.
- ^ "Layers: Locality; Mountains and ranges; Contours; Watercourses". Queensland Globe. Queensland Government. Archived from the original on 19 December 2017. Retrieved 1 February 2025.
- ^ "Layers: Locality; Mountains and ranges; Contours; Watercourses". Queensland Globe. Queensland Government. Archived from the original on 19 December 2017. Retrieved 1 February 2025.
- ^ "Layers: Locality; Protected areas and forests; Land use; Sugarcane areas". Queensland Globe. Queensland Government. Archived from the original on 19 December 2017. Retrieved 1 February 2025.
- ^ a b Bird, John T. S. (1904). The early history of Rockhampton : dealing chiefly with events up till 1870 (PDF). Rockhampton: The Morning Bulletin. pp. 193, 359 – via University of Queensland.
- ^ "GOVERNMENT LAND SALES". The Brisbane Courier. Vol. XX, no. 2, 501. Queensland, Australia. 1 February 1866. p. 2. Retrieved 1 February 2025 – via National Library of Australia.
- ^ "Duaringa History Trail" (PDF). Duaringa Historical and Tourism Association. p. 2. Archived (PDF) from the original on 14 July 2024. Retrieved 1 February 2025.
- ^ "SPECIAL LEASES FROM THE CROWN". The Capricornian. Vol. 34, no. 41. Queensland, Australia. 12 September 1908. p. 29. Retrieved 1 February 2025 – via National Library of Australia.
- ^ "Layers: Locality; Land parcel; Property names; Land use". Queensland Globe. Queensland Government. Archived from the original on 19 December 2017. Retrieved 1 February 2025.
- ^ Australian Bureau of Statistics (27 June 2017). "Gainsford (SSC)". 2016 Census QuickStats. Retrieved 20 October 2018.
- ^ "Layers: Locality; Schools and school catchments". Queensland Globe. Queensland Government. Archived from the original on 19 December 2017. Retrieved 1 February 2025.
External links
- "Town of Gainsford" (Map). Queensland Government. 1970.
